Product Functies Prijzen Meer

Adressen

Gebruik de zoekbalk of klik op een perceel voor informatie over de adressen binnen dit perceel.
Locatie
Meten
Lagen
Download

Berkenweg 2-c

3941JB, Doorn

1519312 Wat moet ik bieden voor deze woning?
179 m²
woonfunctie
402 m² perceeloppervlakte
C

Het adres Berkenweg 2-c bevindt zich in de plaats Doorn, in de gemeente Doorn en de provincie Utrecht. Het object heeft een oppervlakte van 179 m², wat relatief groot is. Het perceel waarop het adres ligt is 402 m² groot. Het object is klein ten opzichte van de andere adressen in de straat. Het grootste verblijfsobject is 484 m² groot en het kleinste is 104 m². De gemiddelde bouwperiode van gebouwen in Nederland ligt tussen de jaren 1965-1984. Dat geldt ook voor het bouwjaar van Berkenweg 2-c: het is gebouwd in het jaar 1983. Vergeleken met de andere panden in de straat is dit gebouw nieuw. Het vroegste bouwjaar is er 1928 en het laatste is 2012. De volgende gebruiksdoelen zijn geregistreerd voor dit adres: 'woonfunctie'.

Verkoopdata beschikbaar

Deze woning is voor het laatst verkocht op 1 juli 2018. Meer informatie over deze transactie? Bestel het Woningtransactierapport om de verkoopprijs en andere informatie te zien.

Perceel

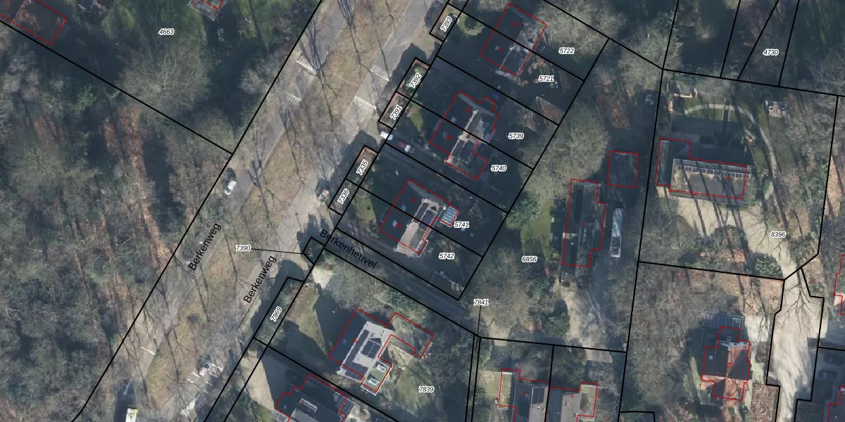
Het perceel waarop het adres ligt is DOO00-A-5741. De afkorting 'DOO00' staat voor kadastrale gemeente Doorn. Het perceel is 402 m² groot. Dat is kleiner dan de gemiddelde perceeloppervlakte in Doorn, dat op 4247,67 m² ligt. Het kleinste perceel in de kadastrale gemeente is 0 m² groot. De grootste perceeloppervlakte is 50,0 ha. Dit is het enige adres dat aanwezig is op het perceel. In de Basisregistratie Kadaster (BRK) werden de grenzen van het perceel geregistreerd op 09-04-2004.

Energielabel en status

Het adres ligt in een gebouw van het type 'twee-onder-een-kap / rijwoning hoek met het subtype twee-onder-een-kap'. Bij de laatste meting is voor het adres het energielabel C geregistreerd. Het hoogste energielabel in de straat is A; het laagste is G. Het gemiddelde energielabel is er D. Het adres Berkenweg 2-c heeft als status: 'verblijfsobject in gebruik'. Het pand waarin dit adres ligt heeft als status: 'pand in gebruik'.

