
Het adres Chopinlaan 95 bevindt zich in de plaats Doorwerth, in de gemeente Doorwerth en de provincie Gelderland. Het verblijfsobject is vergeleken met het Nederlandse gemiddelde aan de kleine kant: de oppervlakte is 96 m². Het perceel waarop het adres zich bevindt heeft een oppervlakte van 3330 m². Dit is het adres met de grootste oppervlakte van alle adressen in de straat. Gemiddeld hebben de objecten in de straat een oppervlakte van 72 m². De kleinste oppervlakte is er 20 m². De meeste Nederlandse gebouwen zijn gebouwd in de periode 1965-1984. Zo ook het pand waarin Chopinlaan 95 ligt, dat gebouwd is in 1977. Dit pand is het meest recent exemplaar in de straat. Het oudste object komt er uit 1977 en het gemiddelde bouwjaar is 1977. Het verblijfsobject heeft de volgende gebruiksdoelen: 'woonfunctie'.
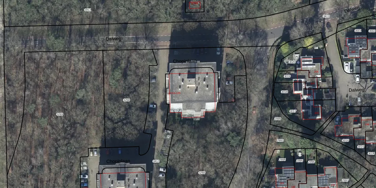
Het adres ligt op het perceel DWH00-C-3266, dat zich in de kadastrale gemeente Doorwerth bevindt. Het perceel is kleiner dan gemiddeld in Doorwerth. Het perceel is 3330 m² groot, terwijl het gemiddelde ligt op 6253,68 m². De grootste perceeloppervlakte in de kadastrale gemeente is 80,8 ha. De kleinste oppervlakte bedraagt 0 m². Op het perceel liggen in totaal 48 adressen. In de Basisregistratie Kadaster (BRK) werden de grenzen van het perceel geregistreerd op 28-09-2010.
Het adres ligt in een gebouw van het type 'appartement met het subtype hoekmidden'. Bij de laatste meting is voor het adres het energielabel B geregistreerd. Het hoogste energielabel in de straat is B; het laagste is G. Het gemiddelde energielabel is er C. Het adres Chopinlaan 95 heeft als status: 'verblijfsobject in gebruik'. Het pand waarin dit adres ligt heeft als status: 'pand in gebruik'.
Chopinlaan 95 is een adres gelegen in de gemeente Renkum, provincie Gelderland. Dit adres is geregistreerd in de Basisregistratie Adressen en Gebouwen (BAG) met als unieke identificatie 0274010000262975.
Het pand op Chopinlaan 95 is gebouwd in 1977, wat betekent dat het 49 jaar oud is. Dit is een pand van middelbare leeftijd. Het pand is van gemiddelde leeftijd en zal waarschijnlijk verouderde elementen bevatten.
De woning op Chopinlaan 95 heeft een gebruiksoppervlakte van 96 m². Dit is onder het gemiddelde vergeleken met de gemiddelde Nederlandse woning, die een oppervlakte heeft van ongeveer 119 m². De gebruiksoppervlakte is de maat die wordt gebruikt in de BAG-registratie, de landelijke registratie van de Nederlandse overheid.
Chopinlaan 95 heeft als functie: wonen. Deze gebruiksfunctie(s) zijn vastgelegd in de BAG-registratie en geven aan waarvoor het adres officieel mag worden gebruikt.
Chopinlaan 95 is gelegen op kadastraal perceel DWH00C3266. Deze kadastrale aanduiding is uniek en wordt gebruikt door het Kadaster om eigendomsrechten en andere zakelijke rechten vast te leggen. Het perceel maakt onderdeel uit van de kadastrale gemeente Doorwerth.
Het perceel waarop Chopinlaan 95 staat heeft een oppervlakte van 3330 m². Dit is een zeer groot perceel. De perceeloppervlakte wordt geregistreerd door het Kadaster. Gedetailleerde informatie over de maten van dit perceel kunt u vinden in het rapport Kadastrale kaart met maatvoering van Chopinlaan 95.
De eigenaar van Chopinlaan 95 is op te vragen op deze pagina.
De informatie over dit adres is afkomstig uit officiële overheidsregistraties, voornamelijk de Basisregistratie Adressen en Gebouwen (BAG) en de Basisregistratie Kadaster (BRK). Deze gegevens worden beheerd door respectievelijk gemeenten en het Kadaster, en worden regelmatig bijgewerkt. Energielabelgegevens komen uit de database van de Rijksdienst voor Ondernemend Nederland (RVO).
