
Zuidwolderstraat 17 is gelegen in de plaats Dedemsvaart, de gemeente Hardenberg en de provincie Overijssel. Het object heeft een oppervlakte van 180 m², wat relatief groot is. Het perceel waarop het adres ligt is 2890 m² groot. In vergelijking met de andere adressen in de straat is de oppervlakte van dit object relatief groot. Het grootste verblijfsobject heeft een oppervlakte van 416 m², de oppervlakte van het kleinste object bedraagt 15 m². Zuidwolderstraat 17 ligt in een gebouw uit het jaar 1988. Daarmee behoort het tot de groep panden van na 1984, die we als relatief nieuw bestempelen. Vergeleken met de andere panden in de straat is dit gebouw nieuw. Het vroegste bouwjaar is er 1925 en het laatste is 2003. De volgende gebruiksdoelen zijn geregistreerd voor dit adres: 'woonfunctie'.
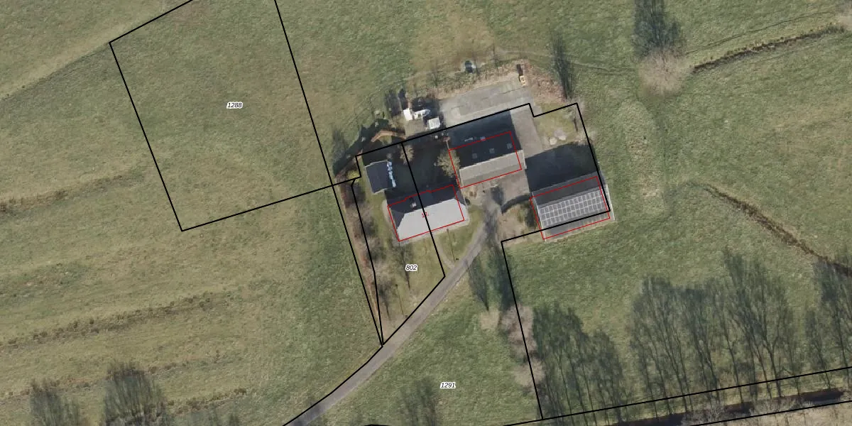
Het perceel waarop het adres ligt is AVE00-P-1291. De afkorting 'AVE00' staat voor kadastrale gemeente Avereest. Het perceel is 2890 m² groot. Dat is kleiner dan de gemiddelde perceeloppervlakte in Avereest, dat op 6067,24 m² ligt. Het grootste perceel in de kadastrale gemeente is 38,8 ha. Het kleinste perceel heeft een oppervlakte van 0 m². Dit is het enige adres dat aanwezig is op het perceel. De laatste wijziging in het de Basisregistratie Kadaster (BRK) was op 03-04-2025.
Er is geen energielabel geregistreerd voor het adres. Het hoogste energielabel in de straat is A; het laagste is G. Het gemiddelde energielabel is er A. Het adres Zuidwolderstraat 17 heeft als status: 'verblijfsobject in gebruik'. Het pand waarin dit adres ligt heeft als status: 'pand in gebruik'.
Zuidwolderstraat 17 is een adres gelegen in de gemeente Hardenberg, provincie Overijssel. Dit adres is geregistreerd in de Basisregistratie Adressen en Gebouwen (BAG) met als unieke identificatie 0160010000052853.
Het pand op Zuidwolderstraat 17 is gebouwd in 1988, wat betekent dat het 38 jaar oud is. Dit is een pand van middelbare leeftijd. Het pand is van gemiddelde leeftijd en zal waarschijnlijk verouderde elementen bevatten.
De woning op Zuidwolderstraat 17 heeft een gebruiksoppervlakte van 180 m². Dit is ruim vergeleken met de gemiddelde Nederlandse woning, die een oppervlakte heeft van ongeveer 119 m². De gebruiksoppervlakte is de maat die wordt gebruikt in de BAG-registratie, de landelijke registratie van de Nederlandse overheid.
Zuidwolderstraat 17 heeft als functie: wonen. Deze gebruiksfunctie(s) zijn vastgelegd in de BAG-registratie en geven aan waarvoor het adres officieel mag worden gebruikt.
Zuidwolderstraat 17 is gelegen op kadastraal perceel AVE00P1291. Deze kadastrale aanduiding is uniek en wordt gebruikt door het Kadaster om eigendomsrechten en andere zakelijke rechten vast te leggen. Het perceel maakt onderdeel uit van de kadastrale gemeente Avereest.
Het perceel waarop Zuidwolderstraat 17 staat heeft een oppervlakte van 2890 m². Dit is een zeer groot perceel. De perceeloppervlakte wordt geregistreerd door het Kadaster. Gedetailleerde informatie over de maten van dit perceel kunt u vinden in het rapport Kadastrale kaart met maatvoering van Zuidwolderstraat 17.
De eigenaar van Zuidwolderstraat 17 is op te vragen op deze pagina.
De informatie over dit adres is afkomstig uit officiële overheidsregistraties, voornamelijk de Basisregistratie Adressen en Gebouwen (BAG) en de Basisregistratie Kadaster (BRK). Deze gegevens worden beheerd door respectievelijk gemeenten en het Kadaster, en worden regelmatig bijgewerkt. Energielabelgegevens komen uit de database van de Rijksdienst voor Ondernemend Nederland (RVO).
