
van Norelsweg 3-A is gelegen in de plaats Doornspijk, de gemeente Elburg en de provincie Gelderland. De oppervlakte van het adres is 150 m². Dat is vergelijkbaar met het gemiddelde Nederlandse oppervlakte van 119 m². De oppervlakte van het perceel waarin het adres ligt is 2255 m². Het adres is klein vergeleken met andere objecten in de straat. Het grootste object in de straat heeft een oppervlakte van 312 m², het kleinste is 2 m² groot. Het gebouw waarin van Norelsweg 3-A ligt komt uit het jaar 1956. Objecten die gebouwd zijn vóór 1965 classificeren we hier als oud. Dit object is relatief nieuw in de straat. Het nieuwste gebouw komt er uit het jaar 2019 en het oudste uit het jaar 1864. Het verblijfsobject heeft de volgende gebruiksdoelen: 'woonfunctie'.
Deze woning is voor het laatst verkocht op 1 september 2003. Meer informatie over deze transactie? Bestel het Woningtransactierapport om de verkoopprijs en andere informatie te zien.
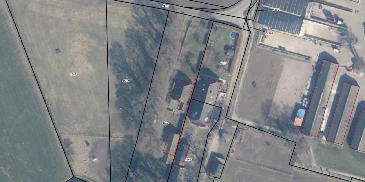
Het adres ligt op het perceel DSK00-G-4622, dat zich in de kadastrale gemeente Doornspijk bevindt. Het perceel is kleiner dan gemiddeld in Doornspijk. Het perceel is 2255 m² groot, terwijl het gemiddelde ligt op 5705,51 m². Het kleinste perceel in de kadastrale gemeente is 0 m² groot. De grootste perceeloppervlakte is 6,34 km². Op het perceel bevinden zich geen andere adressen. De laatste wijziging in het de Basisregistratie Kadaster (BRK) was op 05-08-2002.
Er is geen energielabel geregistreerd voor het adres. Het hoogste energielabel in de straat is C; het laagste is G. Het gemiddelde energielabel is er E. Het adres van Norelsweg 3-A heeft als status: 'verblijfsobject in gebruik'. Het pand waarin dit adres ligt heeft als status: 'pand in gebruik'.
van Norelsweg 3-A is een adres gelegen in de gemeente Elburg, provincie Gelderland. Dit adres is geregistreerd in de Basisregistratie Adressen en Gebouwen (BAG) met als unieke identificatie 0230010000007939.
Het pand op van Norelsweg 3-A is gebouwd in 1956, wat betekent dat het 70 jaar oud is. Dit is een ouder pand. Het pand heeft mogelijk aanzienlijke renovaties nodig om aan de huidige standaarden te voldoen.
De woning op van Norelsweg 3-A heeft een gebruiksoppervlakte van 150 m². Dit is ruim vergeleken met de gemiddelde Nederlandse woning, die een oppervlakte heeft van ongeveer 119 m². De gebruiksoppervlakte is de maat die wordt gebruikt in de BAG-registratie, de landelijke registratie van de Nederlandse overheid.
van Norelsweg 3-A heeft als functie: wonen. Deze gebruiksfunctie(s) zijn vastgelegd in de BAG-registratie en geven aan waarvoor het adres officieel mag worden gebruikt.
van Norelsweg 3-A is gelegen op kadastraal perceel DSK00G4622. Deze kadastrale aanduiding is uniek en wordt gebruikt door het Kadaster om eigendomsrechten en andere zakelijke rechten vast te leggen. Het perceel maakt onderdeel uit van de kadastrale gemeente Doornspijk.
Het perceel waarop van Norelsweg 3-A staat heeft een oppervlakte van 2255 m². Dit is een zeer groot perceel. De perceeloppervlakte wordt geregistreerd door het Kadaster. Gedetailleerde informatie over de maten van dit perceel kunt u vinden in het rapport Kadastrale kaart met maatvoering van van Norelsweg 3-A.
De eigenaar van van Norelsweg 3-A is op te vragen op deze pagina.
De informatie over dit adres is afkomstig uit officiële overheidsregistraties, voornamelijk de Basisregistratie Adressen en Gebouwen (BAG) en de Basisregistratie Kadaster (BRK). Deze gegevens worden beheerd door respectievelijk gemeenten en het Kadaster, en worden regelmatig bijgewerkt. Energielabelgegevens komen uit de database van de Rijksdienst voor Ondernemend Nederland (RVO).
