
Het adres De Vos van Steenwijkstraat 9 bevindt zich in de plaats de Wijk, in de gemeente de Wijk en de provincie Drenthe. De oppervlakte bedraagt 213 m², waarmee het adres groter dan gemiddeld is. De grootte van het perceel waarop het adres ligt is 789 m². De oppervlakte van dit adres is groot vergeleken met de oppervlaktes van andere adressen in de straat. De kleinste oppervlakte bedraagt er 12 m², de grootste 297 m². In Nederland komt het grootste deel van de gebouwen uit de periode 1965-1984. Ook het bouwjaar van De Vos van Steenwijkstraat 9 is afkomstig uit die periode: het betreft namelijk een pand uit 1973. In de straat komt het nieuwste gebouw uit het jaar 2021 en het oudste uit 1972. Het bouwjaar van dit object is relatief oud. Voor het verblijfsobject gelden deze gebruiksdoelen: 'woonfunctie'.
Deze woning is voor het laatst verkocht op 1 januari 2024. Meer informatie over deze transactie? Bestel het Woningtransactierapport om de verkoopprijs en andere informatie te zien.
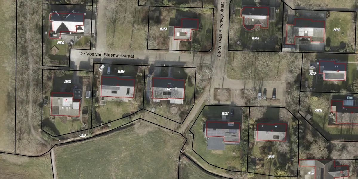
Het adres ligt op het perceel WIJ03-F-2786, dat zich in de kadastrale gemeente De Wijk bevindt. De gemiddelde perceelgrootte in De Wijk is 8497,37 m². Dit perceel is kleiner: de perceeloppervlakte bedraagt 789 m². Het grootste perceel in de kadastrale gemeente is 68,9 ha. Het kleinste perceel heeft een oppervlakte van 0 m². Er zijn geen andere adressen aanwezig op het perceel. In de Basisregistratie Kadaster (BRK) werden de grenzen van het perceel geregistreerd op 12-02-2003.
Het adres ligt in een gebouw van het type 'vrijstaande woning'. Bij de laatste meting is voor het adres het energielabel D geregistreerd. Het hoogste energielabel in de straat is A++; het laagste is G. Het gemiddelde energielabel is er B. Het adres De Vos van Steenwijkstraat 9 heeft als status: 'verblijfsobject in gebruik'. Het pand waarin dit adres ligt heeft als status: 'pand in gebruik'.
De Vos van Steenwijkstraat 9 is een adres gelegen in de gemeente De Wolden, provincie Drenthe. Dit adres is geregistreerd in de Basisregistratie Adressen en Gebouwen (BAG) met als unieke identificatie 1690010000008176.
Het pand op De Vos van Steenwijkstraat 9 is gebouwd in 1973, wat betekent dat het 53 jaar oud is. Dit is een ouder pand. Het pand heeft mogelijk aanzienlijke renovaties nodig om aan de huidige standaarden te voldoen.
De woning op De Vos van Steenwijkstraat 9 heeft een gebruiksoppervlakte van 213 m². Dit is ruim vergeleken met de gemiddelde Nederlandse woning, die een oppervlakte heeft van ongeveer 119 m². De gebruiksoppervlakte is de maat die wordt gebruikt in de BAG-registratie, de landelijke registratie van de Nederlandse overheid.
De Vos van Steenwijkstraat 9 heeft als functie: wonen. Deze gebruiksfunctie(s) zijn vastgelegd in de BAG-registratie en geven aan waarvoor het adres officieel mag worden gebruikt.
De Vos van Steenwijkstraat 9 is gelegen op kadastraal perceel WIJ03F2786. Deze kadastrale aanduiding is uniek en wordt gebruikt door het Kadaster om eigendomsrechten en andere zakelijke rechten vast te leggen. Het perceel maakt onderdeel uit van de kadastrale gemeente De Wijk.
Het perceel waarop De Vos van Steenwijkstraat 9 staat heeft een oppervlakte van 789 m². Dit is een groot perceel. De perceeloppervlakte wordt geregistreerd door het Kadaster. Gedetailleerde informatie over de maten van dit perceel kunt u vinden in het rapport Kadastrale kaart met maatvoering van De Vos van Steenwijkstraat 9.
De eigenaar van De Vos van Steenwijkstraat 9 is op te vragen op deze pagina.
De informatie over dit adres is afkomstig uit officiële overheidsregistraties, voornamelijk de Basisregistratie Adressen en Gebouwen (BAG) en de Basisregistratie Kadaster (BRK). Deze gegevens worden beheerd door respectievelijk gemeenten en het Kadaster, en worden regelmatig bijgewerkt. Energielabelgegevens komen uit de database van de Rijksdienst voor Ondernemend Nederland (RVO).
