
Landsherenlaan 73 is een adres in Deventer, dat zich bevindt binnen de gemeentegrenzen van Deventer en de grenzen van de provincie Overijssel. De oppervlakte van het object bedraagt 79 m². Dat is klein vergeleken met het Nederlandse gemiddelde. Het perceel waarop het adres ligt is 380 m² groot. Het object is klein ten opzichte van de andere adressen in de straat. Het grootste verblijfsobject is 151 m² groot en het kleinste is 64 m². In het jaar 2010 is het pand waarin Landsherenlaan 73 ligt gebouwd. Dat is relatief recent: de meeste gebouwen in Nederland zijn gebouwd in de periode 1965-1984. Veel andere gebouwen in de straat zijn ouder dan dit pand. Het oudste pand komt uit het jaar 1967 en het nieuwste uit 2022. De volgende gebruiksdoelen zijn geregistreerd voor dit adres: 'woonfunctie' en 'gezondheidszorgfunctie'.
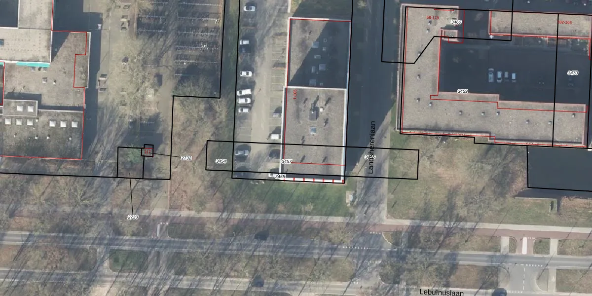
Het perceel waarop het adres ligt is DVT00-F-3457. De afkorting 'DVT00' staat voor kadastrale gemeente Deventer. Het perceel is 380 m² groot. Dat is kleiner dan de gemiddelde perceeloppervlakte in Deventer, dat op 1300,45 m² ligt. De grootste perceeloppervlakte in de kadastrale gemeente is 59,4 ha. De kleinste oppervlakte bedraagt 0 m². Op het perceel zijn 6 adressen aanwezig. De huidige grenzen van het perceel zijn digitaal in de Basisregistratie Kadaster (BRK) geregistreerd op 15-04-2010.
Het adres ligt in een gebouw van het type 'maisonnette met het subtype hoekmidden'. Bij de laatste meting is voor het adres het energielabel A geregistreerd. Het hoogste energielabel in de straat is A+++; het laagste is G. Het gemiddelde energielabel is er A. Het adres Landsherenlaan 73 heeft als status: 'verblijfsobject in gebruik'. Het pand waarin dit adres ligt heeft als status: 'pand in gebruik'.
Landsherenlaan 73 is een adres gelegen in de gemeente Deventer, provincie Overijssel. Dit adres is geregistreerd in de Basisregistratie Adressen en Gebouwen (BAG) met als unieke identificatie 0150010000048373.
Het pand op Landsherenlaan 73 is gebouwd in 2010, wat betekent dat het 16 jaar oud is. Dit is een relatief modern pand. Ten opzichte van de nationale woningvoorraad is het pand relatief modern, maar er kunnen enkele verouderde elementen zijn die aandacht nodig hebben.
De woning op Landsherenlaan 73 heeft een gebruiksoppervlakte van 79 m². Dit is onder het gemiddelde vergeleken met de gemiddelde Nederlandse woning, die een oppervlakte heeft van ongeveer 119 m². De gebruiksoppervlakte is de maat die wordt gebruikt in de BAG-registratie, de landelijke registratie van de Nederlandse overheid.
Landsherenlaan 73 heeft als functie: wonen en gezondheidszorg. Deze gebruiksfunctie(s) zijn vastgelegd in de BAG-registratie en geven aan waarvoor het adres officieel mag worden gebruikt.
Landsherenlaan 73 is gelegen op kadastraal perceel DVT00F3457. Deze kadastrale aanduiding is uniek en wordt gebruikt door het Kadaster om eigendomsrechten en andere zakelijke rechten vast te leggen. Het perceel maakt onderdeel uit van de kadastrale gemeente Deventer.
Het perceel waarop Landsherenlaan 73 staat heeft een oppervlakte van 380 m². Dit is een groot perceel. De perceeloppervlakte wordt geregistreerd door het Kadaster. Gedetailleerde informatie over de maten van dit perceel kunt u vinden in het rapport Kadastrale kaart met maatvoering van Landsherenlaan 73.
De eigenaar van Landsherenlaan 73 is op te vragen op deze pagina.
De informatie over dit adres is afkomstig uit officiële overheidsregistraties, voornamelijk de Basisregistratie Adressen en Gebouwen (BAG) en de Basisregistratie Kadaster (BRK). Deze gegevens worden beheerd door respectievelijk gemeenten en het Kadaster, en worden regelmatig bijgewerkt. Energielabelgegevens komen uit de database van de Rijksdienst voor Ondernemend Nederland (RVO).
