
Utrechtseweg 353 is gelegen in de plaats De Bilt, de gemeente De Bilt en de provincie Utrecht. De oppervlakte van het verblijfsobject is met 174 m² aan de grote kant. Het perceel heeft een oppervlakte van 1258 m². Het adres is klein vergeleken met andere objecten in de straat. Het grootste object in de straat heeft een oppervlakte van 1,2 ha, het kleinste is 10 m² groot. Utrechtseweg 353 ligt in een gebouw uit het jaar 1987. Daarmee behoort het tot de groep panden van na 1984, die we als relatief nieuw bestempelen. Dit object is relatief nieuw in de straat. Het nieuwste gebouw komt er uit het jaar 2024 en het oudste uit het jaar 1770. De volgende gebruiksdoelen zijn geregistreerd voor dit adres: 'woonfunctie'.
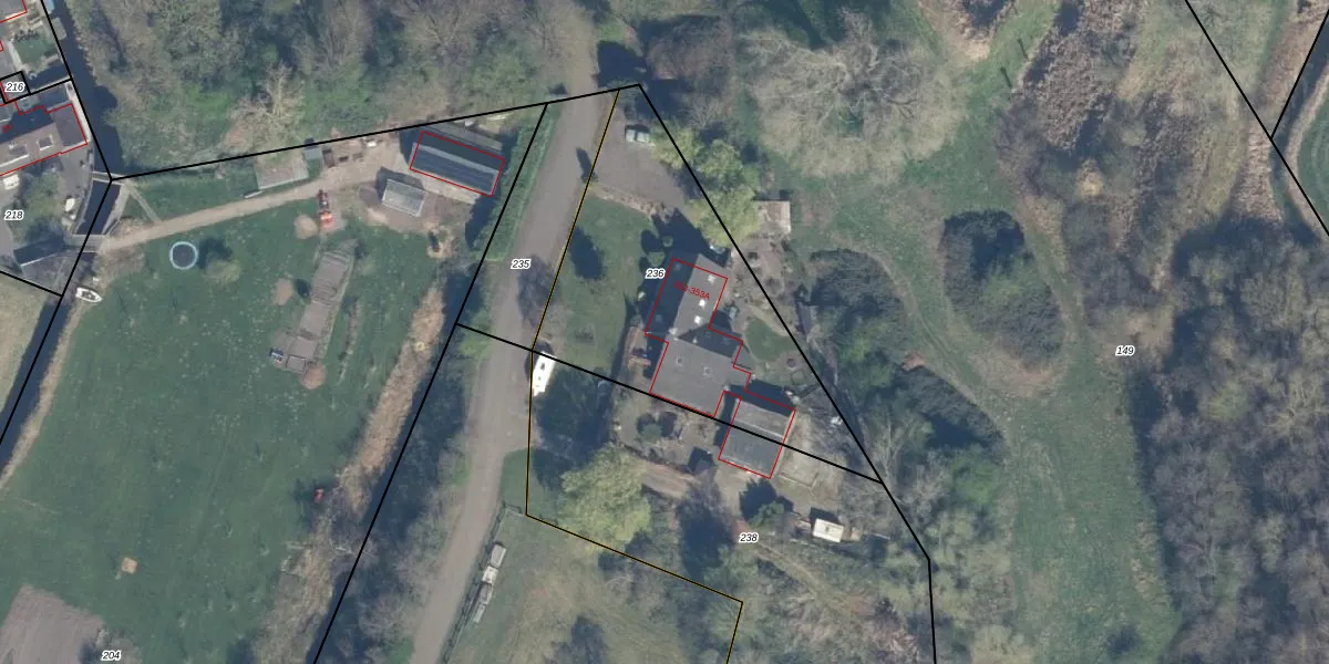
Het adres ligt op het perceel BIL01-M-236, dat zich in de kadastrale gemeente De Bilt bevindt. Het perceel is 1258 m² groot. Dat is kleiner dan de gemiddelde perceeloppervlakte in De Bilt, dat op 2132,38 m² ligt. Het grootste perceel in de kadastrale gemeente is 77,4 ha. Het kleinste perceel heeft een oppervlakte van 0 m². Op het perceel liggen in totaal 2 adressen. De laatste wijziging in het de Basisregistratie Kadaster (BRK) was op 24-09-2025.
Er is geen energielabel geregistreerd voor het adres. Het hoogste energielabel in de straat is A++; het laagste is G. Het gemiddelde energielabel is er C. Het adres Utrechtseweg 353 heeft als status: 'verblijfsobject in gebruik'. Het pand waarin dit adres ligt heeft als status: 'pand in gebruik'.
Utrechtseweg 353 is een adres gelegen in de gemeente De Bilt, provincie Utrecht. Dit adres is geregistreerd in de Basisregistratie Adressen en Gebouwen (BAG) met als unieke identificatie 0310010000696631.
Het pand op Utrechtseweg 353 is gebouwd in 1987, wat betekent dat het 39 jaar oud is. Dit is een pand van middelbare leeftijd. Het pand is van gemiddelde leeftijd en zal waarschijnlijk verouderde elementen bevatten.
De woning op Utrechtseweg 353 heeft een gebruiksoppervlakte van 174 m². Dit is ruim vergeleken met de gemiddelde Nederlandse woning, die een oppervlakte heeft van ongeveer 119 m². De gebruiksoppervlakte is de maat die wordt gebruikt in de BAG-registratie, de landelijke registratie van de Nederlandse overheid.
Utrechtseweg 353 heeft als functie: wonen. Deze gebruiksfunctie(s) zijn vastgelegd in de BAG-registratie en geven aan waarvoor het adres officieel mag worden gebruikt.
Utrechtseweg 353 is gelegen op kadastraal perceel BIL01M236. Deze kadastrale aanduiding is uniek en wordt gebruikt door het Kadaster om eigendomsrechten en andere zakelijke rechten vast te leggen. Het perceel maakt onderdeel uit van de kadastrale gemeente De Bilt.
Het perceel waarop Utrechtseweg 353 staat heeft een oppervlakte van 1258 m². Dit is een zeer groot perceel. De perceeloppervlakte wordt geregistreerd door het Kadaster. Gedetailleerde informatie over de maten van dit perceel kunt u vinden in het rapport Kadastrale kaart met maatvoering van Utrechtseweg 353.
De eigenaar van Utrechtseweg 353 is op te vragen op deze pagina
De informatie over dit adres is afkomstig uit officiële overheidsregistraties, voornamelijk de Basisregistratie Adressen en Gebouwen (BAG) en de Basisregistratie Kadaster (BRK). Deze gegevens worden beheerd door respectievelijk gemeenten en het Kadaster, en worden regelmatig bijgewerkt. Energielabelgegevens komen uit de database van de Rijksdienst voor Ondernemend Nederland (RVO).
