
Stroothuizerweg 1-A is een adres in Denekamp, dat zich bevindt binnen de gemeentegrenzen van Denekamp en de grenzen van de provincie Overijssel. De oppervlakte bedraagt 452 m², waarmee het adres groter dan gemiddeld is. De grootte van het perceel waarop het adres ligt is 1770 m². In de straat is dit het adres met de grootste oppervlakte. De objecten in de straat zijn gemiddeld 191 m² groot. Het kleinste verblijfsobject heeft een oppervlakte van 4 m². Het pand waarin Stroothuizerweg 1-A ligt is gebouwd in het jaar 2013. Panden die gebouwd zijn na het jaar 1984 noemen we hier relatief nieuw. In de straat is dit het nieuwste pand en stamt het oudste object uit het jaar 1800. Het gemiddelde bouwjaar in de straat is 1958. Het verblijfsobject heeft de volgende gebruiksdoelen: 'woonfunctie'.
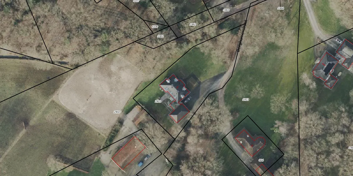
Het perceel waarop het adres ligt is DNK00-P-2401. De afkorting 'DNK00' staat voor kadastrale gemeente Denekamp. Het perceel is kleiner dan gemiddeld in Denekamp. Het perceel is 1770 m² groot, terwijl het gemiddelde ligt op 7336,98 m². Het kleinste perceel in de kadastrale gemeente is 0 m² groot. De grootste perceeloppervlakte is 42,5 ha. Er zijn geen andere adressen aanwezig op het perceel. De huidige grenzen van het perceel zijn digitaal in de Basisregistratie Kadaster (BRK) geregistreerd op 07-07-2017.
Er is geen energielabel geregistreerd voor het adres. Het hoogste energielabel in de straat is A; het laagste is G. Het gemiddelde energielabel is er D. Het adres Stroothuizerweg 1-A heeft als status: 'verblijfsobject in gebruik'. Het pand waarin dit adres ligt heeft als status: 'pand in gebruik'.
Stroothuizerweg 1-A is een adres gelegen in de gemeente Dinkelland, provincie Overijssel. Dit adres is geregistreerd in de Basisregistratie Adressen en Gebouwen (BAG) met als unieke identificatie 1774010000282894.
Het pand op Stroothuizerweg 1-A is gebouwd in 2013, wat betekent dat het 13 jaar oud is. Dit is een relatief modern pand. Ten opzichte van de nationale woningvoorraad is het pand relatief modern, maar er kunnen enkele verouderde elementen zijn die aandacht nodig hebben.
De woning op Stroothuizerweg 1-A heeft een gebruiksoppervlakte van 452 m². Dit is ruim vergeleken met de gemiddelde Nederlandse woning, die een oppervlakte heeft van ongeveer 119 m². De gebruiksoppervlakte is de maat die wordt gebruikt in de BAG-registratie, de landelijke registratie van de Nederlandse overheid.
Stroothuizerweg 1-A heeft als functie: wonen. Deze gebruiksfunctie(s) zijn vastgelegd in de BAG-registratie en geven aan waarvoor het adres officieel mag worden gebruikt.
Stroothuizerweg 1-A is gelegen op kadastraal perceel DNK00P2401. Deze kadastrale aanduiding is uniek en wordt gebruikt door het Kadaster om eigendomsrechten en andere zakelijke rechten vast te leggen. Het perceel maakt onderdeel uit van de kadastrale gemeente Denekamp.
Het perceel waarop Stroothuizerweg 1-A staat heeft een oppervlakte van 1770 m². Dit is een zeer groot perceel. De perceeloppervlakte wordt geregistreerd door het Kadaster. Gedetailleerde informatie over de maten van dit perceel kunt u vinden in het rapport Kadastrale kaart met maatvoering van Stroothuizerweg 1-A.
De eigenaar van Stroothuizerweg 1-A is op te vragen op deze pagina
De informatie over dit adres is afkomstig uit officiële overheidsregistraties, voornamelijk de Basisregistratie Adressen en Gebouwen (BAG) en de Basisregistratie Kadaster (BRK). Deze gegevens worden beheerd door respectievelijk gemeenten en het Kadaster, en worden regelmatig bijgewerkt. Energielabelgegevens komen uit de database van de Rijksdienst voor Ondernemend Nederland (RVO).
