
Boxbergerweg 77 is gelegen in de plaats Diepenveen, de gemeente Deventer en de provincie Overijssel. De oppervlakte bedraagt 158 m², waarmee het adres groter dan gemiddeld is. De grootte van het perceel waarop het adres ligt is 6968 m². Het object is klein ten opzichte van de andere adressen in de straat. Het grootste verblijfsobject is 948 m² groot en het kleinste is 2 m². Het adres Boxbergerweg 77 ligt in een relatief oud pand uit het jaar 1901. Panden van vóór het jaar 1965 hebben we hier geclassificeerd als oud. In de straat komt het nieuwste gebouw uit het jaar 2022 en het oudste uit 1803. Het bouwjaar van dit object is relatief oud. De volgende gebruiksdoelen zijn geregistreerd voor dit adres: 'woonfunctie'.
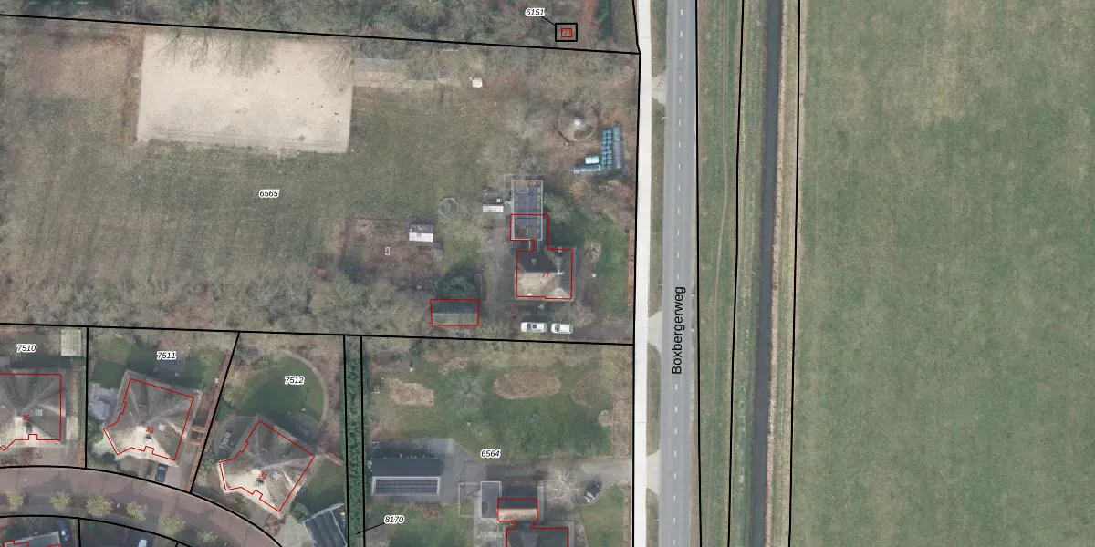
Het perceel waarop het adres ligt is DPV00-A-6565. De afkorting 'DPV00' staat voor kadastrale gemeente Diepenveen. Het perceel is 6968 m² groot. Dat is kleiner dan de gemiddelde perceeloppervlakte in Diepenveen, dat op 7072,53 m² ligt. De grootste perceeloppervlakte in de kadastrale gemeente is 47,9 ha. De kleinste oppervlakte bedraagt 0 m². Er zijn geen andere adressen aanwezig op het perceel. De laatste wijziging in het de Basisregistratie Kadaster (BRK) was op 19-08-2020.
Er is geen energielabel geregistreerd voor het adres. Het hoogste energielabel in de straat is A++++; het laagste is G. Het gemiddelde energielabel is er C. Het adres Boxbergerweg 77 heeft als status: 'verblijfsobject in gebruik'. Het pand waarin dit adres ligt heeft als status: 'pand in gebruik'.
Boxbergerweg 77 is een adres gelegen in de gemeente Deventer, provincie Overijssel. Dit adres is geregistreerd in de Basisregistratie Adressen en Gebouwen (BAG) met als unieke identificatie 0150010000003680.
Het pand op Boxbergerweg 77 is gebouwd in 1901, wat betekent dat het 125 jaar oud is. Dit is een ouder pand. Het pand heeft mogelijk aanzienlijke renovaties nodig om aan de huidige standaarden te voldoen.
De woning op Boxbergerweg 77 heeft een gebruiksoppervlakte van 158 m². Dit is ruim vergeleken met de gemiddelde Nederlandse woning, die een oppervlakte heeft van ongeveer 119 m². De gebruiksoppervlakte is de maat die wordt gebruikt in de BAG-registratie, de landelijke registratie van de Nederlandse overheid.
Boxbergerweg 77 heeft als functie: wonen. Deze gebruiksfunctie(s) zijn vastgelegd in de BAG-registratie en geven aan waarvoor het adres officieel mag worden gebruikt.
Boxbergerweg 77 is gelegen op kadastraal perceel DPV00A6565. Deze kadastrale aanduiding is uniek en wordt gebruikt door het Kadaster om eigendomsrechten en andere zakelijke rechten vast te leggen. Het perceel maakt onderdeel uit van de kadastrale gemeente Diepenveen.
Het perceel waarop Boxbergerweg 77 staat heeft een oppervlakte van 6968 m². Dit is een zeer groot perceel. De perceeloppervlakte wordt geregistreerd door het Kadaster. Gedetailleerde informatie over de maten van dit perceel kunt u vinden in het rapport Kadastrale kaart met maatvoering van Boxbergerweg 77.
De eigenaar van Boxbergerweg 77 is op te vragen op deze pagina.
De informatie over dit adres is afkomstig uit officiële overheidsregistraties, voornamelijk de Basisregistratie Adressen en Gebouwen (BAG) en de Basisregistratie Kadaster (BRK). Deze gegevens worden beheerd door respectievelijk gemeenten en het Kadaster, en worden regelmatig bijgewerkt. Energielabelgegevens komen uit de database van de Rijksdienst voor Ondernemend Nederland (RVO).
