
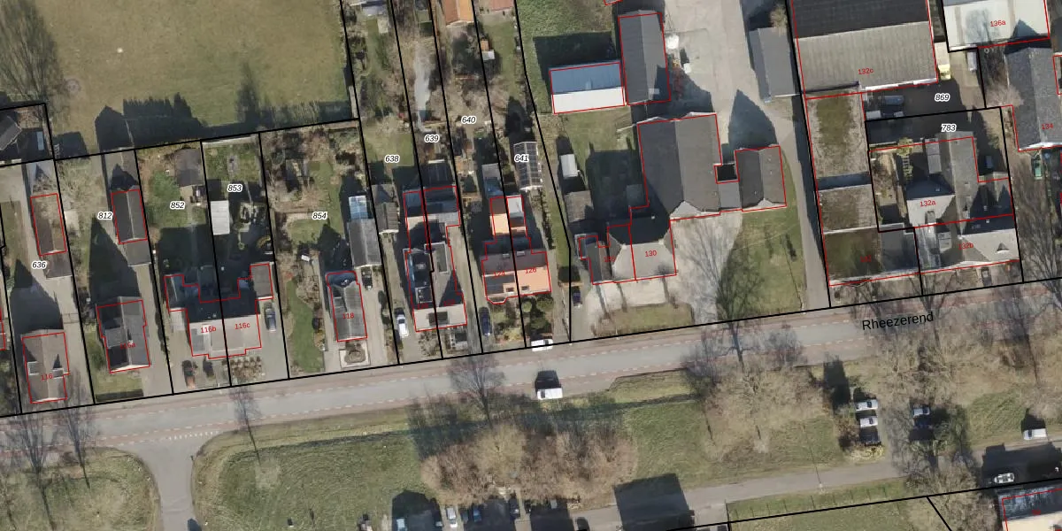
Het adres Rheezerend 126 bevindt zich in de plaats Dedemsvaart, in de gemeente Dedemsvaart en de provincie Overijssel. Het perceel waarop het verblijfsobject staat is 661 m² groot. De oppervlakte van het adres is 113 m², wat zich rond het Nederlandse gemiddelde van 119 m² bevindt. De oppervlakte van het adres is klein vergeleken met de andere objecten in de straat. De oppervlakte van het kleinste object in de straat bedraagt 15 m², terwijl het grootste object 1641 m² groot is. Het gebouw waarin Rheezerend 126 ligt komt uit het jaar 1955. Objecten die gebouwd zijn vóór 1965 classificeren we hier als oud. Veel andere gebouwen in de straat zijn ouder dan dit pand. Het oudste pand komt uit het jaar 1790 en het nieuwste uit 2025. De volgende gebruiksdoelen zijn geregistreerd voor dit adres: 'woonfunctie'.
Het adres is gelegen op perceel 641 in de sectie P en de kadastrale gemeente Avereest. De kadastrale aanduiding is aldus AVE00-P-641. Het perceel is 661 m² groot. Dat is kleiner dan de gemiddelde perceeloppervlakte in Avereest, dat op 6067,24 m² ligt. Het kleinste perceel in de kadastrale gemeente is 0 m² groot. De grootste perceeloppervlakte is 38,8 ha. Er zijn geen andere adressen aanwezig op het perceel. In de Basisregistratie Kadaster (BRK) werden de grenzen van het perceel geregistreerd op 09-04-2001.
Er is geen energielabel geregistreerd voor het adres. Het hoogste energielabel in de straat is A; het laagste is G. Het gemiddelde energielabel is er D. Het adres Rheezerend 126 heeft als status: 'verblijfsobject in gebruik'. Het pand waarin dit adres ligt heeft als status: 'pand in gebruik'.
Rheezerend 126 is een adres gelegen in de gemeente Hardenberg, provincie Overijssel. Dit adres is geregistreerd in de Basisregistratie Adressen en Gebouwen (BAG) met als unieke identificatie 0160010000002308.
Het pand op Rheezerend 126 is gebouwd in 1955, wat betekent dat het 71 jaar oud is. Dit is een ouder pand. Het pand heeft mogelijk aanzienlijke renovaties nodig om aan de huidige standaarden te voldoen.
De woning op Rheezerend 126 heeft een gebruiksoppervlakte van 113 m². Dit is onder het gemiddelde vergeleken met de gemiddelde Nederlandse woning, die een oppervlakte heeft van ongeveer 119 m². De gebruiksoppervlakte is de maat die wordt gebruikt in de BAG-registratie, de landelijke registratie van de Nederlandse overheid.
Rheezerend 126 heeft als functie: wonen. Deze gebruiksfunctie(s) zijn vastgelegd in de BAG-registratie en geven aan waarvoor het adres officieel mag worden gebruikt.
Rheezerend 126 is gelegen op kadastraal perceel AVE00P641. Deze kadastrale aanduiding is uniek en wordt gebruikt door het Kadaster om eigendomsrechten en andere zakelijke rechten vast te leggen. Het perceel maakt onderdeel uit van de kadastrale gemeente Avereest.
Het perceel waarop Rheezerend 126 staat heeft een oppervlakte van 661 m². Dit is een groot perceel. De perceeloppervlakte wordt geregistreerd door het Kadaster. Gedetailleerde informatie over de maten van dit perceel kunt u vinden in het rapport Kadastrale kaart met maatvoering van Rheezerend 126.
De eigenaar van Rheezerend 126 is op te vragen op deze pagina.
De informatie over dit adres is afkomstig uit officiële overheidsregistraties, voornamelijk de Basisregistratie Adressen en Gebouwen (BAG) en de Basisregistratie Kadaster (BRK). Deze gegevens worden beheerd door respectievelijk gemeenten en het Kadaster, en worden regelmatig bijgewerkt. Energielabelgegevens komen uit de database van de Rijksdienst voor Ondernemend Nederland (RVO).
