
Het adres Lebuïnuslaan 92 bevindt zich in de plaats Deventer, in de gemeente Deventer en de provincie Overijssel. Het perceel waarop het adres gelegen is heeft een oppervlakte van 3173 m². Het verblijfsobject is met 70 m² relatief klein. Het adres is klein vergeleken met andere objecten in de straat. Het grootste object in de straat heeft een oppervlakte van 8834 m², het kleinste is 8 m² groot. In Nederland komt het grootste deel van de gebouwen uit de periode 1965-1984. Ook het bouwjaar van Lebuïnuslaan 92 is afkomstig uit die periode: het betreft namelijk een pand uit 1965. Het gemiddelde bouwjaar in de straat is 1965 en dat van het nieuwste object 1983. In de straat is dit het oudste pand. De volgende gebruiksdoelen zijn geregistreerd voor dit adres: 'woonfunctie'.
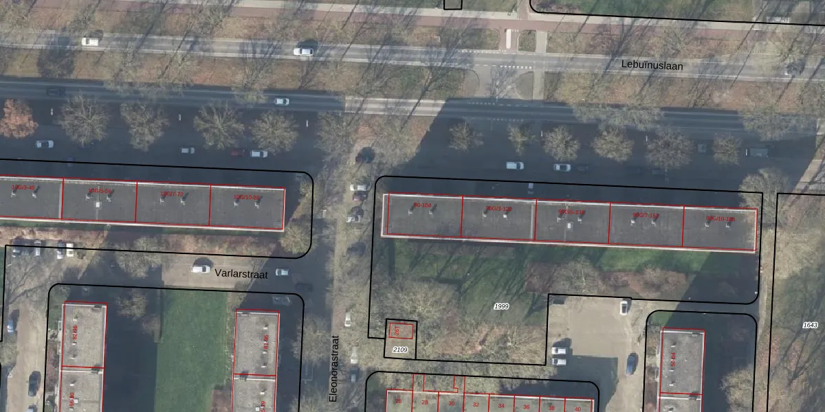
Het adres ligt op het perceel DVT00-F-1999, dat zich in de kadastrale gemeente Deventer bevindt. De oppervlakte van het perceel is 3173 m². Dat is groter dan gemiddeld in Deventer, waar de gemiddelde perceeloppervlakte op 1300,75 m² ligt. Het grootste perceel in de kadastrale gemeente is 59,4 ha. Het kleinste perceel heeft een oppervlakte van 0 m². Er zijn 50 adressen aanwezig op het perceel. In de Basisregistratie Kadaster (BRK) werden de grenzen van het perceel geregistreerd op 20-04-2010.
Het adres ligt in een gebouw van het type 'flatwoning (overig) met het subtype hoekmidden'. Bij de laatste meting is voor het adres het energielabel F geregistreerd. Het hoogste energielabel in de straat is E; het laagste is G. Het gemiddelde energielabel is er F. Het adres Lebuïnuslaan 92 heeft als status: 'verblijfsobject in gebruik'. Het pand waarin dit adres ligt heeft als status: 'pand in gebruik'.
Lebuïnuslaan 92 is een adres gelegen in de gemeente Deventer, provincie Overijssel. Dit adres is geregistreerd in de Basisregistratie Adressen en Gebouwen (BAG) met als unieke identificatie 0150010000024500.
Het pand op Lebuïnuslaan 92 is gebouwd in 1965, wat betekent dat het 61 jaar oud is. Dit is een ouder pand. Het pand heeft mogelijk aanzienlijke renovaties nodig om aan de huidige standaarden te voldoen.
De woning op Lebuïnuslaan 92 heeft een gebruiksoppervlakte van 70 m². Dit is relatief klein vergeleken met de gemiddelde Nederlandse woning, die een oppervlakte heeft van ongeveer 119 m². De gebruiksoppervlakte is de maat die wordt gebruikt in de BAG-registratie, de landelijke registratie van de Nederlandse overheid.
Lebuïnuslaan 92 heeft als functie: wonen. Deze gebruiksfunctie(s) zijn vastgelegd in de BAG-registratie en geven aan waarvoor het adres officieel mag worden gebruikt.
Lebuïnuslaan 92 is gelegen op kadastraal perceel DVT00F1999. Deze kadastrale aanduiding is uniek en wordt gebruikt door het Kadaster om eigendomsrechten en andere zakelijke rechten vast te leggen. Het perceel maakt onderdeel uit van de kadastrale gemeente Deventer.
Het perceel waarop Lebuïnuslaan 92 staat heeft een oppervlakte van 3173 m². Dit is een zeer groot perceel. De perceeloppervlakte wordt geregistreerd door het Kadaster. Gedetailleerde informatie over de maten van dit perceel kunt u vinden in het rapport Kadastrale kaart met maatvoering van Lebuïnuslaan 92.
De eigenaar van Lebuïnuslaan 92 is op te vragen op deze pagina.
De informatie over dit adres is afkomstig uit officiële overheidsregistraties, voornamelijk de Basisregistratie Adressen en Gebouwen (BAG) en de Basisregistratie Kadaster (BRK). Deze gegevens worden beheerd door respectievelijk gemeenten en het Kadaster, en worden regelmatig bijgewerkt. Energielabelgegevens komen uit de database van de Rijksdienst voor Ondernemend Nederland (RVO).
