
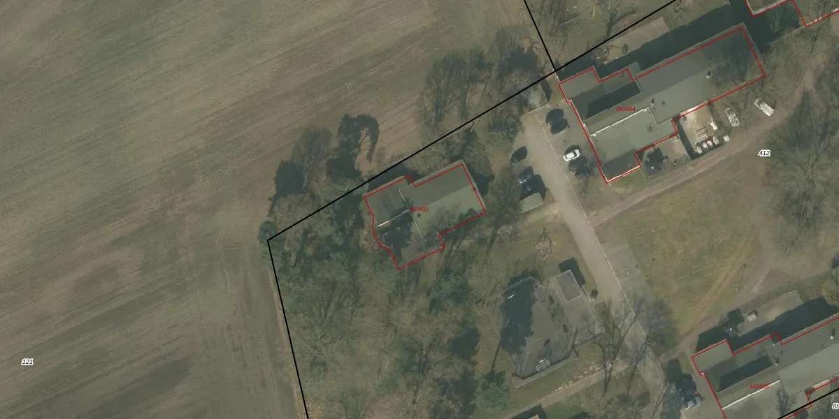
Meester de Jonghlaan 4-GA02 is een adres in Deurne, dat zich bevindt binnen de gemeentegrenzen van Deurne en de grenzen van de provincie Noord-Brabant. De oppervlakte bedraagt 444 m², waarmee het adres groter dan gemiddeld is. De grootte van het perceel waarop het adres ligt is 3,2 ha. Het object is klein ten opzichte van de andere adressen in de straat. Het grootste verblijfsobject is 1469 m² groot en het kleinste is 16 m². Meester de Jonghlaan 4-GA02 ligt in een gebouw uit het jaar 1994. Daarmee behoort het tot de groep panden van na 1984, die we als relatief nieuw bestempelen. Veel andere gebouwen in de straat zijn ouder dan dit pand. Het oudste pand komt uit het jaar 1948 en het nieuwste uit 2011. De volgende gebruiksdoelen zijn geregistreerd voor dit adres: 'logiesfunctie'.
Het perceel waarop het adres ligt is DNE00-R-412. De afkorting 'DNE00' staat voor kadastrale gemeente Deurne. De oppervlakte van het perceel is 3,2 ha. Dat is groter dan gemiddeld in Deurne, waar de gemiddelde perceeloppervlakte op 5820,59 m² ligt. Het grootste perceel in de kadastrale gemeente is 3,71 km². Het kleinste perceel heeft een oppervlakte van 0 m². Op het perceel zijn 11 adressen aanwezig. De huidige grenzen van het perceel zijn digitaal in de Basisregistratie Kadaster (BRK) geregistreerd op 12-05-2011.
Er is geen energielabel geregistreerd voor het adres. Het hoogste energielabel in de straat is B; het laagste is G. Het gemiddelde energielabel is er D. Het adres Meester de Jonghlaan 4-GA02 heeft als status: 'verblijfsobject in gebruik'. Het pand waarin dit adres ligt heeft als status: 'pand in gebruik'.
Meester de Jonghlaan 4-GA02 is een adres gelegen in de gemeente Deurne, provincie Noord-Brabant. Dit adres is geregistreerd in de Basisregistratie Adressen en Gebouwen (BAG) met als unieke identificatie 0762010000015928.
Het pand op Meester de Jonghlaan 4-GA02 is gebouwd in 1994, wat betekent dat het 32 jaar oud is. Dit is een pand van middelbare leeftijd. Het pand is van gemiddelde leeftijd en zal waarschijnlijk verouderde elementen bevatten.
De woning op Meester de Jonghlaan 4-GA02 heeft een gebruiksoppervlakte van 444 m². Dit is ruim vergeleken met de gemiddelde Nederlandse woning, die een oppervlakte heeft van ongeveer 119 m². De gebruiksoppervlakte is de maat die wordt gebruikt in de BAG-registratie, de landelijke registratie van de Nederlandse overheid.
Meester de Jonghlaan 4-GA02 heeft als functie: logies/verblijf. Deze gebruiksfunctie(s) zijn vastgelegd in de BAG-registratie en geven aan waarvoor het adres officieel mag worden gebruikt.
Meester de Jonghlaan 4-GA02 is gelegen op kadastraal perceel DNE00R412. Deze kadastrale aanduiding is uniek en wordt gebruikt door het Kadaster om eigendomsrechten en andere zakelijke rechten vast te leggen. Het perceel maakt onderdeel uit van de kadastrale gemeente Deurne.
Het perceel waarop Meester de Jonghlaan 4-GA02 staat heeft een oppervlakte van 3,2 ha. Dit is een zeer groot perceel. De perceeloppervlakte wordt geregistreerd door het Kadaster. Gedetailleerde informatie over de maten van dit perceel kunt u vinden in het rapport Kadastrale kaart met maatvoering van Meester de Jonghlaan 4-GA02.
De eigenaar van Meester de Jonghlaan 4-GA02 is op te vragen op deze pagina.
De informatie over dit adres is afkomstig uit officiële overheidsregistraties, voornamelijk de Basisregistratie Adressen en Gebouwen (BAG) en de Basisregistratie Kadaster (BRK). Deze gegevens worden beheerd door respectievelijk gemeenten en het Kadaster, en worden regelmatig bijgewerkt. Energielabelgegevens komen uit de database van de Rijksdienst voor Ondernemend Nederland (RVO).
