
Grevelingenstraat 92 is gelegen in de plaats Deventer, de gemeente Deventer en de provincie Overijssel. De oppervlakte van het object bedraagt 66 m². Dat is klein vergeleken met het Nederlandse gemiddelde. Het perceel waarop het adres ligt is 787 m² groot. Het object is klein ten opzichte van de andere adressen in de straat. Het grootste verblijfsobject is 533 m² groot en het kleinste is 16 m². Grevelingenstraat 92 bevindt zich in een pand uit het jaar 1963. Daarmee behoort het tot de groep relatief oude panden in Nederland die gebouwd zijn vóór 1965. Dit is het oudste object in de straat. Het nieuwste pand komt uit 1973 en het gemiddelde bouwjaar in de straat is 1965. Het verblijfsobject heeft de volgende gebruiksdoelen: 'woonfunctie'.
Deze woning is voor het laatst verkocht op 1 december 2020. Meer informatie over deze transactie? Bestel het Woningtransactierapport om de verkoopprijs en andere informatie te zien.
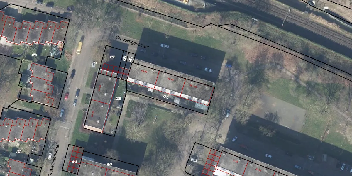
Het perceel waarop het adres ligt is DVT00-G-533. De afkorting 'DVT00' staat voor kadastrale gemeente Deventer. Het perceel is kleiner dan gemiddeld in Deventer. Het perceel is 787 m² groot, terwijl het gemiddelde ligt op 1300,45 m². Het grootste perceel in de kadastrale gemeente is 59,4 ha. Het kleinste perceel heeft een oppervlakte van 0 m². Op het perceel zijn 21 adressen aanwezig. De laatste wijziging in het de Basisregistratie Kadaster (BRK) was op 26-07-2012.
Er is geen energielabel geregistreerd voor het adres. Het hoogste energielabel in de straat is A; het laagste is G. Het gemiddelde energielabel is er C. Het adres Grevelingenstraat 92 heeft als status: 'verblijfsobject in gebruik'. Het pand waarin dit adres ligt heeft als status: 'pand in gebruik'.
Grevelingenstraat 92 is een adres gelegen in de gemeente Deventer, provincie Overijssel. Dit adres is geregistreerd in de Basisregistratie Adressen en Gebouwen (BAG) met als unieke identificatie 0150010000017436.
Het pand op Grevelingenstraat 92 is gebouwd in 1963, wat betekent dat het 63 jaar oud is. Dit is een ouder pand. Het pand heeft mogelijk aanzienlijke renovaties nodig om aan de huidige standaarden te voldoen.
De woning op Grevelingenstraat 92 heeft een gebruiksoppervlakte van 66 m². Dit is relatief klein vergeleken met de gemiddelde Nederlandse woning, die een oppervlakte heeft van ongeveer 119 m². De gebruiksoppervlakte is de maat die wordt gebruikt in de BAG-registratie, de landelijke registratie van de Nederlandse overheid.
Grevelingenstraat 92 heeft als functie: wonen. Deze gebruiksfunctie(s) zijn vastgelegd in de BAG-registratie en geven aan waarvoor het adres officieel mag worden gebruikt.
Grevelingenstraat 92 is gelegen op kadastraal perceel DVT00G533. Deze kadastrale aanduiding is uniek en wordt gebruikt door het Kadaster om eigendomsrechten en andere zakelijke rechten vast te leggen. Het perceel maakt onderdeel uit van de kadastrale gemeente Deventer.
Het perceel waarop Grevelingenstraat 92 staat heeft een oppervlakte van 787 m². Dit is een groot perceel. De perceeloppervlakte wordt geregistreerd door het Kadaster. Gedetailleerde informatie over de maten van dit perceel kunt u vinden in het rapport Kadastrale kaart met maatvoering van Grevelingenstraat 92.
De eigenaar van Grevelingenstraat 92 is op te vragen op deze pagina.
De informatie over dit adres is afkomstig uit officiële overheidsregistraties, voornamelijk de Basisregistratie Adressen en Gebouwen (BAG) en de Basisregistratie Kadaster (BRK). Deze gegevens worden beheerd door respectievelijk gemeenten en het Kadaster, en worden regelmatig bijgewerkt. Energielabelgegevens komen uit de database van de Rijksdienst voor Ondernemend Nederland (RVO).
