
Het adres Collatorlaan 2 bevindt zich in de plaats Delfzijl, in de gemeente Delfzijl en de provincie Groningen. De oppervlakte van het verblijfsobject is met 287 m² aan de grote kant. Het perceel heeft een oppervlakte van 1012 m². In vergelijking met de andere adressen in de straat is de oppervlakte van dit object relatief groot. Het grootste verblijfsobject heeft een oppervlakte van 338 m², de oppervlakte van het kleinste object bedraagt 14 m². Het gebouw waarin Collatorlaan 2 ligt komt uit het jaar 1962. Objecten die gebouwd zijn vóór 1965 classificeren we hier als oud. Gemiddeld zijn de gebouwen in de straat gebouwd in 1966. Dit is het oudste pand in de straat. Het meest recente komt uit het jaar 1977. Het verblijfsobject heeft de volgende gebruiksdoelen: 'woonfunctie'.
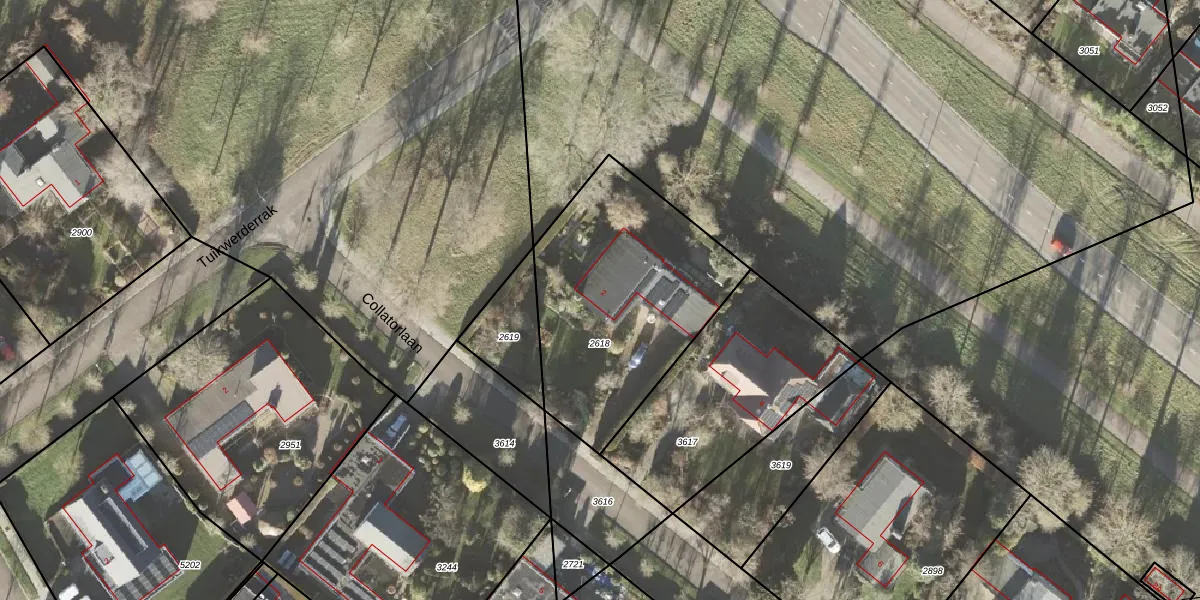
Het perceel waarop het adres ligt is DZL01-B-2618. De afkorting 'DZL01' staat voor kadastrale gemeente Delfzijl. Het perceel is kleiner dan gemiddeld in Delfzijl. Het perceel is 1012 m² groot, terwijl het gemiddelde ligt op 1,2 ha. Het kleinste perceel in de kadastrale gemeente is 0 m² groot. De grootste perceeloppervlakte is 43,10 km². Op het perceel bevinden zich geen andere adressen. In de Basisregistratie Kadaster (BRK) werden de grenzen van het perceel geregistreerd op 27-05-1999.
Er is geen energielabel geregistreerd voor het adres. Het hoogste energielabel in de straat is A+++; het laagste is G. Het gemiddelde energielabel is er B. Het adres Collatorlaan 2 heeft als status: 'verblijfsobject in gebruik'. Het pand waarin dit adres ligt heeft als status: 'pand in gebruik'.
Collatorlaan 2 is een adres gelegen in de gemeente Eemsdelta, provincie Groningen. Dit adres is geregistreerd in de Basisregistratie Adressen en Gebouwen (BAG) met als unieke identificatie 0010010000057412.
Het pand op Collatorlaan 2 is gebouwd in 1962, wat betekent dat het 64 jaar oud is. Dit is een ouder pand. Het pand heeft mogelijk aanzienlijke renovaties nodig om aan de huidige standaarden te voldoen.
De woning op Collatorlaan 2 heeft een gebruiksoppervlakte van 287 m². Dit is ruim vergeleken met de gemiddelde Nederlandse woning, die een oppervlakte heeft van ongeveer 119 m². De gebruiksoppervlakte is de maat die wordt gebruikt in de BAG-registratie, de landelijke registratie van de Nederlandse overheid.
Collatorlaan 2 heeft als functie: wonen. Deze gebruiksfunctie(s) zijn vastgelegd in de BAG-registratie en geven aan waarvoor het adres officieel mag worden gebruikt.
Collatorlaan 2 is gelegen op kadastraal perceel DZL01B2618. Deze kadastrale aanduiding is uniek en wordt gebruikt door het Kadaster om eigendomsrechten en andere zakelijke rechten vast te leggen. Het perceel maakt onderdeel uit van de kadastrale gemeente Delfzijl.
Het perceel waarop Collatorlaan 2 staat heeft een oppervlakte van 1012 m². Dit is een zeer groot perceel. De perceeloppervlakte wordt geregistreerd door het Kadaster. Gedetailleerde informatie over de maten van dit perceel kunt u vinden in het rapport Kadastrale kaart met maatvoering van Collatorlaan 2.
De eigenaar van Collatorlaan 2 is op te vragen op deze pagina.
De informatie over dit adres is afkomstig uit officiële overheidsregistraties, voornamelijk de Basisregistratie Adressen en Gebouwen (BAG) en de Basisregistratie Kadaster (BRK). Deze gegevens worden beheerd door respectievelijk gemeenten en het Kadaster, en worden regelmatig bijgewerkt. Energielabelgegevens komen uit de database van de Rijksdienst voor Ondernemend Nederland (RVO).
