
Molukkenstraat 25 is een adres in Delft, dat zich bevindt binnen de gemeentegrenzen van Delft en de grenzen van de provincie Zuid-Holland. De oppervlakte van het object bedraagt 72 m². Dat is klein vergeleken met het Nederlandse gemiddelde. Het perceel waarop het adres ligt is 517 m² groot. Het adres is klein vergeleken met andere objecten in de straat. Het grootste object in de straat heeft een oppervlakte van 145 m², het kleinste is 12 m² groot. Molukkenstraat 25 bevindt zich in een pand uit het jaar 1961. Daarmee behoort het tot de groep relatief oude panden in Nederland die gebouwd zijn vóór 1965. Veel andere gebouwen in de straat zijn ouder dan dit pand. Het oudste pand komt uit het jaar 1937 en het nieuwste uit 1963. De volgende gebruiksdoelen zijn geregistreerd voor dit adres: 'woonfunctie'.
Deze woning is voor het laatst verkocht op 1 januari 2020. Meer informatie over deze transactie? Bestel het Woningtransactierapport om de verkoopprijs en andere informatie te zien.
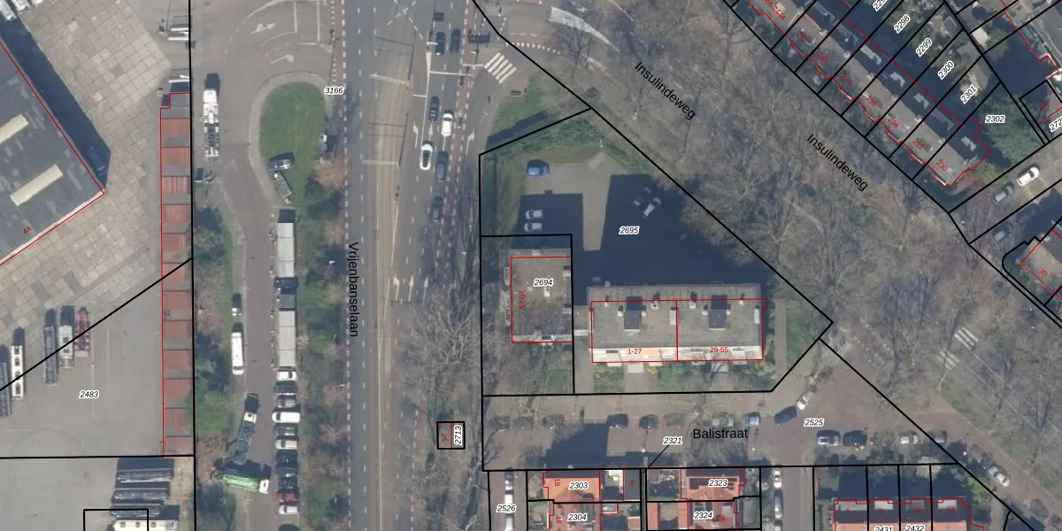
Het adres ligt op het perceel DEL00-N-2694, dat zich in de kadastrale gemeente Delft bevindt. Het perceel is 517 m² groot. Dat is kleiner dan de gemiddelde perceeloppervlakte in Delft, dat op 924,62 m² ligt. Het grootste perceel in de kadastrale gemeente is 64,1 ha. Het kleinste perceel heeft een oppervlakte van 0 m². Op het perceel zijn 6 adressen aanwezig. De huidige grenzen van het perceel zijn digitaal in de Basisregistratie Kadaster (BRK) geregistreerd op 05-01-2004.
Het adres ligt in een gebouw van het type 'flatwoning (overig) met het subtype hoekdak'. Bij de laatste meting is voor het adres het energielabel F geregistreerd. Het hoogste energielabel in de straat is A; het laagste is G. Het gemiddelde energielabel is er E. Het adres Molukkenstraat 25 heeft als status: 'verblijfsobject in gebruik'. Het pand waarin dit adres ligt heeft als status: 'pand in gebruik'.
Molukkenstraat 25 is een adres gelegen in de gemeente Delft, provincie Zuid-Holland. Dit adres is geregistreerd in de Basisregistratie Adressen en Gebouwen (BAG) met als unieke identificatie 0503010000042281.
Het pand op Molukkenstraat 25 is gebouwd in 1961, wat betekent dat het 65 jaar oud is. Dit is een ouder pand. Het pand heeft mogelijk aanzienlijke renovaties nodig om aan de huidige standaarden te voldoen.
De woning op Molukkenstraat 25 heeft een gebruiksoppervlakte van 72 m². Dit is relatief klein vergeleken met de gemiddelde Nederlandse woning, die een oppervlakte heeft van ongeveer 119 m². De gebruiksoppervlakte is de maat die wordt gebruikt in de BAG-registratie, de landelijke registratie van de Nederlandse overheid.
Molukkenstraat 25 heeft als functie: wonen. Deze gebruiksfunctie(s) zijn vastgelegd in de BAG-registratie en geven aan waarvoor het adres officieel mag worden gebruikt.
Molukkenstraat 25 is gelegen op kadastraal perceel DEL00N2694. Deze kadastrale aanduiding is uniek en wordt gebruikt door het Kadaster om eigendomsrechten en andere zakelijke rechten vast te leggen. Het perceel maakt onderdeel uit van de kadastrale gemeente Delft.
Het perceel waarop Molukkenstraat 25 staat heeft een oppervlakte van 517 m². Dit is een groot perceel. De perceeloppervlakte wordt geregistreerd door het Kadaster. Gedetailleerde informatie over de maten van dit perceel kunt u vinden in het rapport Kadastrale kaart met maatvoering van Molukkenstraat 25.
De eigenaar van Molukkenstraat 25 is op te vragen op deze pagina.
De informatie over dit adres is afkomstig uit officiële overheidsregistraties, voornamelijk de Basisregistratie Adressen en Gebouwen (BAG) en de Basisregistratie Kadaster (BRK). Deze gegevens worden beheerd door respectievelijk gemeenten en het Kadaster, en worden regelmatig bijgewerkt. Energielabelgegevens komen uit de database van de Rijksdienst voor Ondernemend Nederland (RVO).
