
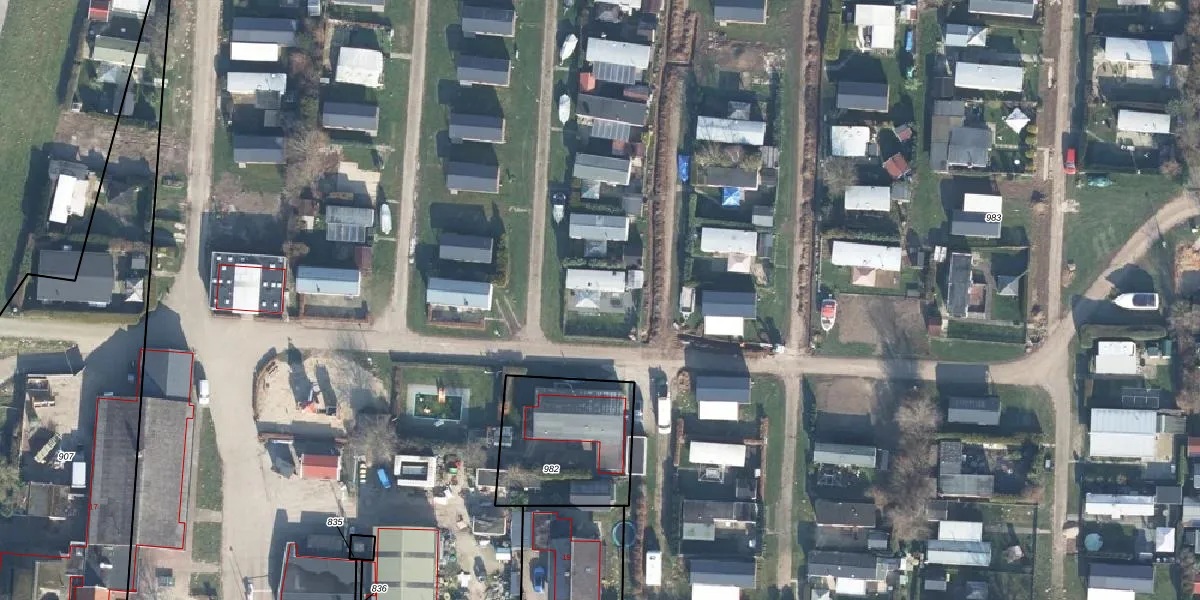
Eekstraat 17-a-212 is een adres in Doesburg, dat zich bevindt binnen de gemeentegrenzen van Doesburg en de grenzen van de provincie Gelderland. De oppervlakte bedraagt 158 m², waarmee het adres groter dan gemiddeld is. De grootte van het perceel waarop het adres ligt is 3,6 ha. Het adres is klein vergeleken met andere objecten in de straat. Het grootste object in de straat heeft een oppervlakte van 1790 m², het kleinste is 6 m² groot. Het gebouw waarin Eekstraat 17-a-212 ligt komt uit het jaar null. Objecten die gebouwd zijn vóór 1965 classificeren we hier als oud. Dit is het oudste object in de straat. Het nieuwste pand komt uit 2023 en het gemiddelde bouwjaar in de straat is 1928. Voor het verblijfsobject gelden deze gebruiksdoelen: 'standplaats'.
Het adres ligt op het perceel DBG02-D-983, dat zich in de kadastrale gemeente Doesburg bevindt. Het perceel is met 3,6 ha relatief groot. Het gemiddelde ligt in de kadastrale gemeente Doesburg op 2647,25 m². Het kleinste perceel in de kadastrale gemeente is 0 m² groot. De grootste perceeloppervlakte is 1,64 km². Op het perceel zijn 119 adressen aanwezig. De huidige grenzen van het perceel zijn digitaal in de Basisregistratie Kadaster (BRK) geregistreerd op 05-08-2003.
Er is geen energielabel geregistreerd voor het adres. Het hoogste energielabel in de straat is A; het laagste is G. Het gemiddelde energielabel is er D. Het adres Eekstraat 17-a-212 heeft als status: 'plaats aangewezen'. Het pand waarin dit adres ligt heeft als status: 'undefined'.
Eekstraat 17-a-212 is een adres gelegen in de gemeente Doesburg, provincie Gelderland. Dit adres is geregistreerd in de Basisregistratie Adressen en Gebouwen (BAG) met als unieke identificatie 0221030000335803.
De woning op Eekstraat 17-a-212 heeft een gebruiksoppervlakte van 158 m². Dit is ruim vergeleken met de gemiddelde Nederlandse woning, die een oppervlakte heeft van ongeveer 119 m². De gebruiksoppervlakte is de maat die wordt gebruikt in de BAG-registratie, de landelijke registratie van de Nederlandse overheid.
Eekstraat 17-a-212 heeft als functie: standplaats. Deze gebruiksfunctie(s) zijn vastgelegd in de BAG-registratie en geven aan waarvoor het adres officieel mag worden gebruikt.
Eekstraat 17-a-212 is gelegen op kadastraal perceel DBG02D983. Deze kadastrale aanduiding is uniek en wordt gebruikt door het Kadaster om eigendomsrechten en andere zakelijke rechten vast te leggen. Het perceel maakt onderdeel uit van de kadastrale gemeente Doesburg.
Het perceel waarop Eekstraat 17-a-212 staat heeft een oppervlakte van 3,6 ha. Dit is een zeer groot perceel. De perceeloppervlakte wordt geregistreerd door het Kadaster. Gedetailleerde informatie over de maten van dit perceel kunt u vinden in het rapport Kadastrale kaart met maatvoering van Eekstraat 17-a-212.
De eigenaar van Eekstraat 17-a-212 is op te vragen op deze pagina.
De informatie over dit adres is afkomstig uit officiële overheidsregistraties, voornamelijk de Basisregistratie Adressen en Gebouwen (BAG) en de Basisregistratie Kadaster (BRK). Deze gegevens worden beheerd door respectievelijk gemeenten en het Kadaster, en worden regelmatig bijgewerkt. Energielabelgegevens komen uit de database van de Rijksdienst voor Ondernemend Nederland (RVO).
