
Postweg 38 is gelegen in de plaats De Glind, de gemeente Barneveld en de provincie Gelderland. Het object heeft een oppervlakte van 438 m², wat relatief groot is. Het perceel waarop het adres ligt is 2420 m² groot. De oppervlakte van dit adres is groot vergeleken met de oppervlaktes van andere adressen in de straat. De kleinste oppervlakte bedraagt er 22 m², de grootste 5800 m². Het adres Postweg 38 ligt in een relatief oud pand uit het jaar 1954. Panden van vóór het jaar 1965 hebben we hier geclassificeerd als oud. Het bouwjaar is oud vergeleken met dat van de andere panden in de straat. Het oudste bouwjaar is er 1859 en de nieuwste is 2025. Het verblijfsobject heeft de volgende gebruiksdoelen: 'woonfunctie'.
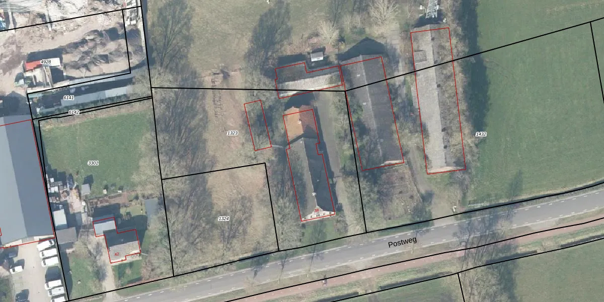
Het adres ligt op het perceel BNV00-E-1323, dat zich in de kadastrale gemeente Barneveld bevindt. Het perceel is kleiner dan gemiddeld in Barneveld. Het perceel is 2420 m² groot, terwijl het gemiddelde ligt op 3122,74 m². De grootste perceeloppervlakte in de kadastrale gemeente is 23,8 ha. De kleinste oppervlakte bedraagt 0 m². Dit is het enige adres dat aanwezig is op het perceel. De laatste wijziging in het de Basisregistratie Kadaster (BRK) was op 08-03-2017.
Er is geen energielabel geregistreerd voor het adres. Het hoogste energielabel in de straat is A+++; het laagste is G. Het gemiddelde energielabel is er C. Het adres Postweg 38 heeft als status: 'verblijfsobject in gebruik'. Het pand waarin dit adres ligt heeft als status: 'pand in gebruik'.
Postweg 38 is een adres gelegen in de gemeente Barneveld, provincie Gelderland. Dit adres is geregistreerd in de Basisregistratie Adressen en Gebouwen (BAG) met als unieke identificatie 0203010000394101.
Het pand op Postweg 38 is gebouwd in 1954, wat betekent dat het 72 jaar oud is. Dit is een ouder pand. Het pand heeft mogelijk aanzienlijke renovaties nodig om aan de huidige standaarden te voldoen.
De woning op Postweg 38 heeft een gebruiksoppervlakte van 438 m². Dit is ruim vergeleken met de gemiddelde Nederlandse woning, die een oppervlakte heeft van ongeveer 119 m². De gebruiksoppervlakte is de maat die wordt gebruikt in de BAG-registratie, de landelijke registratie van de Nederlandse overheid.
Postweg 38 heeft als functie: wonen. Deze gebruiksfunctie(s) zijn vastgelegd in de BAG-registratie en geven aan waarvoor het adres officieel mag worden gebruikt.
Postweg 38 is gelegen op kadastraal perceel BNV00E1323. Deze kadastrale aanduiding is uniek en wordt gebruikt door het Kadaster om eigendomsrechten en andere zakelijke rechten vast te leggen. Het perceel maakt onderdeel uit van de kadastrale gemeente Barneveld.
Het perceel waarop Postweg 38 staat heeft een oppervlakte van 2420 m². Dit is een zeer groot perceel. De perceeloppervlakte wordt geregistreerd door het Kadaster. Gedetailleerde informatie over de maten van dit perceel kunt u vinden in het rapport Kadastrale kaart met maatvoering van Postweg 38.
De eigenaar van Postweg 38 is op te vragen op deze pagina.
De informatie over dit adres is afkomstig uit officiële overheidsregistraties, voornamelijk de Basisregistratie Adressen en Gebouwen (BAG) en de Basisregistratie Kadaster (BRK). Deze gegevens worden beheerd door respectievelijk gemeenten en het Kadaster, en worden regelmatig bijgewerkt. Energielabelgegevens komen uit de database van de Rijksdienst voor Ondernemend Nederland (RVO).
