
Van Foreestweg 109 is gelegen in de plaats Delft, de gemeente Delft en de provincie Zuid-Holland. Het verblijfsobject is vergeleken met het Nederlandse gemiddelde aan de kleine kant: de oppervlakte is 82 m². Het perceel waarop het adres zich bevindt heeft een oppervlakte van 1046 m². Vergeleken met de andere verblijfsobjecten in de straat is dit object groot. De oppervlakte van het grootste object in de straat is 1975 m², die van het kleinste bedraagt 4 m². Het adres Van Foreestweg 109 ligt in een relatief oud pand uit het jaar 1958. Panden van vóór het jaar 1965 hebben we hier geclassificeerd als oud. Het nieuwste gebouw in de straat komt uit 2002 en het oudste uit 1957. Dit object is relatief oud. De volgende gebruiksdoelen zijn geregistreerd voor dit adres: 'woonfunctie'.
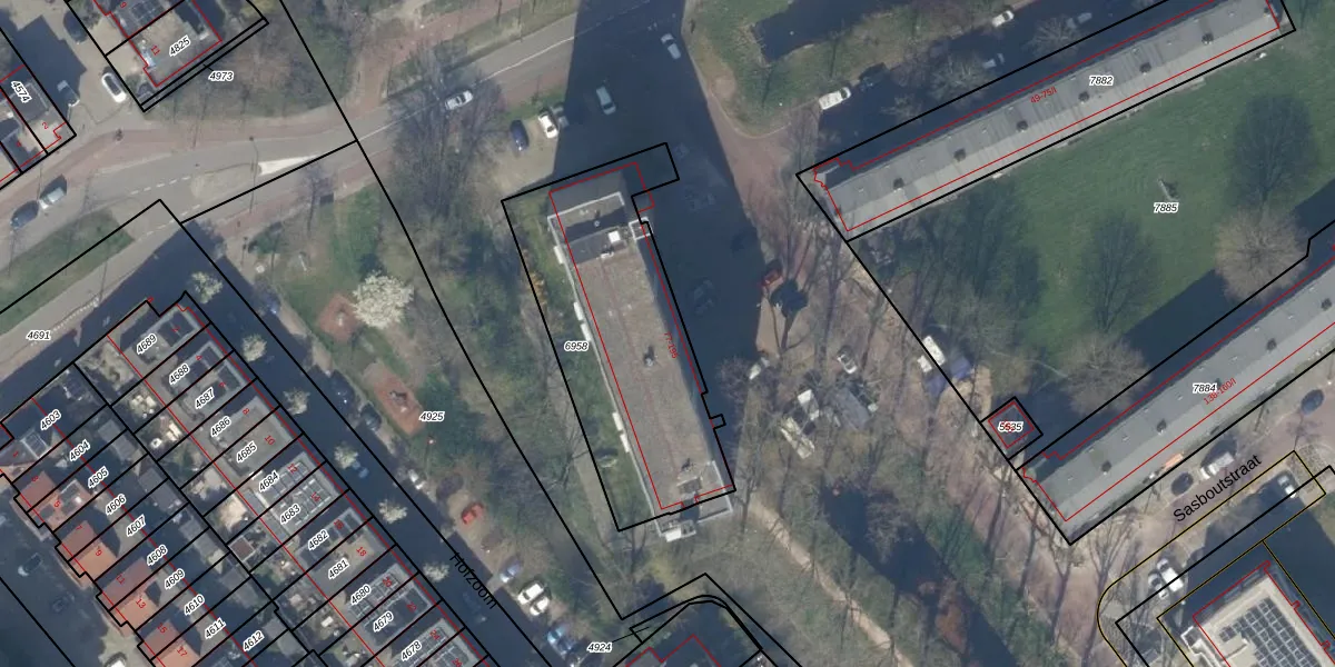
Het adres is gelegen op perceel 6958 in de sectie F en de kadastrale gemeente Delft. De kadastrale aanduiding is aldus DEL00-F-6958. De oppervlakte van het perceel is 1046 m². Dat is groter dan gemiddeld in Delft, waar de gemiddelde perceeloppervlakte op 924,62 m² ligt. De grootste perceeloppervlakte in de kadastrale gemeente is 64,1 ha. De kleinste oppervlakte bedraagt 0 m². Op het perceel liggen in totaal 60 adressen. De laatste wijziging in het de Basisregistratie Kadaster (BRK) was op 12-01-2005.
Het adres ligt in een gebouw van het type 'appartement met het subtype tussenmidden'. Bij de laatste meting is voor het adres het energielabel B geregistreerd. Het hoogste energielabel in de straat is A+++; het laagste is G. Het gemiddelde energielabel is er C. Het adres Van Foreestweg 109 heeft als status: 'verblijfsobject in gebruik'. Het pand waarin dit adres ligt heeft als status: 'pand in gebruik'.
Van Foreestweg 109 is een adres gelegen in de gemeente Delft, provincie Zuid-Holland. Dit adres is geregistreerd in de Basisregistratie Adressen en Gebouwen (BAG) met als unieke identificatie 0503010000018647.
Het pand op Van Foreestweg 109 is gebouwd in 1958, wat betekent dat het 68 jaar oud is. Dit is een ouder pand. Het pand heeft mogelijk aanzienlijke renovaties nodig om aan de huidige standaarden te voldoen.
De woning op Van Foreestweg 109 heeft een gebruiksoppervlakte van 82 m². Dit is onder het gemiddelde vergeleken met de gemiddelde Nederlandse woning, die een oppervlakte heeft van ongeveer 119 m². De gebruiksoppervlakte is de maat die wordt gebruikt in de BAG-registratie, de landelijke registratie van de Nederlandse overheid.
Van Foreestweg 109 heeft als functie: wonen. Deze gebruiksfunctie(s) zijn vastgelegd in de BAG-registratie en geven aan waarvoor het adres officieel mag worden gebruikt.
Van Foreestweg 109 is gelegen op kadastraal perceel DEL00F6958. Deze kadastrale aanduiding is uniek en wordt gebruikt door het Kadaster om eigendomsrechten en andere zakelijke rechten vast te leggen. Het perceel maakt onderdeel uit van de kadastrale gemeente Delft.
Het perceel waarop Van Foreestweg 109 staat heeft een oppervlakte van 1046 m². Dit is een zeer groot perceel. De perceeloppervlakte wordt geregistreerd door het Kadaster. Gedetailleerde informatie over de maten van dit perceel kunt u vinden in het rapport Kadastrale kaart met maatvoering van Van Foreestweg 109.
De eigenaar van Van Foreestweg 109 is op te vragen op deze pagina.
De informatie over dit adres is afkomstig uit officiële overheidsregistraties, voornamelijk de Basisregistratie Adressen en Gebouwen (BAG) en de Basisregistratie Kadaster (BRK). Deze gegevens worden beheerd door respectievelijk gemeenten en het Kadaster, en worden regelmatig bijgewerkt. Energielabelgegevens komen uit de database van de Rijksdienst voor Ondernemend Nederland (RVO).
