
Het adres Hydeparklaan 24-r-P78 bevindt zich in de plaats Doorn, in de gemeente Doorn en de provincie Utrecht. Het perceel waarop het adres gelegen is heeft een oppervlakte van 2,8 ha. Het verblijfsobject is met 84 m² relatief klein. In vergelijking met de andere adressen in de straat is de oppervlakte van dit object relatief groot. Het grootste verblijfsobject heeft een oppervlakte van 401 m², de oppervlakte van het kleinste object bedraagt 8 m². In het jaar 1999 is het pand waarin Hydeparklaan 24-r-P78 ligt gebouwd. Dat is relatief recent: de meeste gebouwen in Nederland zijn gebouwd in de periode 1965-1984. Vergeleken met de andere panden in de straat is dit gebouw nieuw. Het vroegste bouwjaar is er 1888 en het laatste is 2025. Voor het verblijfsobject gelden deze gebruiksdoelen: 'logiesfunctie'.
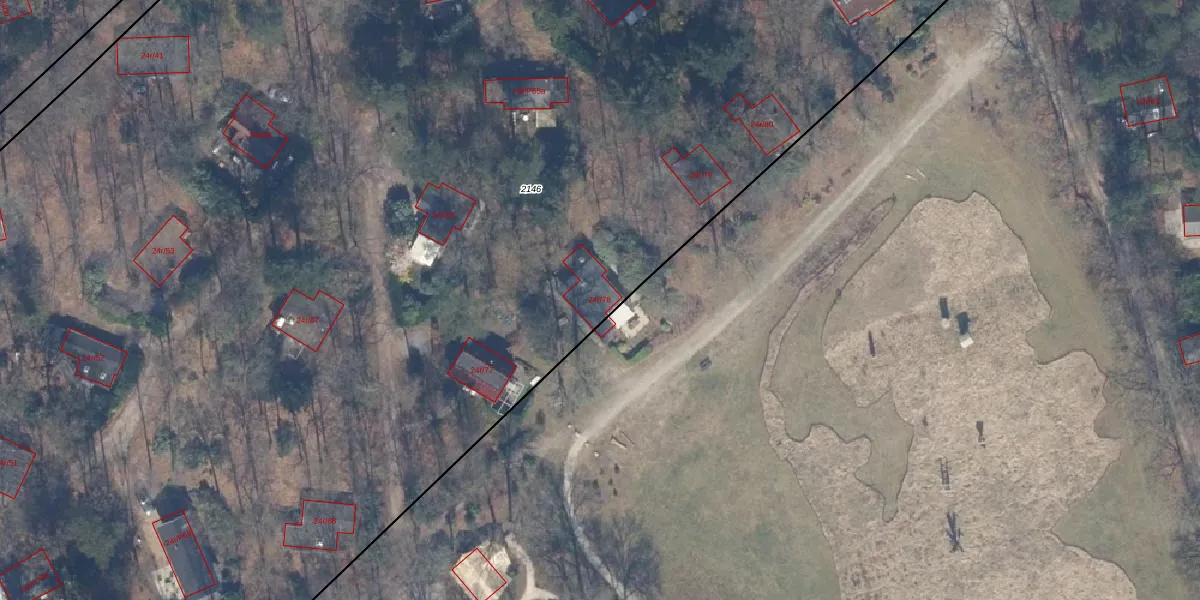
Het perceel waarop het adres ligt is DOO00-A-2146. De afkorting 'DOO00' staat voor kadastrale gemeente Doorn. Het perceel is met 2,8 ha relatief groot. Het gemiddelde ligt in de kadastrale gemeente Doorn op 4246,86 m². De grootste perceeloppervlakte in de kadastrale gemeente is 50,0 ha. De kleinste oppervlakte bedraagt 0 m². Er zijn 36 adressen aanwezig op het perceel. In de Basisregistratie Kadaster (BRK) werden de grenzen van het perceel geregistreerd op 19-09-1997.
Er is geen energielabel geregistreerd voor het adres. Het hoogste energielabel in de straat is A++++; het laagste is G. Het gemiddelde energielabel is er B. Het adres Hydeparklaan 24-r-P78 heeft als status: 'verblijfsobject in gebruik'. Het pand waarin dit adres ligt heeft als status: 'pand in gebruik'.
Hydeparklaan 24-r-P78 is een adres gelegen in de gemeente Utrechtse Heuvelrug, provincie Utrecht. Dit adres is geregistreerd in de Basisregistratie Adressen en Gebouwen (BAG) met als unieke identificatie 1581010000043528.
Het pand op Hydeparklaan 24-r-P78 is gebouwd in 1999, wat betekent dat het 27 jaar oud is. Dit is een pand van middelbare leeftijd. Het pand is van gemiddelde leeftijd en zal waarschijnlijk verouderde elementen bevatten.
De woning op Hydeparklaan 24-r-P78 heeft een gebruiksoppervlakte van 84 m². Dit is onder het gemiddelde vergeleken met de gemiddelde Nederlandse woning, die een oppervlakte heeft van ongeveer 119 m². De gebruiksoppervlakte is de maat die wordt gebruikt in de BAG-registratie, de landelijke registratie van de Nederlandse overheid.
Hydeparklaan 24-r-P78 heeft als functie: logies/verblijf. Deze gebruiksfunctie(s) zijn vastgelegd in de BAG-registratie en geven aan waarvoor het adres officieel mag worden gebruikt.
Hydeparklaan 24-r-P78 is gelegen op kadastraal perceel DOO00A2146. Deze kadastrale aanduiding is uniek en wordt gebruikt door het Kadaster om eigendomsrechten en andere zakelijke rechten vast te leggen. Het perceel maakt onderdeel uit van de kadastrale gemeente Doorn.
Het perceel waarop Hydeparklaan 24-r-P78 staat heeft een oppervlakte van 2,8 ha. Dit is een zeer groot perceel. De perceeloppervlakte wordt geregistreerd door het Kadaster. Gedetailleerde informatie over de maten van dit perceel kunt u vinden in het rapport Kadastrale kaart met maatvoering van Hydeparklaan 24-r-P78.
De eigenaar van Hydeparklaan 24-r-P78 is op te vragen op deze pagina.
De informatie over dit adres is afkomstig uit officiële overheidsregistraties, voornamelijk de Basisregistratie Adressen en Gebouwen (BAG) en de Basisregistratie Kadaster (BRK). Deze gegevens worden beheerd door respectievelijk gemeenten en het Kadaster, en worden regelmatig bijgewerkt. Energielabelgegevens komen uit de database van de Rijksdienst voor Ondernemend Nederland (RVO).