Meer lezen

Adres

Gebruiksoppervlakte
179 m²
Bruto vloeroppervlakte
DYifBC8NVCfjdUNNUpgrade naar KadastraleKaart Pro
Gebruiksdoel(en)
Woonfunctie
Status
Verblijfsobject in gebruik
Type
Twee-onder-een-kap / rijwoning hoek (Twee-onder-een-kap)
Gasloos
XHmCkLZ8Upgrade naar KadastraleKaart Pro
Gebeurtenissen
Appartementsrechten
TNjG sSQmSg5IZSUpgrade naar KadastraleKaart Pro
Eigenaar
Eigendomsinformatie 12,95
Adresinformatie bestellen
Adrespakket 34,95
VBO ID
1581010000037067
Woning laatst verkocht in
2018 -
Verkoopprijs opvragen 8,95

Pand

Bouwjaar pand
1983
Aantal adressen in dit gebouw
1 adres
Hoogte pand
Qt NhY RhUpgrade naar KadastraleKaart Pro
Aantal bouwlagen (schatting)
cot5Cp74IMQqLCUpgrade naar KadastraleKaart Pro
Volume
IgXgplEZEeq2ovCrUpgrade naar KadastraleKaart Pro
Oppervlakte dak
z1fY3qohyC5j x6bfMkkjXUpgrade naar KadastraleKaart Pro
Oppervlakte buitenmuur
Zr TPyMvlUpgrade naar KadastraleKaart Pro
Status pand
Pand in gebruik
Pand ID
1581100000021410

Perceel Toon alle percelen   Pro

Kadastrale aanduiding
Doorn A 5741 (DOO00 A 5741)
Oppervlakte
402 m²
Maatvoering
Kadastrale kaart met maatvoering 59,95
Omtrek
91 meter
Datum laatst gewijzigd
09/04/2004
Aantal adressen op perceel
1
Hoogte boven N.A.P.
zFlUQe1TvZUpgrade naar KadastraleKaart Pro

Veelgestelde vragen

Berkenweg 2-c is een adres gelegen in de gemeente Utrechtse Heuvelrug, provincie Utrecht. Dit adres is geregistreerd in de Basisregistratie Adressen en Gebouwen (BAG) met als unieke identificatie 1581010000037067.

Het pand op Berkenweg 2-c is gebouwd in 1983, wat betekent dat het 43 jaar oud is. Dit is een pand van middelbare leeftijd. Het pand is van gemiddelde leeftijd en zal waarschijnlijk verouderde elementen bevatten.

De woning op Berkenweg 2-c heeft een gebruiksoppervlakte van 179 m². Dit is ruim vergeleken met de gemiddelde Nederlandse woning, die een oppervlakte heeft van ongeveer 119 m². De gebruiksoppervlakte is de maat die wordt gebruikt in de BAG-registratie, de landelijke registratie van de Nederlandse overheid.

Berkenweg 2-c heeft als functie: wonen. Deze gebruiksfunctie(s) zijn vastgelegd in de BAG-registratie en geven aan waarvoor het adres officieel mag worden gebruikt.

Berkenweg 2-c is gelegen op kadastraal perceel DOO00A5741. Deze kadastrale aanduiding is uniek en wordt gebruikt door het Kadaster om eigendomsrechten en andere zakelijke rechten vast te leggen. Het perceel maakt onderdeel uit van de kadastrale gemeente Doorn.

Het perceel waarop Berkenweg 2-c staat heeft een oppervlakte van 402 m². Dit is een groot perceel. De perceeloppervlakte wordt geregistreerd door het Kadaster. Gedetailleerde informatie over de maten van dit perceel kunt u vinden in het rapport Kadastrale kaart met maatvoering van Berkenweg 2-c.

De eigenaar van Berkenweg 2-c is op te vragen op deze pagina.

De informatie over dit adres is afkomstig uit officiële overheidsregistraties, voornamelijk de Basisregistratie Adressen en Gebouwen (BAG) en de Basisregistratie Kadaster (BRK). Deze gegevens worden beheerd door respectievelijk gemeenten en het Kadaster, en worden regelmatig bijgewerkt. Energielabelgegevens komen uit de database van de Rijksdienst voor Ondernemend Nederland (RVO).

Maatvoeringsrapport

Wie is de eigenaar?

Bekijk de eigenaar van Berkenweg 2-c met de eigendomsinformatie.
Bekijk de eigenaar van dit adres.
Maatvoeringsrapport

Maatvoering van het perceel

Bestel de maatvoering voor Berkenweg 2-c met het maatvoeringsrapport.
Bestel de maatvoering voor dit adres.

360°-foto's van de omgeving

Google Street View
Upgrade nu voor 360° Street View foto's

Zon en schaduw rondom adres

Buurt
Doorn-Noordwest
Inwoners: 2.050
Woningen: 853
Wijk
Doorn
Inwoners: 10.680
Woningen: 4.758
Gemeente
Utrechtse Heuvelrug
Inwoners: 50.550
Woningen: 22.066