
Vulcanusweg 293-A is gelegen in de plaats Delft, de gemeente Delft en de provincie Zuid-Holland. Het verblijfsobject is vergeleken met het Nederlandse gemiddelde aan de kleine kant: de oppervlakte is 41 m². Het perceel waarop het adres zich bevindt heeft een oppervlakte van 1588 m². Het object is klein ten opzichte van de andere adressen in de straat. Het grootste verblijfsobject is 4211 m² groot en het kleinste is 7 m². Vulcanusweg 293-A ligt in een gebouw uit het jaar 2019. Daarmee behoort het tot de groep panden van na 1984, die we als relatief nieuw bestempelen. Dit object is relatief nieuw in de straat. Het nieuwste gebouw komt er uit het jaar 2024 en het oudste uit het jaar 1964. De volgende gebruiksdoelen zijn geregistreerd voor dit adres: 'woonfunctie'.
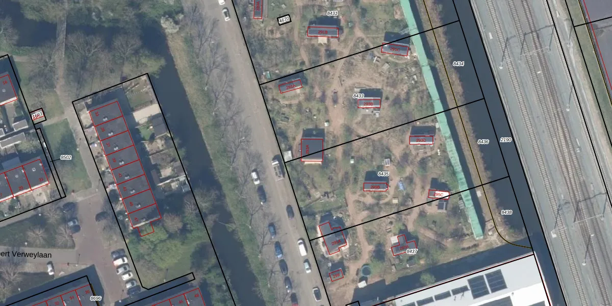
Het perceel waarop het adres ligt is DEL00-R-8433. De afkorting 'DEL00' staat voor kadastrale gemeente Delft. De oppervlakte van het perceel is 1588 m². Dat is groter dan gemiddeld in Delft, waar de gemiddelde perceeloppervlakte op 924,62 m² ligt. Het grootste perceel in de kadastrale gemeente is 64,1 ha. Het kleinste perceel heeft een oppervlakte van 0 m². Op het perceel liggen in totaal 4 adressen. De laatste wijziging in het de Basisregistratie Kadaster (BRK) was op 11-06-2021.
Er is geen energielabel geregistreerd voor het adres. Het hoogste energielabel in de straat is A++; het laagste is G. Het gemiddelde energielabel is er C. Het adres Vulcanusweg 293-A heeft als status: 'verblijfsobject in gebruik'. Het pand waarin dit adres ligt heeft als status: 'pand in gebruik'.
Vulcanusweg 293-A is een adres gelegen in de gemeente Delft, provincie Zuid-Holland. Dit adres is geregistreerd in de Basisregistratie Adressen en Gebouwen (BAG) met als unieke identificatie 0503010000069676.
Het pand op Vulcanusweg 293-A is gebouwd in 2019, wat betekent dat het 7 jaar oud is. Dit is een vrij nieuw pand. Het pand is dus waarschijnlijk goed geïsoleerd, geluidsdicht en voldoet aan de huidige bouwstandaarden. Op korte termijn zijn er waarschijnlijk weinig onderhoudskosten.
De woning op Vulcanusweg 293-A heeft een gebruiksoppervlakte van 41 m². Dit is relatief klein vergeleken met de gemiddelde Nederlandse woning, die een oppervlakte heeft van ongeveer 119 m². De gebruiksoppervlakte is de maat die wordt gebruikt in de BAG-registratie, de landelijke registratie van de Nederlandse overheid.
Vulcanusweg 293-A heeft als functie: wonen. Deze gebruiksfunctie(s) zijn vastgelegd in de BAG-registratie en geven aan waarvoor het adres officieel mag worden gebruikt.
Vulcanusweg 293-A is gelegen op kadastraal perceel DEL00R8433. Deze kadastrale aanduiding is uniek en wordt gebruikt door het Kadaster om eigendomsrechten en andere zakelijke rechten vast te leggen. Het perceel maakt onderdeel uit van de kadastrale gemeente Delft.
Het perceel waarop Vulcanusweg 293-A staat heeft een oppervlakte van 1588 m². Dit is een zeer groot perceel. De perceeloppervlakte wordt geregistreerd door het Kadaster. Gedetailleerde informatie over de maten van dit perceel kunt u vinden in het rapport Kadastrale kaart met maatvoering van Vulcanusweg 293-A.
De eigenaar van Vulcanusweg 293-A is op te vragen op deze pagina.
De informatie over dit adres is afkomstig uit officiële overheidsregistraties, voornamelijk de Basisregistratie Adressen en Gebouwen (BAG) en de Basisregistratie Kadaster (BRK). Deze gegevens worden beheerd door respectievelijk gemeenten en het Kadaster, en worden regelmatig bijgewerkt. Energielabelgegevens komen uit de database van de Rijksdienst voor Ondernemend Nederland (RVO).
