
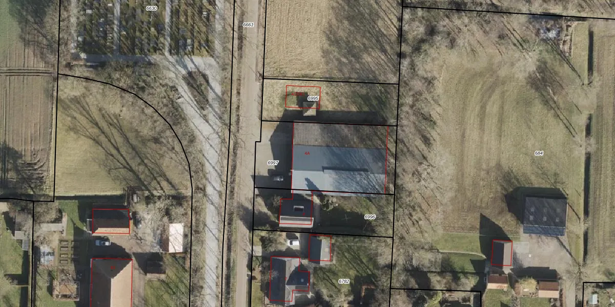
Het adres Kerkereed 4-A bevindt zich in de plaats Donkerbroek, in de gemeente Donkerbroek en de provincie Friesland. De oppervlakte van het verblijfsobject is met 679 m² aan de grote kant. Het perceel heeft een oppervlakte van 1002 m². In de straat is dit het adres met de grootste oppervlakte. De objecten in de straat zijn gemiddeld 192 m² groot. Het kleinste verblijfsobject heeft een oppervlakte van 50 m². De meeste Nederlandse gebouwen zijn gebouwd in de periode 1965-1984. Zo ook het pand waarin Kerkereed 4-A ligt, dat gebouwd is in 1972. Dit object is relatief nieuw in de straat. Het nieuwste gebouw komt er uit het jaar 2025 en het oudste uit het jaar 1950. Voor het verblijfsobject gelden deze gebruiksdoelen: 'industriefunctie'.
Het perceel waarop het adres ligt is DKB00-A-6997. De afkorting 'DKB00' staat voor kadastrale gemeente Donkerbroek. De gemiddelde perceelgrootte in Donkerbroek is 9872,39 m². Dit perceel is kleiner: de perceeloppervlakte bedraagt 1002 m². De grootste perceeloppervlakte in de kadastrale gemeente is 91,6 ha. De kleinste oppervlakte bedraagt 1 m². Op het perceel bevinden zich geen andere adressen. In de Basisregistratie Kadaster (BRK) werden de grenzen van het perceel geregistreerd op 15-09-2006.
Er is geen energielabel geregistreerd voor het adres. Het hoogste energielabel in de straat is C; het laagste is G. Het gemiddelde energielabel is er E. Het adres Kerkereed 4-A heeft als status: 'verblijfsobject in gebruik'. Het pand waarin dit adres ligt heeft als status: 'pand in gebruik'.
Kerkereed 4-A is een adres gelegen in de gemeente Ooststellingwerf, provincie Friesland. Dit adres is geregistreerd in de Basisregistratie Adressen en Gebouwen (BAG) met als unieke identificatie 0085010000053260.
Het pand op Kerkereed 4-A is gebouwd in 1972, wat betekent dat het 54 jaar oud is. Dit is een ouder pand. Het pand heeft mogelijk aanzienlijke renovaties nodig om aan de huidige standaarden te voldoen.
De woning op Kerkereed 4-A heeft een gebruiksoppervlakte van 679 m². Dit is ruim vergeleken met de gemiddelde Nederlandse woning, die een oppervlakte heeft van ongeveer 119 m². De gebruiksoppervlakte is de maat die wordt gebruikt in de BAG-registratie, de landelijke registratie van de Nederlandse overheid.
Kerkereed 4-A heeft als functie: industrie. Deze gebruiksfunctie(s) zijn vastgelegd in de BAG-registratie en geven aan waarvoor het adres officieel mag worden gebruikt.
Kerkereed 4-A is gelegen op kadastraal perceel DKB00A6997. Deze kadastrale aanduiding is uniek en wordt gebruikt door het Kadaster om eigendomsrechten en andere zakelijke rechten vast te leggen. Het perceel maakt onderdeel uit van de kadastrale gemeente Donkerbroek.
Het perceel waarop Kerkereed 4-A staat heeft een oppervlakte van 1002 m². Dit is een zeer groot perceel. De perceeloppervlakte wordt geregistreerd door het Kadaster. Gedetailleerde informatie over de maten van dit perceel kunt u vinden in het rapport Kadastrale kaart met maatvoering van Kerkereed 4-A.
De eigenaar van Kerkereed 4-A is op te vragen op deze pagina.
De informatie over dit adres is afkomstig uit officiële overheidsregistraties, voornamelijk de Basisregistratie Adressen en Gebouwen (BAG) en de Basisregistratie Kadaster (BRK). Deze gegevens worden beheerd door respectievelijk gemeenten en het Kadaster, en worden regelmatig bijgewerkt. Energielabelgegevens komen uit de database van de Rijksdienst voor Ondernemend Nederland (RVO).
