
Het adres de Stulendreier 23 bevindt zich in de plaats Dinxperlo, in de gemeente Dinxperlo en de provincie Gelderland. Het object heeft een oppervlakte van 214 m², wat relatief groot is. Het perceel waarop het adres ligt is 2810 m² groot. Dit is het grootste verblijfsobject. Gemiddeld hebben de objecten in de straat een oppervlakte van 190 m². Het kleinste verblijfsobject is er 162 m². de Stulendreier 23 bevindt zich in een pand uit het jaar 1910. Daarmee behoort het tot de groep relatief oude panden in Nederland die gebouwd zijn vóór 1965. Het gemiddelde bouwjaar in de straat is 1944 en dat van het nieuwste object 2001. In de straat is dit het oudste pand. Voor het verblijfsobject gelden deze gebruiksdoelen: 'woonfunctie'.
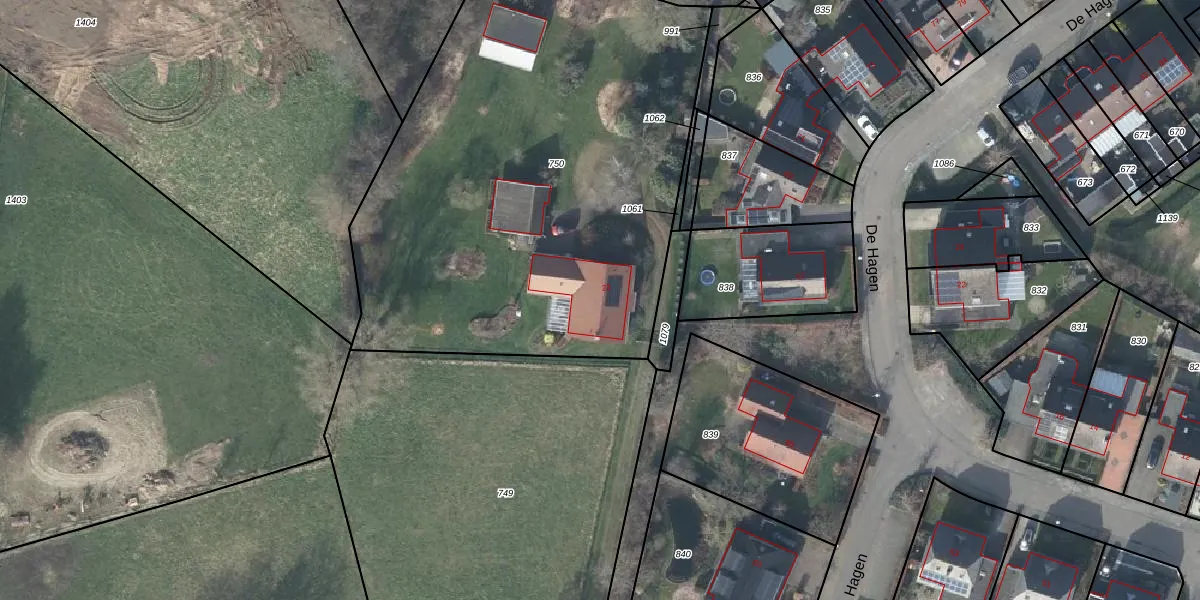
Het adres is gelegen op perceel 750 in de sectie E en de kadastrale gemeente Dinxperlo. De kadastrale aanduiding is aldus DPL00-E-750. Het perceel is met 2810 m² relatief groot. Het gemiddelde ligt in de kadastrale gemeente Dinxperlo op 2718,85 m². Het grootste perceel in de kadastrale gemeente is 21,4 ha. Het kleinste perceel heeft een oppervlakte van 0 m². Dit is het enige adres dat aanwezig is op het perceel. In de Basisregistratie Kadaster (BRK) werden de grenzen van het perceel geregistreerd op 13-02-2020.
Er is geen energielabel geregistreerd voor het adres. Het hoogste energielabel in de straat is A+++; het laagste is G. Het gemiddelde energielabel is er A. Het adres de Stulendreier 23 heeft als status: 'verblijfsobject in gebruik'. Het pand waarin dit adres ligt heeft als status: 'pand in gebruik'.
de Stulendreier 23 is een adres gelegen in de gemeente Aalten, provincie Gelderland. Dit adres is geregistreerd in de Basisregistratie Adressen en Gebouwen (BAG) met als unieke identificatie 0197010000035439.
Het pand op de Stulendreier 23 is gebouwd in 1910, wat betekent dat het 116 jaar oud is. Dit is een ouder pand. Het pand heeft mogelijk aanzienlijke renovaties nodig om aan de huidige standaarden te voldoen.
De woning op de Stulendreier 23 heeft een gebruiksoppervlakte van 214 m². Dit is ruim vergeleken met de gemiddelde Nederlandse woning, die een oppervlakte heeft van ongeveer 119 m². De gebruiksoppervlakte is de maat die wordt gebruikt in de BAG-registratie, de landelijke registratie van de Nederlandse overheid.
de Stulendreier 23 heeft als functie: wonen. Deze gebruiksfunctie(s) zijn vastgelegd in de BAG-registratie en geven aan waarvoor het adres officieel mag worden gebruikt.
de Stulendreier 23 is gelegen op kadastraal perceel DPL00E750. Deze kadastrale aanduiding is uniek en wordt gebruikt door het Kadaster om eigendomsrechten en andere zakelijke rechten vast te leggen. Het perceel maakt onderdeel uit van de kadastrale gemeente Dinxperlo.
Het perceel waarop de Stulendreier 23 staat heeft een oppervlakte van 2810 m². Dit is een zeer groot perceel. De perceeloppervlakte wordt geregistreerd door het Kadaster. Gedetailleerde informatie over de maten van dit perceel kunt u vinden in het rapport Kadastrale kaart met maatvoering van de Stulendreier 23.
De eigenaar van de Stulendreier 23 is op te vragen op deze pagina.
De informatie over dit adres is afkomstig uit officiële overheidsregistraties, voornamelijk de Basisregistratie Adressen en Gebouwen (BAG) en de Basisregistratie Kadaster (BRK). Deze gegevens worden beheerd door respectievelijk gemeenten en het Kadaster, en worden regelmatig bijgewerkt. Energielabelgegevens komen uit de database van de Rijksdienst voor Ondernemend Nederland (RVO).
