
Het adres Vogelplantsoen 1 bevindt zich in de plaats Dieren, in de gemeente Dieren en de provincie Gelderland. Het verblijfsobject is vergeleken met het Nederlandse gemiddelde aan de kleine kant: de oppervlakte is 85 m². Het perceel waarop het adres zich bevindt heeft een oppervlakte van 331 m². Vergeleken met de andere verblijfsobjecten in de straat is dit object groot. De oppervlakte van het grootste object in de straat is 144 m², die van het kleinste bedraagt 15 m². Vogelplantsoen 1 bevindt zich in een pand uit het jaar 1962. Daarmee behoort het tot de groep relatief oude panden in Nederland die gebouwd zijn vóór 1965. Het nieuwste gebouw in de straat komt uit 1992 en het oudste uit 1961. Dit object is relatief oud. De volgende gebruiksdoelen zijn geregistreerd voor dit adres: 'woonfunctie'.
Deze woning is voor het laatst verkocht op 1 juni 2023. Meer informatie over deze transactie? Bestel het Woningtransactierapport om de verkoopprijs en andere informatie te zien.
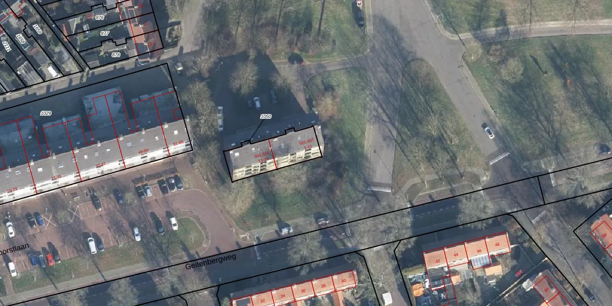
Het adres is gelegen op perceel 1050 in de sectie P en de kadastrale gemeente Dieren. De kadastrale aanduiding is aldus DRN00-P-1050. Het perceel is 331 m² groot. Dat is kleiner dan de gemiddelde perceeloppervlakte in Dieren, dat op 5741,08 m² ligt. Het grootste perceel in de kadastrale gemeente is 2,97 km². Het kleinste perceel heeft een oppervlakte van 0 m². Op het perceel liggen in totaal 20 adressen. In de Basisregistratie Kadaster (BRK) werden de grenzen van het perceel geregistreerd op 25-04-2001.
Het adres ligt in een gebouw van het type 'flatwoning (overig) met het subtype hoekmidden'. Bij de laatste meting is voor het adres het energielabel C geregistreerd. Het hoogste energielabel in de straat is A+; het laagste is G. Het gemiddelde energielabel is er D. Het adres Vogelplantsoen 1 heeft als status: 'verblijfsobject in gebruik'. Het pand waarin dit adres ligt heeft als status: 'pand in gebruik'.
Vogelplantsoen 1 is een adres gelegen in de gemeente Rheden, provincie Gelderland. Dit adres is geregistreerd in de Basisregistratie Adressen en Gebouwen (BAG) met als unieke identificatie 0275010000020348.
Het pand op Vogelplantsoen 1 is gebouwd in 1962, wat betekent dat het 64 jaar oud is. Dit is een ouder pand. Het pand heeft mogelijk aanzienlijke renovaties nodig om aan de huidige standaarden te voldoen.
De woning op Vogelplantsoen 1 heeft een gebruiksoppervlakte van 85 m². Dit is onder het gemiddelde vergeleken met de gemiddelde Nederlandse woning, die een oppervlakte heeft van ongeveer 119 m². De gebruiksoppervlakte is de maat die wordt gebruikt in de BAG-registratie, de landelijke registratie van de Nederlandse overheid.
Vogelplantsoen 1 heeft als functie: wonen. Deze gebruiksfunctie(s) zijn vastgelegd in de BAG-registratie en geven aan waarvoor het adres officieel mag worden gebruikt.
Vogelplantsoen 1 is gelegen op kadastraal perceel DRN00P1050. Deze kadastrale aanduiding is uniek en wordt gebruikt door het Kadaster om eigendomsrechten en andere zakelijke rechten vast te leggen. Het perceel maakt onderdeel uit van de kadastrale gemeente Dieren.
Het perceel waarop Vogelplantsoen 1 staat heeft een oppervlakte van 331 m². Dit is een groot perceel. De perceeloppervlakte wordt geregistreerd door het Kadaster. Gedetailleerde informatie over de maten van dit perceel kunt u vinden in het rapport Kadastrale kaart met maatvoering van Vogelplantsoen 1.
De eigenaar van Vogelplantsoen 1 is op te vragen op deze pagina.
De informatie over dit adres is afkomstig uit officiële overheidsregistraties, voornamelijk de Basisregistratie Adressen en Gebouwen (BAG) en de Basisregistratie Kadaster (BRK). Deze gegevens worden beheerd door respectievelijk gemeenten en het Kadaster, en worden regelmatig bijgewerkt. Energielabelgegevens komen uit de database van de Rijksdienst voor Ondernemend Nederland (RVO).
