
Hydeparklaan 24-r-P199 is gelegen in de plaats Doorn, de gemeente Utrechtse Heuvelrug en de provincie Utrecht. Het verblijfsobject is vergeleken met het Nederlandse gemiddelde aan de kleine kant: de oppervlakte is 50 m². Het perceel waarop het adres zich bevindt heeft een oppervlakte van 37,8 ha. Het object is klein ten opzichte van de andere adressen in de straat. Het grootste verblijfsobject is 401 m² groot en het kleinste is 8 m². Hydeparklaan 24-r-P199 bevindt zich in een pand uit het jaar 1956. Daarmee behoort het tot de groep relatief oude panden in Nederland die gebouwd zijn vóór 1965. Het nieuwste gebouw in de straat komt uit 2025 en het oudste uit 1888. Dit object is relatief oud. Voor het verblijfsobject gelden deze gebruiksdoelen: 'logiesfunctie'.
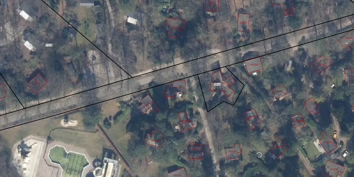
Het perceel waarop het adres ligt is DOO00-A-8459. De afkorting 'DOO00' staat voor kadastrale gemeente Doorn. Het perceel is met 37,8 ha relatief groot. Het gemiddelde ligt in de kadastrale gemeente Doorn op 4246,86 m². Het grootste perceel in de kadastrale gemeente is 50,0 ha. Het kleinste perceel heeft een oppervlakte van 0 m². Op het perceel liggen in totaal 405 adressen. De laatste wijziging in het de Basisregistratie Kadaster (BRK) was op 28-05-2021.
Er is geen energielabel geregistreerd voor het adres. Het hoogste energielabel in de straat is A++++; het laagste is G. Het gemiddelde energielabel is er B. Het adres Hydeparklaan 24-r-P199 heeft als status: 'verblijfsobject in gebruik'. Het pand waarin dit adres ligt heeft als status: 'pand in gebruik'.
Hydeparklaan 24-r-P199 is een adres gelegen in de gemeente Utrechtse Heuvelrug, provincie Utrecht. Dit adres is geregistreerd in de Basisregistratie Adressen en Gebouwen (BAG) met als unieke identificatie 1581010000043336.
Het pand op Hydeparklaan 24-r-P199 is gebouwd in 1956, wat betekent dat het 70 jaar oud is. Dit is een ouder pand. Het pand heeft mogelijk aanzienlijke renovaties nodig om aan de huidige standaarden te voldoen.
De woning op Hydeparklaan 24-r-P199 heeft een gebruiksoppervlakte van 50 m². Dit is relatief klein vergeleken met de gemiddelde Nederlandse woning, die een oppervlakte heeft van ongeveer 119 m². De gebruiksoppervlakte is de maat die wordt gebruikt in de BAG-registratie, de landelijke registratie van de Nederlandse overheid.
Hydeparklaan 24-r-P199 heeft als functie: logies/verblijf. Deze gebruiksfunctie(s) zijn vastgelegd in de BAG-registratie en geven aan waarvoor het adres officieel mag worden gebruikt.
Hydeparklaan 24-r-P199 is gelegen op kadastraal perceel DOO00A8459. Deze kadastrale aanduiding is uniek en wordt gebruikt door het Kadaster om eigendomsrechten en andere zakelijke rechten vast te leggen. Het perceel maakt onderdeel uit van de kadastrale gemeente Doorn.
Het perceel waarop Hydeparklaan 24-r-P199 staat heeft een oppervlakte van 37,8 ha. Dit is een zeer groot perceel. De perceeloppervlakte wordt geregistreerd door het Kadaster. Gedetailleerde informatie over de maten van dit perceel kunt u vinden in het rapport Kadastrale kaart met maatvoering van Hydeparklaan 24-r-P199.
De eigenaar van Hydeparklaan 24-r-P199 is op te vragen op deze pagina.
De informatie over dit adres is afkomstig uit officiële overheidsregistraties, voornamelijk de Basisregistratie Adressen en Gebouwen (BAG) en de Basisregistratie Kadaster (BRK). Deze gegevens worden beheerd door respectievelijk gemeenten en het Kadaster, en worden regelmatig bijgewerkt. Energielabelgegevens komen uit de database van de Rijksdienst voor Ondernemend Nederland (RVO).
