
Prof. C. Eijkmanstraat 17 is een adres in Deventer, dat zich bevindt binnen de gemeentegrenzen van Deventer en de grenzen van de provincie Overijssel. De oppervlakte van het verblijfsobject is met 272 m² aan de grote kant. Het perceel heeft een oppervlakte van 926 m². De oppervlakte van dit adres is groot vergeleken met de oppervlaktes van andere adressen in de straat. De kleinste oppervlakte bedraagt er 16 m², de grootste 308 m². In Nederland komt het grootste deel van de gebouwen uit de periode 1965-1984. Ook het bouwjaar van Prof. C. Eijkmanstraat 17 is afkomstig uit die periode: het betreft namelijk een pand uit 1970. Dit object is relatief nieuw in de straat. Het nieuwste gebouw komt er uit het jaar 1997 en het oudste uit het jaar 1952. Voor het verblijfsobject gelden deze gebruiksdoelen: 'woonfunctie'.
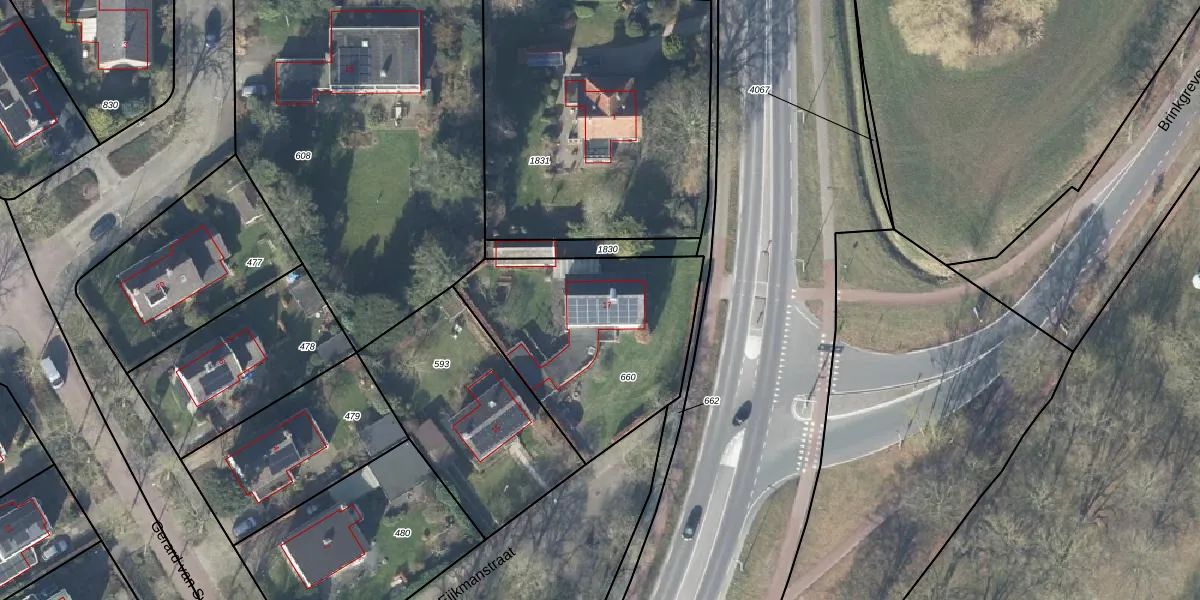
Het adres ligt op het perceel DVT00-F-660, dat zich in de kadastrale gemeente Deventer bevindt. De gemiddelde perceelgrootte in Deventer is 1300,83 m². Dit perceel is kleiner: de perceeloppervlakte bedraagt 926 m². Het grootste perceel in de kadastrale gemeente is 59,4 ha. Het kleinste perceel heeft een oppervlakte van 0 m². Op het perceel bevinden zich geen andere adressen. De huidige grenzen van het perceel zijn digitaal in de Basisregistratie Kadaster (BRK) geregistreerd op 16-11-2011.
Er is geen energielabel geregistreerd voor het adres. Het hoogste energielabel in de straat is A; het laagste is G. Het gemiddelde energielabel is er D. Het adres Prof. C. Eijkmanstraat 17 heeft als status: 'verblijfsobject in gebruik'. Het pand waarin dit adres ligt heeft als status: 'pand in gebruik'.
Prof. C. Eijkmanstraat 17 is een adres gelegen in de gemeente Deventer, provincie Overijssel. Dit adres is geregistreerd in de Basisregistratie Adressen en Gebouwen (BAG) met als unieke identificatie 0150010000028892.
Het pand op Prof. C. Eijkmanstraat 17 is gebouwd in 1970, wat betekent dat het 56 jaar oud is. Dit is een ouder pand. Het pand heeft mogelijk aanzienlijke renovaties nodig om aan de huidige standaarden te voldoen.
De woning op Prof. C. Eijkmanstraat 17 heeft een gebruiksoppervlakte van 272 m². Dit is ruim vergeleken met de gemiddelde Nederlandse woning, die een oppervlakte heeft van ongeveer 119 m². De gebruiksoppervlakte is de maat die wordt gebruikt in de BAG-registratie, de landelijke registratie van de Nederlandse overheid.
Prof. C. Eijkmanstraat 17 heeft als functie: wonen. Deze gebruiksfunctie(s) zijn vastgelegd in de BAG-registratie en geven aan waarvoor het adres officieel mag worden gebruikt.
Prof. C. Eijkmanstraat 17 is gelegen op kadastraal perceel DVT00F660. Deze kadastrale aanduiding is uniek en wordt gebruikt door het Kadaster om eigendomsrechten en andere zakelijke rechten vast te leggen. Het perceel maakt onderdeel uit van de kadastrale gemeente Deventer.
Het perceel waarop Prof. C. Eijkmanstraat 17 staat heeft een oppervlakte van 926 m². Dit is een groot perceel. De perceeloppervlakte wordt geregistreerd door het Kadaster. Gedetailleerde informatie over de maten van dit perceel kunt u vinden in het rapport Kadastrale kaart met maatvoering van Prof. C. Eijkmanstraat 17.
De eigenaar van Prof. C. Eijkmanstraat 17 is op te vragen op deze pagina.
De informatie over dit adres is afkomstig uit officiële overheidsregistraties, voornamelijk de Basisregistratie Adressen en Gebouwen (BAG) en de Basisregistratie Kadaster (BRK). Deze gegevens worden beheerd door respectievelijk gemeenten en het Kadaster, en worden regelmatig bijgewerkt. Energielabelgegevens komen uit de database van de Rijksdienst voor Ondernemend Nederland (RVO).
