
Het adres De Wringen 23 bevindt zich in de plaats Dieverbrug, in de gemeente Dieverbrug en de provincie Drenthe. De oppervlakte van het verblijfsobject is met 684 m² aan de grote kant. Het perceel heeft een oppervlakte van 1538 m². Het object is klein ten opzichte van de andere adressen in de straat. Het grootste verblijfsobject is 2008 m² groot en het kleinste is 60 m². De Wringen 23 ligt in een gebouw uit het jaar 2005. Daarmee behoort het tot de groep panden van na 1984, die we als relatief nieuw bestempelen. Gemiddeld zijn de gebouwen in de straat gebouwd in 2008. Dit is het oudste pand in de straat. Het meest recente komt uit het jaar 2025. De volgende gebruiksdoelen zijn geregistreerd voor dit adres: 'industriefunctie'.
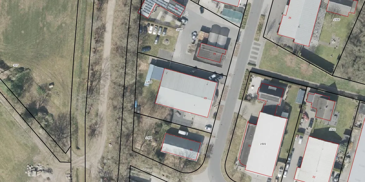
Het perceel waarop het adres ligt is DVR00-I-1499. De afkorting 'DVR00' staat voor kadastrale gemeente Diever. Het perceel is 1538 m² groot. Dat is kleiner dan de gemiddelde perceeloppervlakte in Diever, dat op 1,4 ha ligt. Het grootste perceel in de kadastrale gemeente is 8,16 km². Het kleinste perceel heeft een oppervlakte van 0 m². Op het perceel bevinden zich geen andere adressen. In de Basisregistratie Kadaster (BRK) werden de grenzen van het perceel geregistreerd op 07-07-2010.
Bij de laatste meting is voor het adres het energielabel A++ geregistreerd. Het hoogste energielabel in de straat is A++; het laagste is G. Het gemiddelde energielabel is er A. Het adres De Wringen 23 heeft als status: 'verblijfsobject in gebruik'. Het pand waarin dit adres ligt heeft als status: 'pand in gebruik'.
De Wringen 23 is een adres gelegen in de gemeente Westerveld, provincie Drenthe. Dit adres is geregistreerd in de Basisregistratie Adressen en Gebouwen (BAG) met als unieke identificatie 1701010000221511.
Het pand op De Wringen 23 is gebouwd in 2005, wat betekent dat het 21 jaar oud is. Dit is een relatief modern pand. Ten opzichte van de nationale woningvoorraad is het pand relatief modern, maar er kunnen enkele verouderde elementen zijn die aandacht nodig hebben.
De woning op De Wringen 23 heeft een gebruiksoppervlakte van 684 m². Dit is ruim vergeleken met de gemiddelde Nederlandse woning, die een oppervlakte heeft van ongeveer 119 m². De gebruiksoppervlakte is de maat die wordt gebruikt in de BAG-registratie, de landelijke registratie van de Nederlandse overheid.
De Wringen 23 heeft als functie: industrie. Deze gebruiksfunctie(s) zijn vastgelegd in de BAG-registratie en geven aan waarvoor het adres officieel mag worden gebruikt.
De Wringen 23 is gelegen op kadastraal perceel DVR00I1499. Deze kadastrale aanduiding is uniek en wordt gebruikt door het Kadaster om eigendomsrechten en andere zakelijke rechten vast te leggen. Het perceel maakt onderdeel uit van de kadastrale gemeente Diever.
Het perceel waarop De Wringen 23 staat heeft een oppervlakte van 1538 m². Dit is een zeer groot perceel. De perceeloppervlakte wordt geregistreerd door het Kadaster. Gedetailleerde informatie over de maten van dit perceel kunt u vinden in het rapport Kadastrale kaart met maatvoering van De Wringen 23.
De eigenaar van De Wringen 23 is op te vragen op deze pagina.
De informatie over dit adres is afkomstig uit officiële overheidsregistraties, voornamelijk de Basisregistratie Adressen en Gebouwen (BAG) en de Basisregistratie Kadaster (BRK). Deze gegevens worden beheerd door respectievelijk gemeenten en het Kadaster, en worden regelmatig bijgewerkt. Energielabelgegevens komen uit de database van de Rijksdienst voor Ondernemend Nederland (RVO).
