
Utrechtseweg 65-A is gelegen in de plaats De Bilt, de gemeente De Bilt en de provincie Utrecht. De oppervlakte bedraagt 167 m², waarmee het adres groter dan gemiddeld is. De grootte van het perceel waarop het adres ligt is 25,4 ha. Het adres is klein vergeleken met andere objecten in de straat. Het grootste object in de straat heeft een oppervlakte van 1,2 ha, het kleinste is 10 m² groot. Het adres Utrechtseweg 65-A ligt in een relatief oud pand uit het jaar 1924. Panden van vóór het jaar 1965 hebben we hier geclassificeerd als oud. Veel andere gebouwen in de straat zijn ouder dan dit pand. Het oudste pand komt uit het jaar 1770 en het nieuwste uit 2024. Voor het verblijfsobject gelden deze gebruiksdoelen: 'woonfunctie'.
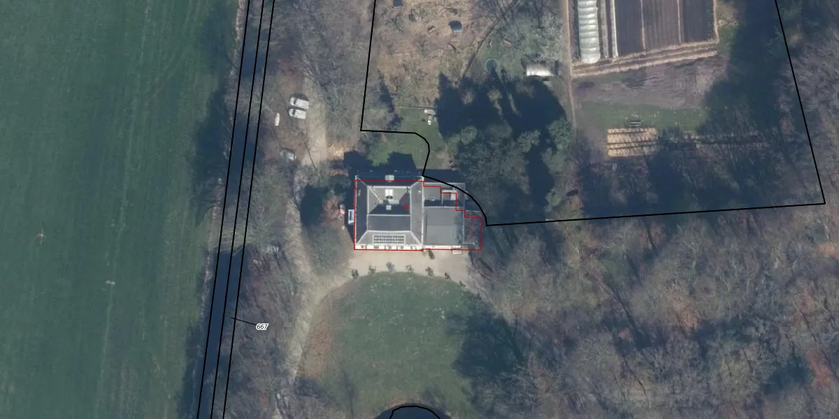
Het adres ligt op het perceel BIL01-C-2270, dat zich in de kadastrale gemeente De Bilt bevindt. Het perceel is met 25,4 ha relatief groot. Het gemiddelde ligt in de kadastrale gemeente De Bilt op 2132,38 m². De grootste perceeloppervlakte in de kadastrale gemeente is 77,4 ha. De kleinste oppervlakte bedraagt 0 m². Op het perceel zijn 6 adressen aanwezig. De laatste wijziging in het de Basisregistratie Kadaster (BRK) was op 18-09-2023.
Er is geen energielabel geregistreerd voor het adres. Het hoogste energielabel in de straat is A++; het laagste is G. Het gemiddelde energielabel is er C. Het adres Utrechtseweg 65-A heeft als status: 'verblijfsobject in gebruik'. Het pand waarin dit adres ligt heeft als status: 'pand in gebruik'.
Utrechtseweg 65-A is een adres gelegen in de gemeente De Bilt, provincie Utrecht. Dit adres is geregistreerd in de Basisregistratie Adressen en Gebouwen (BAG) met als unieke identificatie 0310010000729885.
Het pand op Utrechtseweg 65-A is gebouwd in 1924, wat betekent dat het 102 jaar oud is. Dit is een ouder pand. Het pand heeft mogelijk aanzienlijke renovaties nodig om aan de huidige standaarden te voldoen.
De woning op Utrechtseweg 65-A heeft een gebruiksoppervlakte van 167 m². Dit is ruim vergeleken met de gemiddelde Nederlandse woning, die een oppervlakte heeft van ongeveer 119 m². De gebruiksoppervlakte is de maat die wordt gebruikt in de BAG-registratie, de landelijke registratie van de Nederlandse overheid.
Utrechtseweg 65-A heeft als functie: wonen. Deze gebruiksfunctie(s) zijn vastgelegd in de BAG-registratie en geven aan waarvoor het adres officieel mag worden gebruikt.
Utrechtseweg 65-A is gelegen op kadastraal perceel BIL01C2270. Deze kadastrale aanduiding is uniek en wordt gebruikt door het Kadaster om eigendomsrechten en andere zakelijke rechten vast te leggen. Het perceel maakt onderdeel uit van de kadastrale gemeente De Bilt.
Het perceel waarop Utrechtseweg 65-A staat heeft een oppervlakte van 25,4 ha. Dit is een zeer groot perceel. De perceeloppervlakte wordt geregistreerd door het Kadaster. Gedetailleerde informatie over de maten van dit perceel kunt u vinden in het rapport Kadastrale kaart met maatvoering van Utrechtseweg 65-A.
De eigenaar van Utrechtseweg 65-A is op te vragen op deze pagina
De informatie over dit adres is afkomstig uit officiële overheidsregistraties, voornamelijk de Basisregistratie Adressen en Gebouwen (BAG) en de Basisregistratie Kadaster (BRK). Deze gegevens worden beheerd door respectievelijk gemeenten en het Kadaster, en worden regelmatig bijgewerkt. Energielabelgegevens komen uit de database van de Rijksdienst voor Ondernemend Nederland (RVO).
