
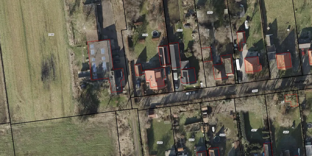
Buurtweg 9 is gelegen in de plaats Dedemsvaart, de gemeente Hardenberg en de provincie Overijssel. De oppervlakte bedraagt 156 m², waarmee het adres groter dan gemiddeld is. De grootte van het perceel waarop het adres ligt is 2320 m². Dit is het adres met de grootste oppervlakte van alle adressen in de straat. Gemiddeld hebben de objecten in de straat een oppervlakte van 119 m². De kleinste oppervlakte is er 98 m². Het adres Buurtweg 9 ligt in een relatief oud pand uit het jaar 1928. Panden van vóór het jaar 1965 hebben we hier geclassificeerd als oud. Veel andere gebouwen in de straat zijn ouder dan dit pand. Het oudste pand komt uit het jaar 1920 en het nieuwste uit 1930. Voor het verblijfsobject gelden deze gebruiksdoelen: 'woonfunctie'.
Deze woning is voor het laatst verkocht op 1 april 2014. Meer informatie over deze transactie? Bestel het Woningtransactierapport om de verkoopprijs en andere informatie te zien.
Het adres ligt op het perceel AVE00-K-5302, dat zich in de kadastrale gemeente Avereest bevindt. De gemiddelde perceelgrootte in Avereest is 6070,22 m². Dit perceel is kleiner: de perceeloppervlakte bedraagt 2320 m². De grootste perceeloppervlakte in de kadastrale gemeente is 38,8 ha. De kleinste oppervlakte bedraagt 0 m². Er zijn geen andere adressen aanwezig op het perceel. De laatste wijziging in het de Basisregistratie Kadaster (BRK) was op 01-02-2001.
Het adres ligt in een gebouw van het type 'vrijstaande woning'. Bij de laatste meting is voor het adres het energielabel A+++ geregistreerd. Het hoogste energielabel in de straat is A+++; het laagste is G. Het gemiddelde energielabel is er D. Het adres Buurtweg 9 heeft als status: 'verblijfsobject in gebruik'. Het pand waarin dit adres ligt heeft als status: 'pand in gebruik'.
Buurtweg 9 is een adres gelegen in de gemeente Hardenberg, provincie Overijssel. Dit adres is geregistreerd in de Basisregistratie Adressen en Gebouwen (BAG) met als unieke identificatie 0160010000000779.
Het pand op Buurtweg 9 is gebouwd in 1928, wat betekent dat het 98 jaar oud is. Dit is een ouder pand. Het pand heeft mogelijk aanzienlijke renovaties nodig om aan de huidige standaarden te voldoen.
De woning op Buurtweg 9 heeft een gebruiksoppervlakte van 156 m². Dit is ruim vergeleken met de gemiddelde Nederlandse woning, die een oppervlakte heeft van ongeveer 119 m². De gebruiksoppervlakte is de maat die wordt gebruikt in de BAG-registratie, de landelijke registratie van de Nederlandse overheid.
Buurtweg 9 heeft als functie: wonen. Deze gebruiksfunctie(s) zijn vastgelegd in de BAG-registratie en geven aan waarvoor het adres officieel mag worden gebruikt.
Buurtweg 9 is gelegen op kadastraal perceel AVE00K5302. Deze kadastrale aanduiding is uniek en wordt gebruikt door het Kadaster om eigendomsrechten en andere zakelijke rechten vast te leggen. Het perceel maakt onderdeel uit van de kadastrale gemeente Avereest.
Het perceel waarop Buurtweg 9 staat heeft een oppervlakte van 2320 m². Dit is een zeer groot perceel. De perceeloppervlakte wordt geregistreerd door het Kadaster. Gedetailleerde informatie over de maten van dit perceel kunt u vinden in het rapport Kadastrale kaart met maatvoering van Buurtweg 9.
De eigenaar van Buurtweg 9 is op te vragen op deze pagina.
De informatie over dit adres is afkomstig uit officiële overheidsregistraties, voornamelijk de Basisregistratie Adressen en Gebouwen (BAG) en de Basisregistratie Kadaster (BRK). Deze gegevens worden beheerd door respectievelijk gemeenten en het Kadaster, en worden regelmatig bijgewerkt. Energielabelgegevens komen uit de database van de Rijksdienst voor Ondernemend Nederland (RVO).
