
Het adres P.C. Hooftlaan 105 bevindt zich in de plaats Deventer, in de gemeente Deventer en de provincie Overijssel. Het perceel waarop het adres gelegen is heeft een oppervlakte van 1,2 ha. Het verblijfsobject is met 47 m² relatief klein. Het adres is klein vergeleken met andere objecten in de straat. Het grootste object in de straat heeft een oppervlakte van 2878 m², het kleinste is 28 m² groot. P.C. Hooftlaan 105 bevindt zich in een pand uit het jaar 1958. Daarmee behoort het tot de groep relatief oude panden in Nederland die gebouwd zijn vóór 1965. Het bouwjaar is oud vergeleken met dat van de andere panden in de straat. Het oudste bouwjaar is er 1957 en de nieuwste is 1960. Het verblijfsobject heeft de volgende gebruiksdoelen: 'woonfunctie'.
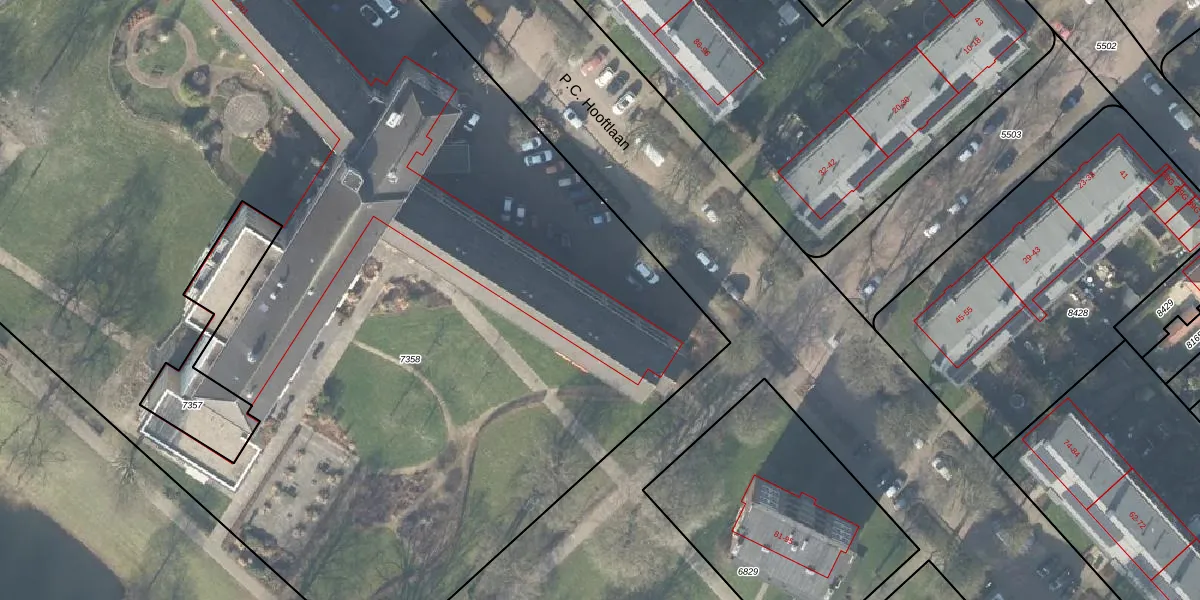
Het adres ligt op het perceel DVT00-A-7358, dat zich in de kadastrale gemeente Deventer bevindt. De gemiddelde perceeloppervlakte in de kadastrale gemeente Deventer is 1300,79 m². Dit perceel is met zijn 1,2 ha dus groter dan gemiddeld. Het grootste perceel in de kadastrale gemeente is 59,4 ha. Het kleinste perceel heeft een oppervlakte van 0 m². Er zijn 110 adressen aanwezig op het perceel. In de Basisregistratie Kadaster (BRK) werden de grenzen van het perceel geregistreerd op 25-02-2002.
Het adres ligt in een gebouw van het type 'appartement met het subtype tussenvloer'. Bij de laatste meting is voor het adres het energielabel A geregistreerd. Het hoogste energielabel in de straat is A; het laagste is G. Het gemiddelde energielabel is er C. Het adres P.C. Hooftlaan 105 heeft als status: 'verblijfsobject in gebruik'. Het pand waarin dit adres ligt heeft als status: 'pand in gebruik'.
P.C. Hooftlaan 105 is een adres gelegen in de gemeente Deventer, provincie Overijssel. Dit adres is geregistreerd in de Basisregistratie Adressen en Gebouwen (BAG) met als unieke identificatie 0150010000015324.
Het pand op P.C. Hooftlaan 105 is gebouwd in 1958, wat betekent dat het 68 jaar oud is. Dit is een ouder pand. Het pand heeft mogelijk aanzienlijke renovaties nodig om aan de huidige standaarden te voldoen.
De woning op P.C. Hooftlaan 105 heeft een gebruiksoppervlakte van 47 m². Dit is relatief klein vergeleken met de gemiddelde Nederlandse woning, die een oppervlakte heeft van ongeveer 119 m². De gebruiksoppervlakte is de maat die wordt gebruikt in de BAG-registratie, de landelijke registratie van de Nederlandse overheid.
P.C. Hooftlaan 105 heeft als functie: wonen. Deze gebruiksfunctie(s) zijn vastgelegd in de BAG-registratie en geven aan waarvoor het adres officieel mag worden gebruikt.
P.C. Hooftlaan 105 is gelegen op kadastraal perceel DVT00A7358. Deze kadastrale aanduiding is uniek en wordt gebruikt door het Kadaster om eigendomsrechten en andere zakelijke rechten vast te leggen. Het perceel maakt onderdeel uit van de kadastrale gemeente Deventer.
Het perceel waarop P.C. Hooftlaan 105 staat heeft een oppervlakte van 1,2 ha. Dit is een zeer groot perceel. De perceeloppervlakte wordt geregistreerd door het Kadaster. Gedetailleerde informatie over de maten van dit perceel kunt u vinden in het rapport Kadastrale kaart met maatvoering van P.C. Hooftlaan 105.
De eigenaar van P.C. Hooftlaan 105 is op te vragen op deze pagina.
De informatie over dit adres is afkomstig uit officiële overheidsregistraties, voornamelijk de Basisregistratie Adressen en Gebouwen (BAG) en de Basisregistratie Kadaster (BRK). Deze gegevens worden beheerd door respectievelijk gemeenten en het Kadaster, en worden regelmatig bijgewerkt. Energielabelgegevens komen uit de database van de Rijksdienst voor Ondernemend Nederland (RVO).
