Product Functies Prijzen Meer

Adressen

Gebruik de zoekbalk of klik op een perceel voor informatie over de adressen binnen dit perceel.
Locatie
Meten
Lagen
Download

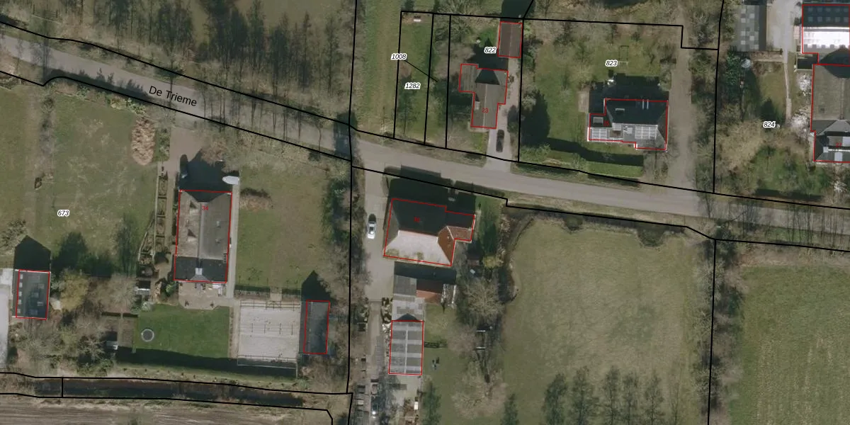
De Trieme 36

9296MC, De Trieme

1519312 Wat moet ik bieden voor deze woning?
377 m²
woonfunctie
26.250 m² perceeloppervlakte
?

De Trieme 36 is een adres in De Trieme, dat zich bevindt binnen de gemeentegrenzen van De Trieme en de grenzen van de provincie Friesland. De oppervlakte bedraagt 377 m², waarmee het adres groter dan gemiddeld is. De grootte van het perceel waarop het adres ligt is 2,6 ha. In vergelijking met de andere adressen in de straat is de oppervlakte van dit object relatief groot. Het grootste verblijfsobject heeft een oppervlakte van 5597 m², de oppervlakte van het kleinste object bedraagt 76 m². Het adres De Trieme 36 ligt in een relatief oud pand uit het jaar 1780. Panden van vóór het jaar 1965 hebben we hier geclassificeerd als oud. In de straat komt het nieuwste gebouw uit het jaar 2022 en het oudste uit 1650. Het bouwjaar van dit object is relatief oud. De volgende gebruiksdoelen zijn geregistreerd voor dit adres: 'woonfunctie'.

Perceel

Het perceel waarop het adres ligt is WTG01-F-754. De afkorting 'WTG01' staat voor kadastrale gemeente Westergeest. De oppervlakte van het perceel is 2,6 ha. Dat is groter dan gemiddeld in Westergeest, waar de gemiddelde perceeloppervlakte op 8417,21 m² ligt. De grootste perceeloppervlakte in de kadastrale gemeente is 47,5 ha. De kleinste oppervlakte bedraagt 0 m². Er zijn geen andere adressen aanwezig op het perceel. De huidige grenzen van het perceel zijn digitaal in de Basisregistratie Kadaster (BRK) geregistreerd op 14-05-2008.

Energielabel en status

Er is geen energielabel geregistreerd voor het adres. Het hoogste energielabel in de straat is A+++; het laagste is G. Het gemiddelde energielabel is er C. Het adres De Trieme 36 heeft als status: 'verblijfsobject in gebruik'. Het pand waarin dit adres ligt heeft als status: 'pand in gebruik'.

