
Driebergsestraatweg 43 is gelegen in de plaats Doorn, de gemeente Utrechtse Heuvelrug en de provincie Utrecht. Het perceel waarop het verblijfsobject staat is 911 m² groot. De oppervlakte van het adres is 120 m², wat zich rond het Nederlandse gemiddelde van 119 m² bevindt. De oppervlakte van het adres is klein vergeleken met de andere objecten in de straat. De oppervlakte van het kleinste object in de straat bedraagt 8 m², terwijl het grootste object 1,8 ha groot is. Het adres Driebergsestraatweg 43 ligt in een relatief oud pand uit het jaar 1926. Panden van vóór het jaar 1965 hebben we hier geclassificeerd als oud. In de straat komt het nieuwste gebouw uit het jaar 2025 en het oudste uit 1836. Het bouwjaar van dit object is relatief oud. Het verblijfsobject heeft de volgende gebruiksdoelen: 'woonfunctie'.
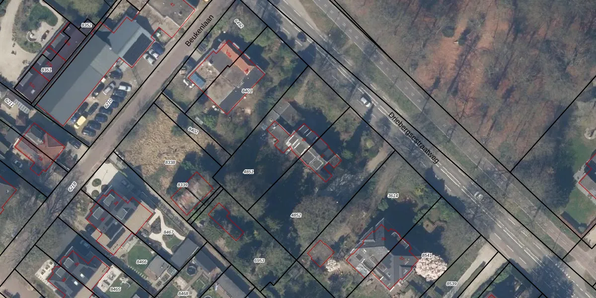
Het adres is gelegen op perceel 4851 in de sectie A en de kadastrale gemeente Doorn. De kadastrale aanduiding is aldus DOO00-A-4851. Het perceel is kleiner dan gemiddeld in Doorn. Het perceel is 911 m² groot, terwijl het gemiddelde ligt op 4245,24 m². De grootste perceeloppervlakte in de kadastrale gemeente is 50,0 ha. De kleinste oppervlakte bedraagt 0 m². Er zijn geen andere adressen aanwezig op het perceel. De laatste wijziging in het de Basisregistratie Kadaster (BRK) was op 16-08-2022.
Het adres ligt in een gebouw van het type 'twee-onder-een-kap / rijwoning hoek met het subtype twee-onder-een-kap'. Bij de laatste meting is voor het adres het energielabel C geregistreerd. Het hoogste energielabel in de straat is B; het laagste is G. Het gemiddelde energielabel is er D. Het adres Driebergsestraatweg 43 heeft als status: 'verblijfsobject in gebruik'. Het pand waarin dit adres ligt heeft als status: 'pand in gebruik'.
Driebergsestraatweg 43 is een adres gelegen in de gemeente Utrechtse Heuvelrug, provincie Utrecht. Dit adres is geregistreerd in de Basisregistratie Adressen en Gebouwen (BAG) met als unieke identificatie 1581010000037711.
Het pand op Driebergsestraatweg 43 is gebouwd in 1926, wat betekent dat het 100 jaar oud is. Dit is een ouder pand. Het pand heeft mogelijk aanzienlijke renovaties nodig om aan de huidige standaarden te voldoen.
De woning op Driebergsestraatweg 43 heeft een gebruiksoppervlakte van 120 m². Dit is gemiddeld vergeleken met de gemiddelde Nederlandse woning, die een oppervlakte heeft van ongeveer 119 m². De gebruiksoppervlakte is de maat die wordt gebruikt in de BAG-registratie, de landelijke registratie van de Nederlandse overheid.
Driebergsestraatweg 43 heeft als functie: wonen. Deze gebruiksfunctie(s) zijn vastgelegd in de BAG-registratie en geven aan waarvoor het adres officieel mag worden gebruikt.
Driebergsestraatweg 43 is gelegen op kadastraal perceel DOO00A4851. Deze kadastrale aanduiding is uniek en wordt gebruikt door het Kadaster om eigendomsrechten en andere zakelijke rechten vast te leggen. Het perceel maakt onderdeel uit van de kadastrale gemeente Doorn.
Het perceel waarop Driebergsestraatweg 43 staat heeft een oppervlakte van 911 m². Dit is een groot perceel. De perceeloppervlakte wordt geregistreerd door het Kadaster. Gedetailleerde informatie over de maten van dit perceel kunt u vinden in het rapport Kadastrale kaart met maatvoering van Driebergsestraatweg 43.
De eigenaar van Driebergsestraatweg 43 is op te vragen op deze pagina.
De informatie over dit adres is afkomstig uit officiële overheidsregistraties, voornamelijk de Basisregistratie Adressen en Gebouwen (BAG) en de Basisregistratie Kadaster (BRK). Deze gegevens worden beheerd door respectievelijk gemeenten en het Kadaster, en worden regelmatig bijgewerkt. Energielabelgegevens komen uit de database van de Rijksdienst voor Ondernemend Nederland (RVO).
