
Witte de Withstraat 260 is een adres in Dordrecht, dat zich bevindt binnen de gemeentegrenzen van Dordrecht en de grenzen van de provincie Zuid-Holland. De oppervlakte van het object bedraagt 64 m². Dat is klein vergeleken met het Nederlandse gemiddelde. Het perceel waarop het adres ligt is 3590 m² groot. De oppervlakte van dit adres is groot vergeleken met de oppervlaktes van andere adressen in de straat. De kleinste oppervlakte bedraagt er 9 m², de grootste 242 m². Witte de Withstraat 260 bevindt zich in een pand uit het jaar 1958. Daarmee behoort het tot de groep relatief oude panden in Nederland die gebouwd zijn vóór 1965. Dit is het oudste object in de straat. Het nieuwste pand komt uit 2006 en het gemiddelde bouwjaar in de straat is 1959. Het verblijfsobject heeft de volgende gebruiksdoelen: 'woonfunctie'.
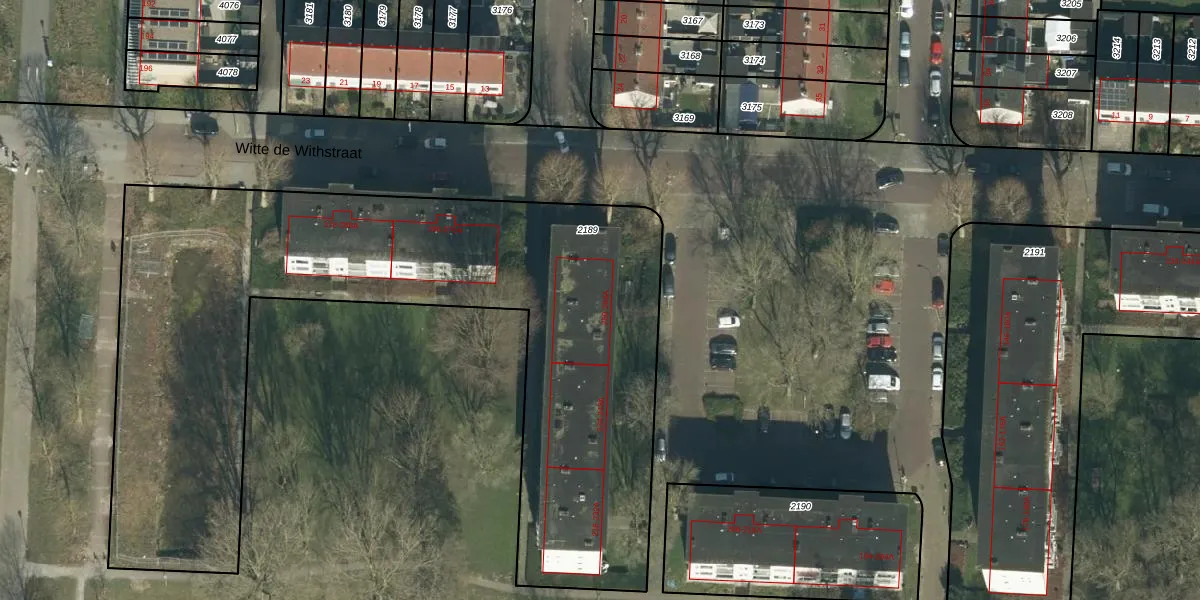
Het adres ligt op het perceel DDT00-M-2189, dat zich in de kadastrale gemeente Dordrecht bevindt. De gemiddelde perceeloppervlakte in de kadastrale gemeente Dordrecht is 2475,62 m². Dit perceel is met zijn 3590 m² dus groter dan gemiddeld. Het grootste perceel in de kadastrale gemeente is 3,41 km². Het kleinste perceel heeft een oppervlakte van 0 m². Op het perceel zijn 86 adressen aanwezig. De huidige grenzen van het perceel zijn digitaal in de Basisregistratie Kadaster (BRK) geregistreerd op 19-02-2008.
Het adres ligt in een gebouw van het type 'flatwoning (overig) met het subtype hoekmidden'. Bij de laatste meting is voor het adres het energielabel D geregistreerd. Het hoogste energielabel in de straat is B; het laagste is G. Het gemiddelde energielabel is er C. Het adres Witte de Withstraat 260 heeft als status: 'verblijfsobject in gebruik'. Het pand waarin dit adres ligt heeft als status: 'pand in gebruik'.
Witte de Withstraat 260 is een adres gelegen in de gemeente Dordrecht, provincie Zuid-Holland. Dit adres is geregistreerd in de Basisregistratie Adressen en Gebouwen (BAG) met als unieke identificatie 0505010000067802.
Het pand op Witte de Withstraat 260 is gebouwd in 1958, wat betekent dat het 68 jaar oud is. Dit is een ouder pand. Het pand heeft mogelijk aanzienlijke renovaties nodig om aan de huidige standaarden te voldoen.
De woning op Witte de Withstraat 260 heeft een gebruiksoppervlakte van 64 m². Dit is relatief klein vergeleken met de gemiddelde Nederlandse woning, die een oppervlakte heeft van ongeveer 119 m². De gebruiksoppervlakte is de maat die wordt gebruikt in de BAG-registratie, de landelijke registratie van de Nederlandse overheid.
Witte de Withstraat 260 heeft als functie: wonen. Deze gebruiksfunctie(s) zijn vastgelegd in de BAG-registratie en geven aan waarvoor het adres officieel mag worden gebruikt.
Witte de Withstraat 260 is gelegen op kadastraal perceel DDT00M2189. Deze kadastrale aanduiding is uniek en wordt gebruikt door het Kadaster om eigendomsrechten en andere zakelijke rechten vast te leggen. Het perceel maakt onderdeel uit van de kadastrale gemeente Dordrecht.
Het perceel waarop Witte de Withstraat 260 staat heeft een oppervlakte van 3590 m². Dit is een zeer groot perceel. De perceeloppervlakte wordt geregistreerd door het Kadaster. Gedetailleerde informatie over de maten van dit perceel kunt u vinden in het rapport Kadastrale kaart met maatvoering van Witte de Withstraat 260.
De eigenaar van Witte de Withstraat 260 is op te vragen op deze pagina.
De informatie over dit adres is afkomstig uit officiële overheidsregistraties, voornamelijk de Basisregistratie Adressen en Gebouwen (BAG) en de Basisregistratie Kadaster (BRK). Deze gegevens worden beheerd door respectievelijk gemeenten en het Kadaster, en worden regelmatig bijgewerkt. Energielabelgegevens komen uit de database van de Rijksdienst voor Ondernemend Nederland (RVO).
