
Het adres Havezatelaan 147-G-3 bevindt zich in de plaats Deventer, in de gemeente Deventer en de provincie Overijssel. De oppervlakte van het object bedraagt 16 m². Dat is klein vergeleken met het Nederlandse gemiddelde. Het perceel waarop het adres ligt is 209 m² groot. In de straat is dit het kleinste object. Het grootste verblijfsobject heeft een oppervlakte van 340 m². De gemiddelde grootte is er 87 m². De meeste Nederlandse gebouwen zijn gebouwd in de periode 1965-1984. Zo ook het pand waarin Havezatelaan 147-G-3 ligt, dat gebouwd is in 1968. Veel andere gebouwen in de straat zijn ouder dan dit pand. Het oudste pand komt uit het jaar 1920 en het nieuwste uit 2007. De volgende gebruiksdoelen zijn geregistreerd voor dit adres: 'overige gebruiksfunctie'.
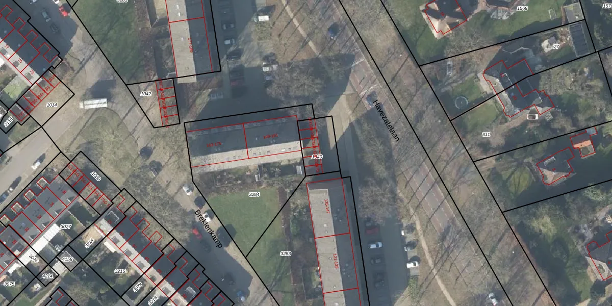
Het perceel waarop het adres ligt is DVT00-F-1040. De afkorting 'DVT00' staat voor kadastrale gemeente Deventer. Het perceel is 209 m² groot. Dat is kleiner dan de gemiddelde perceeloppervlakte in Deventer, dat op 1300,7 m² ligt. De grootste perceeloppervlakte in de kadastrale gemeente is 59,4 ha. De kleinste oppervlakte bedraagt 0 m². Op het perceel zijn 6 adressen aanwezig. In de Basisregistratie Kadaster (BRK) werden de grenzen van het perceel geregistreerd op 20-09-2005.
Er is geen energielabel geregistreerd voor het adres. Het hoogste energielabel in de straat is A+; het laagste is G. Het gemiddelde energielabel is er C. Het adres Havezatelaan 147-G-3 heeft als status: 'verblijfsobject in gebruik'. Het pand waarin dit adres ligt heeft als status: 'pand in gebruik'.
Havezatelaan 147-G-3 is een adres gelegen in de gemeente Deventer, provincie Overijssel. Dit adres is geregistreerd in de Basisregistratie Adressen en Gebouwen (BAG) met als unieke identificatie 0150010000022137.
Het pand op Havezatelaan 147-G-3 is gebouwd in 1968, wat betekent dat het 58 jaar oud is. Dit is een ouder pand. Het pand heeft mogelijk aanzienlijke renovaties nodig om aan de huidige standaarden te voldoen.
De woning op Havezatelaan 147-G-3 heeft een gebruiksoppervlakte van 16 m². Dit is relatief klein vergeleken met de gemiddelde Nederlandse woning, die een oppervlakte heeft van ongeveer 119 m². De gebruiksoppervlakte is de maat die wordt gebruikt in de BAG-registratie, de landelijke registratie van de Nederlandse overheid.
Havezatelaan 147-G-3 heeft als functie: overige doeleinden. Deze gebruiksfunctie(s) zijn vastgelegd in de BAG-registratie en geven aan waarvoor het adres officieel mag worden gebruikt.
Havezatelaan 147-G-3 is gelegen op kadastraal perceel DVT00F1040. Deze kadastrale aanduiding is uniek en wordt gebruikt door het Kadaster om eigendomsrechten en andere zakelijke rechten vast te leggen. Het perceel maakt onderdeel uit van de kadastrale gemeente Deventer.
Het perceel waarop Havezatelaan 147-G-3 staat heeft een oppervlakte van 209 m². Dit is een middelgroot perceel. De perceeloppervlakte wordt geregistreerd door het Kadaster. Gedetailleerde informatie over de maten van dit perceel kunt u vinden in het rapport Kadastrale kaart met maatvoering van Havezatelaan 147-G-3.
De eigenaar van Havezatelaan 147-G-3 is op te vragen op deze pagina.
De informatie over dit adres is afkomstig uit officiële overheidsregistraties, voornamelijk de Basisregistratie Adressen en Gebouwen (BAG) en de Basisregistratie Kadaster (BRK). Deze gegevens worden beheerd door respectievelijk gemeenten en het Kadaster, en worden regelmatig bijgewerkt. Energielabelgegevens komen uit de database van de Rijksdienst voor Ondernemend Nederland (RVO).
