
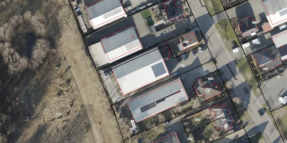
Het adres Kelvinstraat 18 bevindt zich in de plaats Dedemsvaart, in de gemeente Dedemsvaart en de provincie Overijssel. De oppervlakte bedraagt 670 m², waarmee het adres groter dan gemiddeld is. De grootte van het perceel waarop het adres ligt is 1513 m². In vergelijking met de andere adressen in de straat is de oppervlakte van dit object relatief groot. Het grootste verblijfsobject heeft een oppervlakte van 2028 m², de oppervlakte van het kleinste object bedraagt 39 m². In het jaar 2003 is het pand waarin Kelvinstraat 18 ligt gebouwd. Dat is relatief recent: de meeste gebouwen in Nederland zijn gebouwd in de periode 1965-1984. In de straat komt het nieuwste gebouw uit het jaar 2024 en het oudste uit 2001. Het bouwjaar van dit object is relatief oud. Het verblijfsobject heeft de volgende gebruiksdoelen: 'industriefunctie'.
Het perceel waarop het adres ligt is AVE00-L-5612. De afkorting 'AVE00' staat voor kadastrale gemeente Avereest. Het perceel is kleiner dan gemiddeld in Avereest. Het perceel is 1513 m² groot, terwijl het gemiddelde ligt op 6069,23 m². De grootste perceeloppervlakte in de kadastrale gemeente is 38,8 ha. De kleinste oppervlakte bedraagt 0 m². Er zijn geen andere adressen aanwezig op het perceel. In de Basisregistratie Kadaster (BRK) werden de grenzen van het perceel geregistreerd op 18-05-2011.
Er is geen energielabel geregistreerd voor het adres. Het hoogste energielabel in de straat is A+++; het laagste is G. Het gemiddelde energielabel is er A. Het adres Kelvinstraat 18 heeft als status: 'verblijfsobject in gebruik'. Het pand waarin dit adres ligt heeft als status: 'pand in gebruik'.
Kelvinstraat 18 is een adres gelegen in de gemeente Hardenberg, provincie Overijssel. Dit adres is geregistreerd in de Basisregistratie Adressen en Gebouwen (BAG) met als unieke identificatie 0160010000039593.
Het pand op Kelvinstraat 18 is gebouwd in 2003, wat betekent dat het 23 jaar oud is. Dit is een relatief modern pand. Ten opzichte van de nationale woningvoorraad is het pand relatief modern, maar er kunnen enkele verouderde elementen zijn die aandacht nodig hebben.
De woning op Kelvinstraat 18 heeft een gebruiksoppervlakte van 670 m². Dit is ruim vergeleken met de gemiddelde Nederlandse woning, die een oppervlakte heeft van ongeveer 119 m². De gebruiksoppervlakte is de maat die wordt gebruikt in de BAG-registratie, de landelijke registratie van de Nederlandse overheid.
Kelvinstraat 18 heeft als functie: industrie. Deze gebruiksfunctie(s) zijn vastgelegd in de BAG-registratie en geven aan waarvoor het adres officieel mag worden gebruikt.
Kelvinstraat 18 is gelegen op kadastraal perceel AVE00L5612. Deze kadastrale aanduiding is uniek en wordt gebruikt door het Kadaster om eigendomsrechten en andere zakelijke rechten vast te leggen. Het perceel maakt onderdeel uit van de kadastrale gemeente Avereest.
Het perceel waarop Kelvinstraat 18 staat heeft een oppervlakte van 1513 m². Dit is een zeer groot perceel. De perceeloppervlakte wordt geregistreerd door het Kadaster. Gedetailleerde informatie over de maten van dit perceel kunt u vinden in het rapport Kadastrale kaart met maatvoering van Kelvinstraat 18.
De eigenaar van Kelvinstraat 18 is op te vragen op deze pagina.
De informatie over dit adres is afkomstig uit officiële overheidsregistraties, voornamelijk de Basisregistratie Adressen en Gebouwen (BAG) en de Basisregistratie Kadaster (BRK). Deze gegevens worden beheerd door respectievelijk gemeenten en het Kadaster, en worden regelmatig bijgewerkt. Energielabelgegevens komen uit de database van de Rijksdienst voor Ondernemend Nederland (RVO).
