
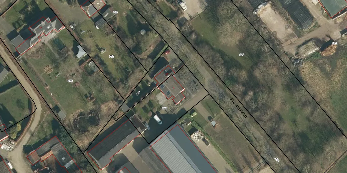
Het adres Preutelsteeg 2 bevindt zich in de plaats Den Dungen, in de gemeente Den Dungen en de provincie Noord-Brabant. De oppervlakte van het verblijfsobject is met 207 m² aan de grote kant. Het perceel heeft een oppervlakte van 995 m². Dit is het adres met de grootste oppervlakte van alle adressen in de straat. Gemiddeld hebben de objecten in de straat een oppervlakte van 146 m². De kleinste oppervlakte is er 85 m². In Nederland komt het grootste deel van de gebouwen uit de periode 1965-1984. Ook het bouwjaar van Preutelsteeg 2 is afkomstig uit die periode: het betreft namelijk een pand uit 1975. Gemiddeld zijn de gebouwen in de straat gebouwd in 1980. Dit is het oudste pand in de straat. Het meest recente komt uit het jaar 1985. Voor het verblijfsobject gelden deze gebruiksdoelen: 'woonfunctie' en 'industriefunctie'.
Het adres ligt op het perceel DGN02-G-846, dat zich in de kadastrale gemeente Den Dungen bevindt. De gemiddelde perceelgrootte in Den Dungen is 2029,03 m². Dit perceel is kleiner: de perceeloppervlakte bedraagt 995 m². Het grootste perceel in de kadastrale gemeente is 22,2 ha. Het kleinste perceel heeft een oppervlakte van 0 m². Op het perceel bevinden zich geen andere adressen. In de Basisregistratie Kadaster (BRK) werden de grenzen van het perceel geregistreerd op 17-08-2005.
Er is geen energielabel geregistreerd voor het adres. Het hoogste energielabel in de straat is G; het laagste is G. Het gemiddelde energielabel is er G. Het adres Preutelsteeg 2 heeft als status: 'verblijfsobject in gebruik'. Het pand waarin dit adres ligt heeft als status: 'pand in gebruik'.
Preutelsteeg 2 is een adres gelegen in de gemeente Sint-Michielsgestel, provincie Noord-Brabant. Dit adres is geregistreerd in de Basisregistratie Adressen en Gebouwen (BAG) met als unieke identificatie 0845010000010189.
Het pand op Preutelsteeg 2 is gebouwd in 1975, wat betekent dat het 51 jaar oud is. Dit is een ouder pand. Het pand heeft mogelijk aanzienlijke renovaties nodig om aan de huidige standaarden te voldoen.
De woning op Preutelsteeg 2 heeft een gebruiksoppervlakte van 207 m². Dit is ruim vergeleken met de gemiddelde Nederlandse woning, die een oppervlakte heeft van ongeveer 119 m². De gebruiksoppervlakte is de maat die wordt gebruikt in de BAG-registratie, de landelijke registratie van de Nederlandse overheid.
Preutelsteeg 2 heeft als functie: wonen en industrie. Deze gebruiksfunctie(s) zijn vastgelegd in de BAG-registratie en geven aan waarvoor het adres officieel mag worden gebruikt.
Preutelsteeg 2 is gelegen op kadastraal perceel DGN02G846. Deze kadastrale aanduiding is uniek en wordt gebruikt door het Kadaster om eigendomsrechten en andere zakelijke rechten vast te leggen. Het perceel maakt onderdeel uit van de kadastrale gemeente Den Dungen.
Het perceel waarop Preutelsteeg 2 staat heeft een oppervlakte van 995 m². Dit is een groot perceel. De perceeloppervlakte wordt geregistreerd door het Kadaster. Gedetailleerde informatie over de maten van dit perceel kunt u vinden in het rapport Kadastrale kaart met maatvoering van Preutelsteeg 2.
De eigenaar van Preutelsteeg 2 is op te vragen op deze pagina
De informatie over dit adres is afkomstig uit officiële overheidsregistraties, voornamelijk de Basisregistratie Adressen en Gebouwen (BAG) en de Basisregistratie Kadaster (BRK). Deze gegevens worden beheerd door respectievelijk gemeenten en het Kadaster, en worden regelmatig bijgewerkt. Energielabelgegevens komen uit de database van de Rijksdienst voor Ondernemend Nederland (RVO).
