
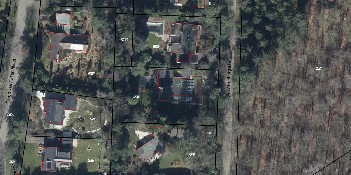
van Aldenburglaan 15 is een adres in Doorwerth, dat zich bevindt binnen de gemeentegrenzen van Doorwerth en de grenzen van de provincie Gelderland. De oppervlakte bedraagt 265 m², waarmee het adres groter dan gemiddeld is. De grootte van het perceel waarop het adres ligt is 1919 m². Het adres is klein vergeleken met andere objecten in de straat. Het grootste object in de straat heeft een oppervlakte van 834 m², het kleinste is 167 m² groot. Het adres van Aldenburglaan 15 ligt in een relatief oud pand uit het jaar 1957. Panden van vóór het jaar 1965 hebben we hier geclassificeerd als oud. In de straat komt het nieuwste gebouw uit het jaar 1998 en het oudste uit 1928. Het bouwjaar van dit object is relatief oud. Het verblijfsobject heeft de volgende gebruiksdoelen: 'woonfunctie'.
Deze woning is voor het laatst verkocht op 1 september 2016. Meer informatie over deze transactie? Bestel het Woningtransactierapport om de verkoopprijs en andere informatie te zien.
Het adres ligt op het perceel DWH00-C-2057, dat zich in de kadastrale gemeente Doorwerth bevindt. Het perceel is kleiner dan gemiddeld in Doorwerth. Het perceel is 1919 m² groot, terwijl het gemiddelde ligt op 6253,68 m². De grootste perceeloppervlakte in de kadastrale gemeente is 80,8 ha. De kleinste oppervlakte bedraagt 0 m². Er zijn geen andere adressen aanwezig op het perceel. De huidige grenzen van het perceel zijn digitaal in de Basisregistratie Kadaster (BRK) geregistreerd op 06-02-2002.
Er is geen energielabel geregistreerd voor het adres. Het hoogste energielabel in de straat is A+; het laagste is G. Het gemiddelde energielabel is er C. Het adres van Aldenburglaan 15 heeft als status: 'verblijfsobject in gebruik'. Het pand waarin dit adres ligt heeft als status: 'pand in gebruik'.
van Aldenburglaan 15 is een adres gelegen in de gemeente Renkum, provincie Gelderland. Dit adres is geregistreerd in de Basisregistratie Adressen en Gebouwen (BAG) met als unieke identificatie 0274010000257651.
Het pand op van Aldenburglaan 15 is gebouwd in 1957, wat betekent dat het 69 jaar oud is. Dit is een ouder pand. Het pand heeft mogelijk aanzienlijke renovaties nodig om aan de huidige standaarden te voldoen.
De woning op van Aldenburglaan 15 heeft een gebruiksoppervlakte van 265 m². Dit is ruim vergeleken met de gemiddelde Nederlandse woning, die een oppervlakte heeft van ongeveer 119 m². De gebruiksoppervlakte is de maat die wordt gebruikt in de BAG-registratie, de landelijke registratie van de Nederlandse overheid.
van Aldenburglaan 15 heeft als functie: wonen. Deze gebruiksfunctie(s) zijn vastgelegd in de BAG-registratie en geven aan waarvoor het adres officieel mag worden gebruikt.
van Aldenburglaan 15 is gelegen op kadastraal perceel DWH00C2057. Deze kadastrale aanduiding is uniek en wordt gebruikt door het Kadaster om eigendomsrechten en andere zakelijke rechten vast te leggen. Het perceel maakt onderdeel uit van de kadastrale gemeente Doorwerth.
Het perceel waarop van Aldenburglaan 15 staat heeft een oppervlakte van 1919 m². Dit is een zeer groot perceel. De perceeloppervlakte wordt geregistreerd door het Kadaster. Gedetailleerde informatie over de maten van dit perceel kunt u vinden in het rapport Kadastrale kaart met maatvoering van van Aldenburglaan 15.
De eigenaar van van Aldenburglaan 15 is op te vragen op deze pagina.
De informatie over dit adres is afkomstig uit officiële overheidsregistraties, voornamelijk de Basisregistratie Adressen en Gebouwen (BAG) en de Basisregistratie Kadaster (BRK). Deze gegevens worden beheerd door respectievelijk gemeenten en het Kadaster, en worden regelmatig bijgewerkt. Energielabelgegevens komen uit de database van de Rijksdienst voor Ondernemend Nederland (RVO).
