
Engelsesteeg 1 is een adres in De Blesse, dat zich bevindt binnen de gemeentegrenzen van De Blesse en de grenzen van de provincie Friesland. De oppervlakte bedraagt 166 m², waarmee het adres groter dan gemiddeld is. De grootte van het perceel waarop het adres ligt is 8865 m². In de straat is dit het adres met de grootste oppervlakte. De objecten in de straat zijn gemiddeld 146 m² groot. Het kleinste verblijfsobject heeft een oppervlakte van 126 m². Engelsesteeg 1 ligt in een gebouw uit het jaar 1986. Daarmee behoort het tot de groep panden van na 1984, die we als relatief nieuw bestempelen. In de straat is dit het nieuwste pand en stamt het oudste object uit het jaar 1928. Het gemiddelde bouwjaar in de straat is 1957. Voor het verblijfsobject gelden deze gebruiksdoelen: 'woonfunctie' en 'industriefunctie'.
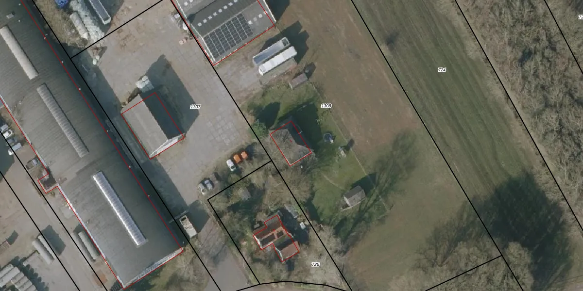
Het perceel waarop het adres ligt is BDK00-C-1308. De afkorting 'BDK00' staat voor kadastrale gemeente Blesdijke. De gemiddelde perceelgrootte in Blesdijke is 1,3 ha. Dit perceel is kleiner: de perceeloppervlakte bedraagt 8865 m². Het grootste perceel in de kadastrale gemeente is 33,3 ha. Het kleinste perceel heeft een oppervlakte van 1 m². Er zijn geen andere adressen aanwezig op het perceel. De huidige grenzen van het perceel zijn digitaal in de Basisregistratie Kadaster (BRK) geregistreerd op 21-04-2010.
Er is geen energielabel geregistreerd voor het adres. Het hoogste energielabel in de straat is G; het laagste is G. Het gemiddelde energielabel is er G. Het adres Engelsesteeg 1 heeft als status: 'verblijfsobject in gebruik'. Het pand waarin dit adres ligt heeft als status: 'pand in gebruik'.
Engelsesteeg 1 is een adres gelegen in de gemeente Weststellingwerf, provincie Friesland. Dit adres is geregistreerd in de Basisregistratie Adressen en Gebouwen (BAG) met als unieke identificatie 0098010000000698.
Het pand op Engelsesteeg 1 is gebouwd in 1986, wat betekent dat het 40 jaar oud is. Dit is een pand van middelbare leeftijd. Het pand is van gemiddelde leeftijd en zal waarschijnlijk verouderde elementen bevatten.
De woning op Engelsesteeg 1 heeft een gebruiksoppervlakte van 166 m². Dit is ruim vergeleken met de gemiddelde Nederlandse woning, die een oppervlakte heeft van ongeveer 119 m². De gebruiksoppervlakte is de maat die wordt gebruikt in de BAG-registratie, de landelijke registratie van de Nederlandse overheid.
Engelsesteeg 1 heeft als functie: wonen en industrie. Deze gebruiksfunctie(s) zijn vastgelegd in de BAG-registratie en geven aan waarvoor het adres officieel mag worden gebruikt.
Engelsesteeg 1 is gelegen op kadastraal perceel BDK00C1308. Deze kadastrale aanduiding is uniek en wordt gebruikt door het Kadaster om eigendomsrechten en andere zakelijke rechten vast te leggen. Het perceel maakt onderdeel uit van de kadastrale gemeente Blesdijke.
Het perceel waarop Engelsesteeg 1 staat heeft een oppervlakte van 8865 m². Dit is een zeer groot perceel. De perceeloppervlakte wordt geregistreerd door het Kadaster. Gedetailleerde informatie over de maten van dit perceel kunt u vinden in het rapport Kadastrale kaart met maatvoering van Engelsesteeg 1.
De eigenaar van Engelsesteeg 1 is op te vragen op deze pagina.
De informatie over dit adres is afkomstig uit officiële overheidsregistraties, voornamelijk de Basisregistratie Adressen en Gebouwen (BAG) en de Basisregistratie Kadaster (BRK). Deze gegevens worden beheerd door respectievelijk gemeenten en het Kadaster, en worden regelmatig bijgewerkt. Energielabelgegevens komen uit de database van de Rijksdienst voor Ondernemend Nederland (RVO).
