
Oude Beekseweg 45 is een adres in Didam, dat zich bevindt binnen de gemeentegrenzen van Didam en de grenzen van de provincie Gelderland. De oppervlakte bedraagt 177 m², waarmee het adres groter dan gemiddeld is. De grootte van het perceel waarop het adres ligt is 540 m². Het object is klein ten opzichte van de andere adressen in de straat. Het grootste verblijfsobject is 385 m² groot en het kleinste is 80 m². Oude Beekseweg 45 bevindt zich in een pand uit het jaar 1946. Daarmee behoort het tot de groep relatief oude panden in Nederland die gebouwd zijn vóór 1965. In de straat komt het nieuwste gebouw uit het jaar 2026 en het oudste uit 1878. Het bouwjaar van dit object is relatief oud. Het verblijfsobject heeft de volgende gebruiksdoelen: 'woonfunctie'.
Deze woning is voor het laatst verkocht op 1 januari 2025. Meer informatie over deze transactie? Bestel het Woningtransactierapport om de verkoopprijs en andere informatie te zien.
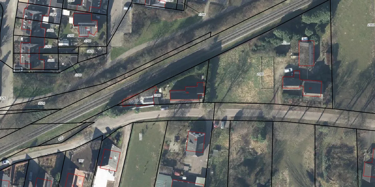
Het perceel waarop het adres ligt is DDM00-F-2389. De afkorting 'DDM00' staat voor kadastrale gemeente Didam. Het perceel is kleiner dan gemiddeld in Didam. Het perceel is 540 m² groot, terwijl het gemiddelde ligt op 3189,85 m². Het grootste perceel in de kadastrale gemeente is 42,6 ha. Het kleinste perceel heeft een oppervlakte van 0 m². Er zijn geen andere adressen aanwezig op het perceel. De huidige grenzen van het perceel zijn digitaal in de Basisregistratie Kadaster (BRK) geregistreerd op 30-05-2002.
Er is geen energielabel geregistreerd voor het adres. Het hoogste energielabel in de straat is A; het laagste is G. Het gemiddelde energielabel is er C. Het adres Oude Beekseweg 45 heeft als status: 'verblijfsobject in gebruik'. Het pand waarin dit adres ligt heeft als status: 'pand in gebruik'.
Oude Beekseweg 45 is een adres gelegen in de gemeente Montferland, provincie Gelderland. Dit adres is geregistreerd in de Basisregistratie Adressen en Gebouwen (BAG) met als unieke identificatie 1955010000026993.
Het pand op Oude Beekseweg 45 is gebouwd in 1946, wat betekent dat het 80 jaar oud is. Dit is een ouder pand. Het pand heeft mogelijk aanzienlijke renovaties nodig om aan de huidige standaarden te voldoen.
De woning op Oude Beekseweg 45 heeft een gebruiksoppervlakte van 177 m². Dit is ruim vergeleken met de gemiddelde Nederlandse woning, die een oppervlakte heeft van ongeveer 119 m². De gebruiksoppervlakte is de maat die wordt gebruikt in de BAG-registratie, de landelijke registratie van de Nederlandse overheid.
Oude Beekseweg 45 heeft als functie: wonen. Deze gebruiksfunctie(s) zijn vastgelegd in de BAG-registratie en geven aan waarvoor het adres officieel mag worden gebruikt.
Oude Beekseweg 45 is gelegen op kadastraal perceel DDM00F2389. Deze kadastrale aanduiding is uniek en wordt gebruikt door het Kadaster om eigendomsrechten en andere zakelijke rechten vast te leggen. Het perceel maakt onderdeel uit van de kadastrale gemeente Didam.
Het perceel waarop Oude Beekseweg 45 staat heeft een oppervlakte van 540 m². Dit is een groot perceel. De perceeloppervlakte wordt geregistreerd door het Kadaster. Gedetailleerde informatie over de maten van dit perceel kunt u vinden in het rapport Kadastrale kaart met maatvoering van Oude Beekseweg 45.
De eigenaar van Oude Beekseweg 45 is op te vragen op deze pagina.
De informatie over dit adres is afkomstig uit officiële overheidsregistraties, voornamelijk de Basisregistratie Adressen en Gebouwen (BAG) en de Basisregistratie Kadaster (BRK). Deze gegevens worden beheerd door respectievelijk gemeenten en het Kadaster, en worden regelmatig bijgewerkt. Energielabelgegevens komen uit de database van de Rijksdienst voor Ondernemend Nederland (RVO).
