
Het adres Van Foreestweg 137 bevindt zich in de plaats Delft, in de gemeente Delft en de provincie Zuid-Holland. Het verblijfsobject is vergeleken met het Nederlandse gemiddelde aan de kleine kant: de oppervlakte is 66 m². Het perceel waarop het adres zich bevindt heeft een oppervlakte van 1046 m². De oppervlakte van het adres is klein vergeleken met de andere objecten in de straat. De oppervlakte van het kleinste object in de straat bedraagt 4 m², terwijl het grootste object 1975 m² groot is. Het adres Van Foreestweg 137 ligt in een relatief oud pand uit het jaar 1958. Panden van vóór het jaar 1965 hebben we hier geclassificeerd als oud. Het nieuwste gebouw in de straat komt uit 2002 en het oudste uit 1957. Dit object is relatief oud. De volgende gebruiksdoelen zijn geregistreerd voor dit adres: 'woonfunctie'.
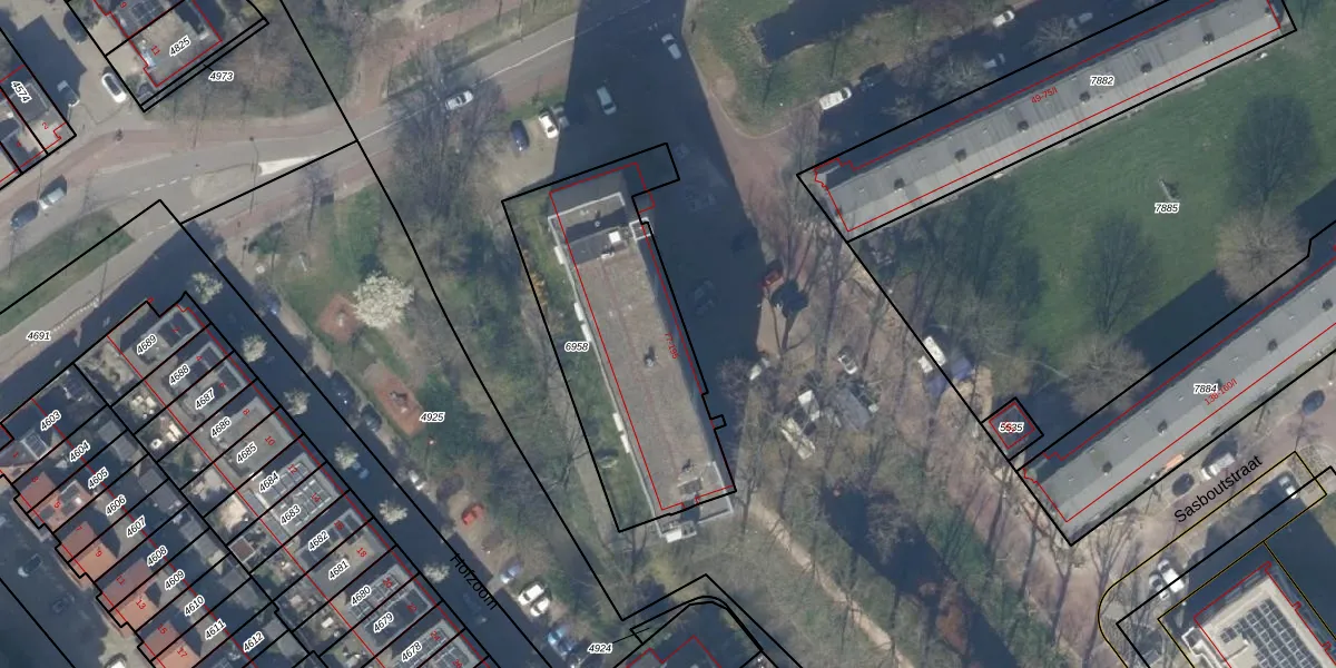
Het adres is gelegen op perceel 6958 in de sectie F en de kadastrale gemeente Delft. De kadastrale aanduiding is aldus DEL00-F-6958. De oppervlakte van het perceel is 1046 m². Dat is groter dan gemiddeld in Delft, waar de gemiddelde perceeloppervlakte op 923,41 m² ligt. De grootste perceeloppervlakte in de kadastrale gemeente is 64,1 ha. De kleinste oppervlakte bedraagt 0 m². Op het perceel liggen in totaal 60 adressen. In de Basisregistratie Kadaster (BRK) werden de grenzen van het perceel geregistreerd op 12-01-2005.
Het adres ligt in een gebouw van het type 'appartement met het subtype hoekmidden'. Bij de laatste meting is voor het adres het energielabel B geregistreerd. Het hoogste energielabel in de straat is A+++; het laagste is G. Het gemiddelde energielabel is er C. Het adres Van Foreestweg 137 heeft als status: 'verblijfsobject in gebruik'. Het pand waarin dit adres ligt heeft als status: 'pand in gebruik'.
Van Foreestweg 137 is een adres gelegen in de gemeente Delft, provincie Zuid-Holland. Dit adres is geregistreerd in de Basisregistratie Adressen en Gebouwen (BAG) met als unieke identificatie 0503010000018610.
Het pand op Van Foreestweg 137 is gebouwd in 1958, wat betekent dat het 68 jaar oud is. Dit is een ouder pand. Het pand heeft mogelijk aanzienlijke renovaties nodig om aan de huidige standaarden te voldoen.
De woning op Van Foreestweg 137 heeft een gebruiksoppervlakte van 66 m². Dit is relatief klein vergeleken met de gemiddelde Nederlandse woning, die een oppervlakte heeft van ongeveer 119 m². De gebruiksoppervlakte is de maat die wordt gebruikt in de BAG-registratie, de landelijke registratie van de Nederlandse overheid.
Van Foreestweg 137 heeft als functie: wonen. Deze gebruiksfunctie(s) zijn vastgelegd in de BAG-registratie en geven aan waarvoor het adres officieel mag worden gebruikt.
Van Foreestweg 137 is gelegen op kadastraal perceel DEL00F6958. Deze kadastrale aanduiding is uniek en wordt gebruikt door het Kadaster om eigendomsrechten en andere zakelijke rechten vast te leggen. Het perceel maakt onderdeel uit van de kadastrale gemeente Delft.
Het perceel waarop Van Foreestweg 137 staat heeft een oppervlakte van 1046 m². Dit is een zeer groot perceel. De perceeloppervlakte wordt geregistreerd door het Kadaster. Gedetailleerde informatie over de maten van dit perceel kunt u vinden in het rapport Kadastrale kaart met maatvoering van Van Foreestweg 137.
De eigenaar van Van Foreestweg 137 is op te vragen op deze pagina.
De informatie over dit adres is afkomstig uit officiële overheidsregistraties, voornamelijk de Basisregistratie Adressen en Gebouwen (BAG) en de Basisregistratie Kadaster (BRK). Deze gegevens worden beheerd door respectievelijk gemeenten en het Kadaster, en worden regelmatig bijgewerkt. Energielabelgegevens komen uit de database van de Rijksdienst voor Ondernemend Nederland (RVO).
