
Rode Landsweg 28-C is een adres in Doornspijk, dat zich bevindt binnen de gemeentegrenzen van Doornspijk en de grenzen van de provincie Gelderland. De oppervlakte van het verblijfsobject is met 186 m² aan de grote kant. Het perceel heeft een oppervlakte van 2285 m². De oppervlakte van dit adres is groot vergeleken met de oppervlaktes van andere adressen in de straat. De kleinste oppervlakte bedraagt er 33 m², de grootste 420 m². In het jaar 1990 is het pand waarin Rode Landsweg 28-C ligt gebouwd. Dat is relatief recent: de meeste gebouwen in Nederland zijn gebouwd in de periode 1965-1984. Dit object is relatief nieuw in de straat. Het nieuwste gebouw komt er uit het jaar 2023 en het oudste uit het jaar 1880. De volgende gebruiksdoelen zijn geregistreerd voor dit adres: 'woonfunctie'.
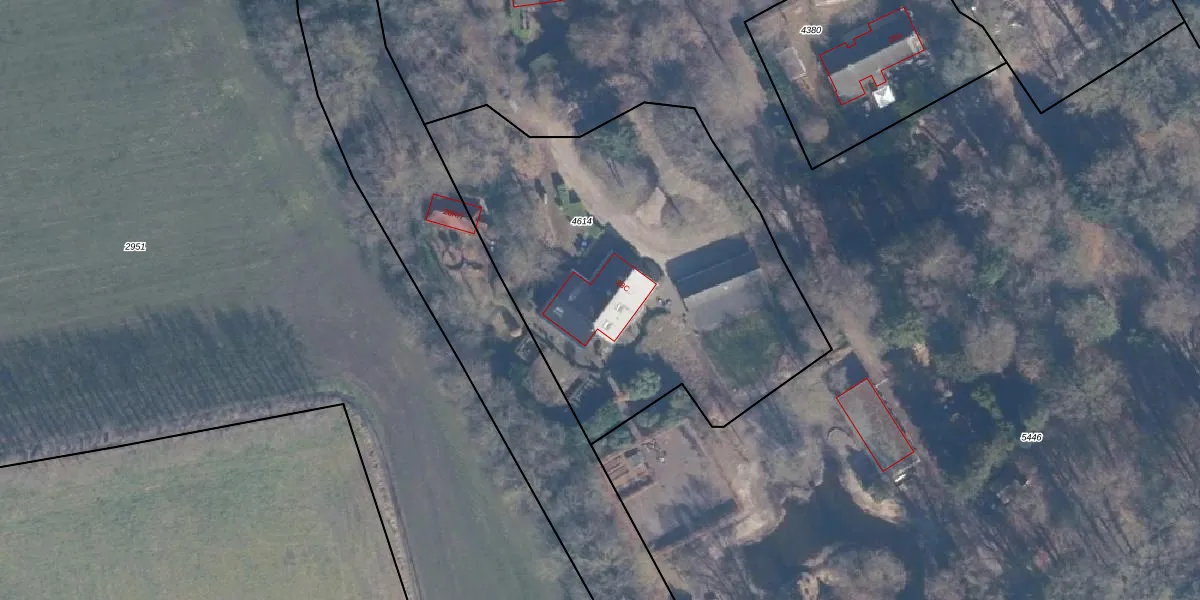
Het adres ligt op het perceel DSK00-D-4614, dat zich in de kadastrale gemeente Doornspijk bevindt. Het perceel is 2285 m² groot. Dat is kleiner dan de gemiddelde perceeloppervlakte in Doornspijk, dat op 5704,89 m² ligt. De grootste perceeloppervlakte in de kadastrale gemeente is 6,34 km². De kleinste oppervlakte bedraagt 0 m². Op het perceel bevinden zich geen andere adressen. De huidige grenzen van het perceel zijn digitaal in de Basisregistratie Kadaster (BRK) geregistreerd op 02-04-2003.
Er is geen energielabel geregistreerd voor het adres. Het hoogste energielabel in de straat is A++++; het laagste is G. Het gemiddelde energielabel is er C. Het adres Rode Landsweg 28-C heeft als status: 'verblijfsobject in gebruik'. Het pand waarin dit adres ligt heeft als status: 'pand in gebruik'.
Rode Landsweg 28-C is een adres gelegen in de gemeente Elburg, provincie Gelderland. Dit adres is geregistreerd in de Basisregistratie Adressen en Gebouwen (BAG) met als unieke identificatie 0230010000009517.
Het pand op Rode Landsweg 28-C is gebouwd in 1990, wat betekent dat het 36 jaar oud is. Dit is een pand van middelbare leeftijd. Het pand is van gemiddelde leeftijd en zal waarschijnlijk verouderde elementen bevatten.
De woning op Rode Landsweg 28-C heeft een gebruiksoppervlakte van 186 m². Dit is ruim vergeleken met de gemiddelde Nederlandse woning, die een oppervlakte heeft van ongeveer 119 m². De gebruiksoppervlakte is de maat die wordt gebruikt in de BAG-registratie, de landelijke registratie van de Nederlandse overheid.
Rode Landsweg 28-C heeft als functie: wonen. Deze gebruiksfunctie(s) zijn vastgelegd in de BAG-registratie en geven aan waarvoor het adres officieel mag worden gebruikt.
Rode Landsweg 28-C is gelegen op kadastraal perceel DSK00D4614. Deze kadastrale aanduiding is uniek en wordt gebruikt door het Kadaster om eigendomsrechten en andere zakelijke rechten vast te leggen. Het perceel maakt onderdeel uit van de kadastrale gemeente Doornspijk.
Het perceel waarop Rode Landsweg 28-C staat heeft een oppervlakte van 2285 m². Dit is een zeer groot perceel. De perceeloppervlakte wordt geregistreerd door het Kadaster. Gedetailleerde informatie over de maten van dit perceel kunt u vinden in het rapport Kadastrale kaart met maatvoering van Rode Landsweg 28-C.
De eigenaar van Rode Landsweg 28-C is op te vragen op deze pagina.
De informatie over dit adres is afkomstig uit officiële overheidsregistraties, voornamelijk de Basisregistratie Adressen en Gebouwen (BAG) en de Basisregistratie Kadaster (BRK). Deze gegevens worden beheerd door respectievelijk gemeenten en het Kadaster, en worden regelmatig bijgewerkt. Energielabelgegevens komen uit de database van de Rijksdienst voor Ondernemend Nederland (RVO).
