
Beerse 92 is gelegen in de plaats Deurne, de gemeente Deurne en de provincie Noord-Brabant. Het perceel waarop het adres gelegen is heeft een oppervlakte van 2705 m². Het verblijfsobject is met 53 m² relatief klein. Het object is klein ten opzichte van de andere adressen in de straat. Het grootste verblijfsobject is 788 m² groot en het kleinste is 34 m². Beerse 92 ligt in een gebouw uit het jaar 2010. Daarmee behoort het tot de groep panden van na 1984, die we als relatief nieuw bestempelen. Het gemiddelde bouwjaar in de straat is 1990 en dat van het oudste pand is 1977. Dit is het nieuwste object in de straat. Voor het verblijfsobject gelden deze gebruiksdoelen: 'woonfunctie'.
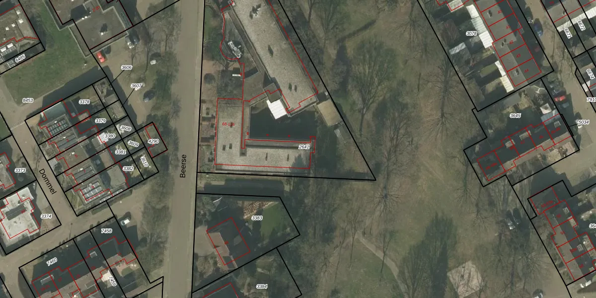
Het perceel waarop het adres ligt is DNE00-L-2641. De afkorting 'DNE00' staat voor kadastrale gemeente Deurne. De gemiddelde perceelgrootte in Deurne is 5819,44 m². Dit perceel is kleiner: de perceeloppervlakte bedraagt 2705 m². Het grootste perceel in de kadastrale gemeente is 3,71 km². Het kleinste perceel heeft een oppervlakte van 0 m². Er zijn 25 adressen aanwezig op het perceel. De laatste wijziging in het de Basisregistratie Kadaster (BRK) was op 21-11-2002.
Er is geen energielabel geregistreerd voor het adres. Het hoogste energielabel in de straat is A; het laagste is G. Het gemiddelde energielabel is er C. Het adres Beerse 92 heeft als status: 'verblijfsobject in gebruik'. Het pand waarin dit adres ligt heeft als status: 'pand in gebruik'.
Beerse 92 is een adres gelegen in de gemeente Deurne, provincie Noord-Brabant. Dit adres is geregistreerd in de Basisregistratie Adressen en Gebouwen (BAG) met als unieke identificatie 0762010000015070.
Het pand op Beerse 92 is gebouwd in 2010, wat betekent dat het 16 jaar oud is. Dit is een relatief modern pand. Ten opzichte van de nationale woningvoorraad is het pand relatief modern, maar er kunnen enkele verouderde elementen zijn die aandacht nodig hebben.
De woning op Beerse 92 heeft een gebruiksoppervlakte van 53 m². Dit is relatief klein vergeleken met de gemiddelde Nederlandse woning, die een oppervlakte heeft van ongeveer 119 m². De gebruiksoppervlakte is de maat die wordt gebruikt in de BAG-registratie, de landelijke registratie van de Nederlandse overheid.
Beerse 92 heeft als functie: wonen. Deze gebruiksfunctie(s) zijn vastgelegd in de BAG-registratie en geven aan waarvoor het adres officieel mag worden gebruikt.
Beerse 92 is gelegen op kadastraal perceel DNE00L2641. Deze kadastrale aanduiding is uniek en wordt gebruikt door het Kadaster om eigendomsrechten en andere zakelijke rechten vast te leggen. Het perceel maakt onderdeel uit van de kadastrale gemeente Deurne.
Het perceel waarop Beerse 92 staat heeft een oppervlakte van 2705 m². Dit is een zeer groot perceel. De perceeloppervlakte wordt geregistreerd door het Kadaster. Gedetailleerde informatie over de maten van dit perceel kunt u vinden in het rapport Kadastrale kaart met maatvoering van Beerse 92.
De eigenaar van Beerse 92 is op te vragen op deze pagina.
De informatie over dit adres is afkomstig uit officiële overheidsregistraties, voornamelijk de Basisregistratie Adressen en Gebouwen (BAG) en de Basisregistratie Kadaster (BRK). Deze gegevens worden beheerd door respectievelijk gemeenten en het Kadaster, en worden regelmatig bijgewerkt. Energielabelgegevens komen uit de database van de Rijksdienst voor Ondernemend Nederland (RVO).
