
Schorteldoeksesteeg 1-TR is gelegen in de plaats De Bilt, de gemeente De Bilt en de provincie Utrecht. Het perceel waarop het adres gelegen is heeft een oppervlakte van 100 m². Het verblijfsobject is met 26 m² relatief klein. Er zijn geen kleinere objecten in deze straat. De gemiddelde oppervlakte is er 2205 m². Het grootste verblijfsobject is 6194 m². De meeste Nederlandse gebouwen zijn gebouwd in de periode 1965-1984. Zo ook het pand waarin Schorteldoeksesteeg 1-TR ligt, dat gebouwd is in 1965. Het gemiddelde bouwjaar in de straat is 1965 en dat van het oudste pand is 1965. Dit is het nieuwste object in de straat. Voor het verblijfsobject gelden deze gebruiksdoelen: 'overige gebruiksfunctie'.
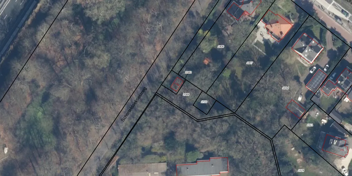
Het adres ligt op het perceel BIL01-C-2082, dat zich in de kadastrale gemeente De Bilt bevindt. De gemiddelde perceelgrootte in De Bilt is 2129,35 m². Dit perceel is kleiner: de perceeloppervlakte bedraagt 100 m². De grootste perceeloppervlakte in de kadastrale gemeente is 77,4 ha. De kleinste oppervlakte bedraagt 0 m². Dit is het enige adres dat aanwezig is op het perceel. De laatste wijziging in het de Basisregistratie Kadaster (BRK) was op 19-09-1997.
Er is geen energielabel geregistreerd voor het adres. Het hoogste energielabel in de straat is C; het laagste is G. Het gemiddelde energielabel is er D. Het adres Schorteldoeksesteeg 1-TR heeft als status: 'verblijfsobject in gebruik'. Het pand waarin dit adres ligt heeft als status: 'pand in gebruik'.
Schorteldoeksesteeg 1-TR is een adres gelegen in de gemeente De Bilt, provincie Utrecht. Dit adres is geregistreerd in de Basisregistratie Adressen en Gebouwen (BAG) met als unieke identificatie 0310010000726853.
Het pand op Schorteldoeksesteeg 1-TR is gebouwd in 1965, wat betekent dat het 61 jaar oud is. Dit is een ouder pand. Het pand heeft mogelijk aanzienlijke renovaties nodig om aan de huidige standaarden te voldoen.
De woning op Schorteldoeksesteeg 1-TR heeft een gebruiksoppervlakte van 26 m². Dit is relatief klein vergeleken met de gemiddelde Nederlandse woning, die een oppervlakte heeft van ongeveer 119 m². De gebruiksoppervlakte is de maat die wordt gebruikt in de BAG-registratie, de landelijke registratie van de Nederlandse overheid.
Schorteldoeksesteeg 1-TR heeft als functie: overige doeleinden. Deze gebruiksfunctie(s) zijn vastgelegd in de BAG-registratie en geven aan waarvoor het adres officieel mag worden gebruikt.
Schorteldoeksesteeg 1-TR is gelegen op kadastraal perceel BIL01C2082. Deze kadastrale aanduiding is uniek en wordt gebruikt door het Kadaster om eigendomsrechten en andere zakelijke rechten vast te leggen. Het perceel maakt onderdeel uit van de kadastrale gemeente De Bilt.
Het perceel waarop Schorteldoeksesteeg 1-TR staat heeft een oppervlakte van 100 m². Dit is een middelgroot perceel. De perceeloppervlakte wordt geregistreerd door het Kadaster. Gedetailleerde informatie over de maten van dit perceel kunt u vinden in het rapport Kadastrale kaart met maatvoering van Schorteldoeksesteeg 1-TR.
De eigenaar van Schorteldoeksesteeg 1-TR is op te vragen op deze pagina.
De informatie over dit adres is afkomstig uit officiële overheidsregistraties, voornamelijk de Basisregistratie Adressen en Gebouwen (BAG) en de Basisregistratie Kadaster (BRK). Deze gegevens worden beheerd door respectievelijk gemeenten en het Kadaster, en worden regelmatig bijgewerkt. Energielabelgegevens komen uit de database van de Rijksdienst voor Ondernemend Nederland (RVO).