Meer lezen

Adres

Gebruiksoppervlakte
377 m²
Bruto vloeroppervlakte
Ilw 1S0VRNUpgrade naar KadastraleKaart Pro
Gebruiksdoel(en)
Woonfunctie
Status
Verblijfsobject in gebruik
Type
Onbekend
Gasloos
7yyGR Uw3sUpgrade naar KadastraleKaart Pro
Gebeurtenissen
Appartementsrechten
Y boUw0XA CAEYUpgrade naar KadastraleKaart Pro
Eigenaar
Eigendomsinformatie 12,95
Adresinformatie bestellen
Adrespakket 34,95
VBO ID
0079010000375381

Pand

Bouwjaar pand
1780
Aantal adressen in dit gebouw
1 adres
Hoogte pand
DpyqLEXX kUpgrade naar KadastraleKaart Pro
Aantal bouwlagen (schatting)
K9WW QzY UnwCkfqvAJDnUpgrade naar KadastraleKaart Pro
Volume
2lTe8ND6tQ6NcSkOcK f ElUpgrade naar KadastraleKaart Pro
Oppervlakte dak
u4hP TSt0eM8X fVrYUpgrade naar KadastraleKaart Pro
Oppervlakte buitenmuur
0EhQIZxX0M4rDT9P0dXXdcUpgrade naar KadastraleKaart Pro
Status pand
Pand in gebruik
Pand ID
0079100000358429

Perceel

Kadastrale aanduiding
Westergeest F 754 (WTG01 F 754)
Oppervlakte
26.250 m²
Maatvoering
Kadastrale kaart met maatvoering 59,95
Omtrek
804 meter
Datum laatst gewijzigd
14/05/2008
Aantal adressen op perceel
1
Hoogte boven N.A.P.
nc swjnRhUpgrade naar KadastraleKaart Pro

Veelgestelde vragen

De Trieme 36 is een adres gelegen in de gemeente Noardeast-Fryslân, provincie Friesland. Dit adres is geregistreerd in de Basisregistratie Adressen en Gebouwen (BAG) met als unieke identificatie 0079010000375381.

Het pand op De Trieme 36 is gebouwd in 1780, wat betekent dat het 246 jaar oud is. Dit is een ouder pand. Het pand heeft mogelijk aanzienlijke renovaties nodig om aan de huidige standaarden te voldoen.

De woning op De Trieme 36 heeft een gebruiksoppervlakte van 377 m². Dit is ruim vergeleken met de gemiddelde Nederlandse woning, die een oppervlakte heeft van ongeveer 119 m². De gebruiksoppervlakte is de maat die wordt gebruikt in de BAG-registratie, de landelijke registratie van de Nederlandse overheid.

De Trieme 36 heeft als functie: wonen. Deze gebruiksfunctie(s) zijn vastgelegd in de BAG-registratie en geven aan waarvoor het adres officieel mag worden gebruikt.

De Trieme 36 is gelegen op kadastraal perceel WTG01F754. Deze kadastrale aanduiding is uniek en wordt gebruikt door het Kadaster om eigendomsrechten en andere zakelijke rechten vast te leggen. Het perceel maakt onderdeel uit van de kadastrale gemeente Westergeest.

Het perceel waarop De Trieme 36 staat heeft een oppervlakte van 2,6 ha. Dit is een zeer groot perceel. De perceeloppervlakte wordt geregistreerd door het Kadaster. Gedetailleerde informatie over de maten van dit perceel kunt u vinden in het rapport Kadastrale kaart met maatvoering van De Trieme 36.

De eigenaar van De Trieme 36 is op te vragen op deze pagina

De informatie over dit adres is afkomstig uit officiële overheidsregistraties, voornamelijk de Basisregistratie Adressen en Gebouwen (BAG) en de Basisregistratie Kadaster (BRK). Deze gegevens worden beheerd door respectievelijk gemeenten en het Kadaster, en worden regelmatig bijgewerkt. Energielabelgegevens komen uit de database van de Rijksdienst voor Ondernemend Nederland (RVO).

Maatvoeringsrapport

Biedadvies

Loop uw droomhuis niet mis met ons biedadvies.
Loop uw droomhuis niet mis met ons biedadvies.
Maatvoeringsrapport

Bestel het adrespakket

Kom alles te weten over De Trieme 36 met het adrespakket.
Kom alles te weten over De Trieme 36 met het adrespakket.

360°-foto's van de omgeving

Google Street View
Upgrade nu voor 360° Street View foto's

Zon en schaduw rondom adres

Buurt
Triemen
Inwoners: 325
Woningen: 118
Wijk
Wijk 13 Noordwest
Inwoners: 1.775
Woningen: 692
Gemeente
Noardeast-Fryslân
Inwoners: 45.866
Woningen: 20.811