
Ludgerstraat 16 is een adres in Deventer, dat zich bevindt binnen de gemeentegrenzen van Deventer en de grenzen van de provincie Overijssel. Het verblijfsobject is vergeleken met het Nederlandse gemiddelde aan de kleine kant: de oppervlakte is 89 m². Het perceel waarop het adres zich bevindt heeft een oppervlakte van 1410 m². De oppervlakte van het adres is klein vergeleken met de andere objecten in de straat. De oppervlakte van het kleinste object in de straat bedraagt 55 m², terwijl het grootste object 9630 m² groot is. Het gebouw waarin Ludgerstraat 16 ligt komt uit het jaar 1964. Objecten die gebouwd zijn vóór 1965 classificeren we hier als oud. Gemiddeld zijn de gebouwen in de straat gebouwd in 1968. Dit is het oudste pand in de straat. Het meest recente komt uit het jaar 2024. Het verblijfsobject heeft de volgende gebruiksdoelen: 'woonfunctie'.
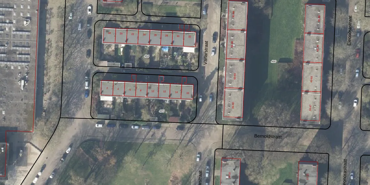
Het adres is gelegen op perceel 485 in de sectie F en de kadastrale gemeente Deventer. De kadastrale aanduiding is aldus DVT00-F-485. De gemiddelde perceeloppervlakte in de kadastrale gemeente Deventer is 1301,51 m². Dit perceel is met zijn 1410 m² dus groter dan gemiddeld. Het kleinste perceel in de kadastrale gemeente is 0 m² groot. De grootste perceeloppervlakte is 59,4 ha. Op het perceel liggen in totaal 8 adressen. De huidige grenzen van het perceel zijn digitaal in de Basisregistratie Kadaster (BRK) geregistreerd op 20-04-2010.
Het adres ligt in een gebouw van het type 'twee-onder-een-kap / rijwoning hoek met het subtype rijwoning'. Bij de laatste meting is voor het adres het energielabel E geregistreerd. Het hoogste energielabel in de straat is C; het laagste is G. Het gemiddelde energielabel is er D. Het adres Ludgerstraat 16 heeft als status: 'verblijfsobject in gebruik'. Het pand waarin dit adres ligt heeft als status: 'pand in gebruik'.
Ludgerstraat 16 is een adres gelegen in de gemeente Deventer, provincie Overijssel. Dit adres is geregistreerd in de Basisregistratie Adressen en Gebouwen (BAG) met als unieke identificatie 0150010000022927.
Het pand op Ludgerstraat 16 is gebouwd in 1964, wat betekent dat het 62 jaar oud is. Dit is een ouder pand. Het pand heeft mogelijk aanzienlijke renovaties nodig om aan de huidige standaarden te voldoen.
De woning op Ludgerstraat 16 heeft een gebruiksoppervlakte van 89 m². Dit is onder het gemiddelde vergeleken met de gemiddelde Nederlandse woning, die een oppervlakte heeft van ongeveer 119 m². De gebruiksoppervlakte is de maat die wordt gebruikt in de BAG-registratie, de landelijke registratie van de Nederlandse overheid.
Ludgerstraat 16 heeft als functie: wonen. Deze gebruiksfunctie(s) zijn vastgelegd in de BAG-registratie en geven aan waarvoor het adres officieel mag worden gebruikt.
Ludgerstraat 16 is gelegen op kadastraal perceel DVT00F485. Deze kadastrale aanduiding is uniek en wordt gebruikt door het Kadaster om eigendomsrechten en andere zakelijke rechten vast te leggen. Het perceel maakt onderdeel uit van de kadastrale gemeente Deventer.
Het perceel waarop Ludgerstraat 16 staat heeft een oppervlakte van 1410 m². Dit is een zeer groot perceel. De perceeloppervlakte wordt geregistreerd door het Kadaster. Gedetailleerde informatie over de maten van dit perceel kunt u vinden in het rapport Kadastrale kaart met maatvoering van Ludgerstraat 16.
De eigenaar van Ludgerstraat 16 is op te vragen op deze pagina
De informatie over dit adres is afkomstig uit officiële overheidsregistraties, voornamelijk de Basisregistratie Adressen en Gebouwen (BAG) en de Basisregistratie Kadaster (BRK). Deze gegevens worden beheerd door respectievelijk gemeenten en het Kadaster, en worden regelmatig bijgewerkt. Energielabelgegevens komen uit de database van de Rijksdienst voor Ondernemend Nederland (RVO).
