
Het adres Thorbeckeweg 113 bevindt zich in de plaats Dordrecht, in de gemeente Dordrecht en de provincie Zuid-Holland. Het perceel waarop het adres gelegen is heeft een oppervlakte van 6240 m². Het verblijfsobject is met 59 m² relatief klein. De oppervlakte van het adres is klein vergeleken met de andere objecten in de straat. De oppervlakte van het kleinste object in de straat bedraagt 19 m², terwijl het grootste object 278 m² groot is. Thorbeckeweg 113 bevindt zich in een pand uit het jaar 1959. Daarmee behoort het tot de groep relatief oude panden in Nederland die gebouwd zijn vóór 1965. Het gemiddelde bouwjaar in de straat is 1961 en dat van het nieuwste object 2005. In de straat is dit het oudste pand. Het verblijfsobject heeft de volgende gebruiksdoelen: 'woonfunctie'.
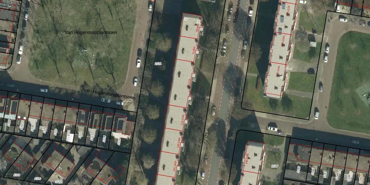
Het adres is gelegen op perceel 2131 in de sectie M en de kadastrale gemeente Dordrecht. De kadastrale aanduiding is aldus DDT00-M-2131. De gemiddelde perceeloppervlakte in de kadastrale gemeente Dordrecht is 2475,62 m². Dit perceel is met zijn 6240 m² dus groter dan gemiddeld. Het grootste perceel in de kadastrale gemeente is 3,41 km². Het kleinste perceel heeft een oppervlakte van 0 m². Er zijn 99 adressen aanwezig op het perceel. In de Basisregistratie Kadaster (BRK) werden de grenzen van het perceel geregistreerd op 01-02-2008.
Het adres ligt in een gebouw van het type 'appartement met het subtype tussenmidden'. Bij de laatste meting is voor het adres het energielabel B geregistreerd. Het hoogste energielabel in de straat is A; het laagste is G. Het gemiddelde energielabel is er D. Het adres Thorbeckeweg 113 heeft als status: 'verblijfsobject in gebruik'. Het pand waarin dit adres ligt heeft als status: 'pand in gebruik'.
Thorbeckeweg 113 is een adres gelegen in de gemeente Dordrecht, provincie Zuid-Holland. Dit adres is geregistreerd in de Basisregistratie Adressen en Gebouwen (BAG) met als unieke identificatie 0505010000058431.
Het pand op Thorbeckeweg 113 is gebouwd in 1959, wat betekent dat het 67 jaar oud is. Dit is een ouder pand. Het pand heeft mogelijk aanzienlijke renovaties nodig om aan de huidige standaarden te voldoen.
De woning op Thorbeckeweg 113 heeft een gebruiksoppervlakte van 59 m². Dit is relatief klein vergeleken met de gemiddelde Nederlandse woning, die een oppervlakte heeft van ongeveer 119 m². De gebruiksoppervlakte is de maat die wordt gebruikt in de BAG-registratie, de landelijke registratie van de Nederlandse overheid.
Thorbeckeweg 113 heeft als functie: wonen. Deze gebruiksfunctie(s) zijn vastgelegd in de BAG-registratie en geven aan waarvoor het adres officieel mag worden gebruikt.
Thorbeckeweg 113 is gelegen op kadastraal perceel DDT00M2131. Deze kadastrale aanduiding is uniek en wordt gebruikt door het Kadaster om eigendomsrechten en andere zakelijke rechten vast te leggen. Het perceel maakt onderdeel uit van de kadastrale gemeente Dordrecht.
Het perceel waarop Thorbeckeweg 113 staat heeft een oppervlakte van 6240 m². Dit is een zeer groot perceel. De perceeloppervlakte wordt geregistreerd door het Kadaster. Gedetailleerde informatie over de maten van dit perceel kunt u vinden in het rapport Kadastrale kaart met maatvoering van Thorbeckeweg 113.
De eigenaar van Thorbeckeweg 113 is op te vragen op deze pagina.
De informatie over dit adres is afkomstig uit officiële overheidsregistraties, voornamelijk de Basisregistratie Adressen en Gebouwen (BAG) en de Basisregistratie Kadaster (BRK). Deze gegevens worden beheerd door respectievelijk gemeenten en het Kadaster, en worden regelmatig bijgewerkt. Energielabelgegevens komen uit de database van de Rijksdienst voor Ondernemend Nederland (RVO).
