Product Functies Prijzen Meer

Adressen

Gebruik de zoekbalk of klik op een perceel voor informatie over de adressen binnen dit perceel.
Locatie
Meten
Lagen
Download

Bosven 24

5751NK, Deurne

€ 1519312 Wat moet ik bieden voor deze woning?
166 m²
woonfunctie
321 m² perceeloppervlakte
?

Bosven 24 is een adres in Deurne, dat zich bevindt binnen de gemeentegrenzen van Deurne en de grenzen van de provincie Noord-Brabant. Het object heeft een oppervlakte van 166 m², wat relatief groot is. Het perceel waarop het adres ligt is 321 m² groot. In vergelijking met de andere adressen in de straat is de oppervlakte van dit object relatief groot. Het grootste verblijfsobject heeft een oppervlakte van 180 m², de oppervlakte van het kleinste object bedraagt 107 m². Het pand waarin Bosven 24 ligt is gebouwd in het jaar 2022. Panden die gebouwd zijn na het jaar 1984 noemen we hier relatief nieuw. Het gemiddelde bouwjaar in de straat is 2016 en dat van het oudste pand is 2013. Dit is het nieuwste object in de straat. Voor het verblijfsobject gelden deze gebruiksdoelen: 'woonfunctie'.

Perceel

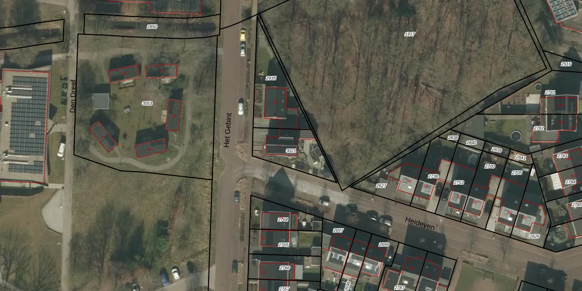
Het perceel waarop het adres ligt is DNE00-B-3021. De afkorting 'DNE00' staat voor kadastrale gemeente Deurne. De gemiddelde perceelgrootte in Deurne is 5819,15 m². Dit perceel is kleiner: de perceeloppervlakte bedraagt 321 m². Het kleinste perceel in de kadastrale gemeente is 0 m² groot. De grootste perceeloppervlakte is 3,71 km². Dit is het enige adres dat aanwezig is op het perceel. De huidige grenzen van het perceel zijn digitaal in de Basisregistratie Kadaster (BRK) geregistreerd op 20-04-2020.

Energielabel en status

Er is geen energielabel geregistreerd voor het adres. Het hoogste energielabel in de straat is A+; het laagste is G. Het gemiddelde energielabel is er A. Het adres Bosven 24 heeft als status: 'verblijfsobject in gebruik'. Het pand waarin dit adres ligt heeft als status: 'pand in gebruik'.

Meer lezen

Adres

Gebruiksoppervlakte
166 m²
Bruto vloeroppervlakte
TTfc7bMhflK81ohyf79Upgrade naar KadastraleKaart Pro
Gebruiksdoel(en)
Woonfunctie
Status
Verblijfsobject in gebruik
Type
Onbekend
Gasloos
komv0g MQ9gdytzmNqUpgrade naar KadastraleKaart Pro
Gebeurtenissen
Appartementsrechten
1IAYYUAXE6jrvxVzPYzUpgrade naar KadastraleKaart Pro
Eigenaar
Eigendomsinformatie 12,95
Adresinformatie bestellen
Adrespakket 34,95
VBO ID
0762010000017564

Pand

Bouwjaar pand
2022
Aantal adressen in dit gebouw
1 adres
Hoogte pand
t1lsjAMl J9K3 mqR vj9Upgrade naar KadastraleKaart Pro
Aantal bouwlagen (schatting)
SfE23pdtAAUpgrade naar KadastraleKaart Pro
Volume
0jOs9jqjCG2XPNmICI1aUpgrade naar KadastraleKaart Pro
Oppervlakte dak
x i fW0 B9F7IxvptUpgrade naar KadastraleKaart Pro
Oppervlakte buitenmuur
qsy v1HtkNrqQvc7kUpgrade naar KadastraleKaart Pro
Status pand
Pand in gebruik
Pand ID
0762100000040333

Perceel

Kadastrale aanduiding
Deurne B 3021 (DNE00 B 3021)
Oppervlakte
321 m²
Maatvoering
Kadastrale kaart met maatvoering 59,95
Omtrek
80 meter
Datum laatst gewijzigd
20/04/2020
Aantal adressen op perceel
1
Hoogte boven N.A.P.
JKm J vf0Upgrade naar KadastraleKaart Pro

Veelgestelde vragen

Bosven 24 is een adres gelegen in de gemeente Deurne, provincie Noord-Brabant. Dit adres is geregistreerd in de Basisregistratie Adressen en Gebouwen (BAG) met als unieke identificatie 0762010000017564.

Het pand op Bosven 24 is gebouwd in 2022, wat betekent dat het 4 jaar oud is. Dit is een vrij nieuw pand. Het pand is dus waarschijnlijk goed geïsoleerd, geluidsdicht en voldoet aan de huidige bouwstandaarden. Op korte termijn zijn er waarschijnlijk weinig onderhoudskosten.

De woning op Bosven 24 heeft een gebruiksoppervlakte van 166 m². Dit is ruim vergeleken met de gemiddelde Nederlandse woning, die een oppervlakte heeft van ongeveer 119 m². De gebruiksoppervlakte is de maat die wordt gebruikt in de BAG-registratie, de landelijke registratie van de Nederlandse overheid.

Bosven 24 heeft als functie: wonen. Deze gebruiksfunctie(s) zijn vastgelegd in de BAG-registratie en geven aan waarvoor het adres officieel mag worden gebruikt.

Bosven 24 is gelegen op kadastraal perceel DNE00B3021. Deze kadastrale aanduiding is uniek en wordt gebruikt door het Kadaster om eigendomsrechten en andere zakelijke rechten vast te leggen. Het perceel maakt onderdeel uit van de kadastrale gemeente Deurne.

Het perceel waarop Bosven 24 staat heeft een oppervlakte van 321 m². Dit is een groot perceel. De perceeloppervlakte wordt geregistreerd door het Kadaster. Gedetailleerde informatie over de maten van dit perceel kunt u vinden in het rapport Kadastrale kaart met maatvoering van Bosven 24.

De eigenaar van Bosven 24 is op te vragen op deze pagina

De informatie over dit adres is afkomstig uit officiële overheidsregistraties, voornamelijk de Basisregistratie Adressen en Gebouwen (BAG) en de Basisregistratie Kadaster (BRK). Deze gegevens worden beheerd door respectievelijk gemeenten en het Kadaster, en worden regelmatig bijgewerkt. Energielabelgegevens komen uit de database van de Rijksdienst voor Ondernemend Nederland (RVO).

Maatvoeringsrapport

Biedadvies

Loop uw droomhuis niet mis met ons biedadvies.
Loop uw droomhuis niet mis met ons biedadvies.
Maatvoeringsrapport

Bestel het adrespakket

Kom alles te weten over Bosven 24 met het adrespakket.
Kom alles te weten over Bosven 24 met het adrespakket.

360°-foto's van de omgeving

Google Street View
Upgrade nu voor 360° Street View foto's

Zon en schaduw rondom adres

Buurt
De Vennen
Inwoners: 1.460
Woningen: 156
Wijk
Deurne
Inwoners: 13.800
Woningen: 546
Gemeente
Deurne
Inwoners: 33.180
Woningen: 14.165