
Weversstraat 2-4 is een adres in Dinxperlo, dat zich bevindt binnen de gemeentegrenzen van Dinxperlo en de grenzen van de provincie Gelderland. De oppervlakte van het object bedraagt 60 m². Dat is klein vergeleken met het Nederlandse gemiddelde. Het perceel waarop het adres ligt is 1928 m² groot. Het object is klein ten opzichte van de andere adressen in de straat. Het grootste verblijfsobject is 2031 m² groot en het kleinste is 44 m². Het pand waarin Weversstraat 2-4 ligt is gebouwd in het jaar 2006. Panden die gebouwd zijn na het jaar 1984 noemen we hier relatief nieuw. In de straat is dit het nieuwste pand en stamt het oudste object uit het jaar 1920. Het gemiddelde bouwjaar in de straat is 1996. Het verblijfsobject heeft de volgende gebruiksdoelen: 'woonfunctie' en 'gezondheidszorgfunctie'.
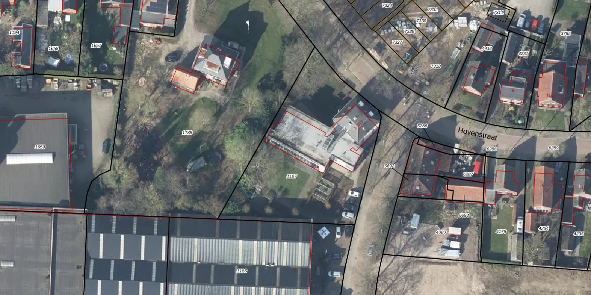
Het perceel waarop het adres ligt is DPL00-F-1187. De afkorting 'DPL00' staat voor kadastrale gemeente Dinxperlo. Het perceel is kleiner dan gemiddeld in Dinxperlo. Het perceel is 1928 m² groot, terwijl het gemiddelde ligt op 2718,85 m². Het kleinste perceel in de kadastrale gemeente is 0 m² groot. De grootste perceeloppervlakte is 21,4 ha. Op het perceel zijn 13 adressen aanwezig. De huidige grenzen van het perceel zijn digitaal in de Basisregistratie Kadaster (BRK) geregistreerd op 11-11-2002.
Het adres ligt in een gebouw van het type 'flatwoning (overig) met het subtype hoekdak'. Bij de laatste meting is voor het adres het energielabel G geregistreerd. Het hoogste energielabel in de straat is C; het laagste is G. Het gemiddelde energielabel is er D. Het adres Weversstraat 2-4 heeft als status: 'verblijfsobject in gebruik'. Het pand waarin dit adres ligt heeft als status: 'pand in gebruik'.
Weversstraat 2-4 is een adres gelegen in de gemeente Aalten, provincie Gelderland. Dit adres is geregistreerd in de Basisregistratie Adressen en Gebouwen (BAG) met als unieke identificatie 0197010000033385.
Het pand op Weversstraat 2-4 is gebouwd in 2006, wat betekent dat het 20 jaar oud is. Dit is een relatief modern pand. Ten opzichte van de nationale woningvoorraad is het pand relatief modern, maar er kunnen enkele verouderde elementen zijn die aandacht nodig hebben.
De woning op Weversstraat 2-4 heeft een gebruiksoppervlakte van 60 m². Dit is relatief klein vergeleken met de gemiddelde Nederlandse woning, die een oppervlakte heeft van ongeveer 119 m². De gebruiksoppervlakte is de maat die wordt gebruikt in de BAG-registratie, de landelijke registratie van de Nederlandse overheid.
Weversstraat 2-4 heeft als functie: wonen en gezondheidszorg. Deze gebruiksfunctie(s) zijn vastgelegd in de BAG-registratie en geven aan waarvoor het adres officieel mag worden gebruikt.
Weversstraat 2-4 is gelegen op kadastraal perceel DPL00F1187. Deze kadastrale aanduiding is uniek en wordt gebruikt door het Kadaster om eigendomsrechten en andere zakelijke rechten vast te leggen. Het perceel maakt onderdeel uit van de kadastrale gemeente Dinxperlo.
Het perceel waarop Weversstraat 2-4 staat heeft een oppervlakte van 1928 m². Dit is een zeer groot perceel. De perceeloppervlakte wordt geregistreerd door het Kadaster. Gedetailleerde informatie over de maten van dit perceel kunt u vinden in het rapport Kadastrale kaart met maatvoering van Weversstraat 2-4.
De eigenaar van Weversstraat 2-4 is op te vragen op deze pagina.
De informatie over dit adres is afkomstig uit officiële overheidsregistraties, voornamelijk de Basisregistratie Adressen en Gebouwen (BAG) en de Basisregistratie Kadaster (BRK). Deze gegevens worden beheerd door respectievelijk gemeenten en het Kadaster, en worden regelmatig bijgewerkt. Energielabelgegevens komen uit de database van de Rijksdienst voor Ondernemend Nederland (RVO).
