
Wieldrechtse Zeedijk 43 is een adres in Dordrecht, dat zich bevindt binnen de gemeentegrenzen van Dordrecht en de grenzen van de provincie Zuid-Holland. Het object heeft een oppervlakte van 329 m², wat relatief groot is. Het perceel waarop het adres ligt is 770 m² groot. De oppervlakte van dit adres is groot vergeleken met de oppervlaktes van andere adressen in de straat. De kleinste oppervlakte bedraagt er 2 m², de grootste 596 m². Het adres Wieldrechtse Zeedijk 43 ligt in een relatief oud pand uit het jaar 1908. Panden van vóór het jaar 1965 hebben we hier geclassificeerd als oud. Het bouwjaar is oud vergeleken met dat van de andere panden in de straat. Het oudste bouwjaar is er 1900 en de nieuwste is 2026. De volgende gebruiksdoelen zijn geregistreerd voor dit adres: 'woonfunctie'.
Deze woning is voor het laatst verkocht op 1 januari 2026. Meer informatie over deze transactie? Bestel het Woningtransactierapport om de verkoopprijs en andere informatie te zien.
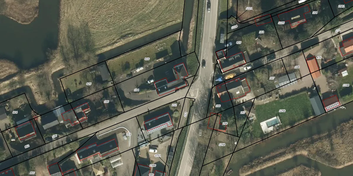
Het adres ligt op het perceel DDT00-V-194, dat zich in de kadastrale gemeente Dordrecht bevindt. Het perceel is 770 m² groot. Dat is kleiner dan de gemiddelde perceeloppervlakte in Dordrecht, dat op 2475,55 m² ligt. De grootste perceeloppervlakte in de kadastrale gemeente is 3,41 km². De kleinste oppervlakte bedraagt 0 m². Dit is het enige adres dat aanwezig is op het perceel. De huidige grenzen van het perceel zijn digitaal in de Basisregistratie Kadaster (BRK) geregistreerd op 22-02-2008.
Het adres ligt in een gebouw van het type 'vrijstaande woning'. Bij de laatste meting is voor het adres het energielabel E geregistreerd. Het hoogste energielabel in de straat is A; het laagste is G. Het gemiddelde energielabel is er E. Het adres Wieldrechtse Zeedijk 43 heeft als status: 'verblijfsobject in gebruik'. Het pand waarin dit adres ligt heeft als status: 'pand in gebruik'.
Wieldrechtse Zeedijk 43 is een adres gelegen in de gemeente Dordrecht, provincie Zuid-Holland. Dit adres is geregistreerd in de Basisregistratie Adressen en Gebouwen (BAG) met als unieke identificatie 0505010000066889.
Het pand op Wieldrechtse Zeedijk 43 is gebouwd in 1908, wat betekent dat het 118 jaar oud is. Dit is een ouder pand. Het pand heeft mogelijk aanzienlijke renovaties nodig om aan de huidige standaarden te voldoen.
De woning op Wieldrechtse Zeedijk 43 heeft een gebruiksoppervlakte van 329 m². Dit is ruim vergeleken met de gemiddelde Nederlandse woning, die een oppervlakte heeft van ongeveer 119 m². De gebruiksoppervlakte is de maat die wordt gebruikt in de BAG-registratie, de landelijke registratie van de Nederlandse overheid.
Wieldrechtse Zeedijk 43 heeft als functie: wonen. Deze gebruiksfunctie(s) zijn vastgelegd in de BAG-registratie en geven aan waarvoor het adres officieel mag worden gebruikt.
Wieldrechtse Zeedijk 43 is gelegen op kadastraal perceel DDT00V194. Deze kadastrale aanduiding is uniek en wordt gebruikt door het Kadaster om eigendomsrechten en andere zakelijke rechten vast te leggen. Het perceel maakt onderdeel uit van de kadastrale gemeente Dordrecht.
Het perceel waarop Wieldrechtse Zeedijk 43 staat heeft een oppervlakte van 770 m². Dit is een groot perceel. De perceeloppervlakte wordt geregistreerd door het Kadaster. Gedetailleerde informatie over de maten van dit perceel kunt u vinden in het rapport Kadastrale kaart met maatvoering van Wieldrechtse Zeedijk 43.
De eigenaar van Wieldrechtse Zeedijk 43 is op te vragen op deze pagina.
De informatie over dit adres is afkomstig uit officiële overheidsregistraties, voornamelijk de Basisregistratie Adressen en Gebouwen (BAG) en de Basisregistratie Kadaster (BRK). Deze gegevens worden beheerd door respectievelijk gemeenten en het Kadaster, en worden regelmatig bijgewerkt. Energielabelgegevens komen uit de database van de Rijksdienst voor Ondernemend Nederland (RVO).
