
Het Helmhout 37 is een adres in Drachten, dat zich bevindt binnen de gemeentegrenzen van Drachten en de grenzen van de provincie Friesland. Het object heeft een oppervlakte van 191 m², wat relatief groot is. Het perceel waarop het adres ligt is 1280 m² groot. Het object is klein ten opzichte van de andere adressen in de straat. Het grootste verblijfsobject is 2,7 ha groot en het kleinste is 9 m². Het Helmhout 37 ligt in een gebouw uit het jaar 1998. Daarmee behoort het tot de groep panden van na 1984, die we als relatief nieuw bestempelen. Het bouwjaar is oud vergeleken met dat van de andere panden in de straat. Het oudste bouwjaar is er 1983 en de nieuwste is 2026. Voor het verblijfsobject gelden deze gebruiksdoelen: 'woonfunctie'.
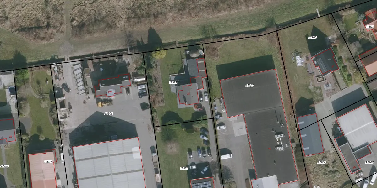
Het perceel waarop het adres ligt is DTN02-A-12521. De afkorting 'DTN02' staat voor kadastrale gemeente Drachten. De gemiddelde perceelgrootte in Drachten is 1805,18 m². Dit perceel is kleiner: de perceeloppervlakte bedraagt 1280 m². Het grootste perceel in de kadastrale gemeente is 42,8 ha. Het kleinste perceel heeft een oppervlakte van 0 m². Dit is het enige adres dat aanwezig is op het perceel. De huidige grenzen van het perceel zijn digitaal in de Basisregistratie Kadaster (BRK) geregistreerd op 25-09-2003.
Het adres ligt in een gebouw van het type 'vrijstaande woning'. Bij de laatste meting is voor het adres het energielabel B geregistreerd. Het hoogste energielabel in de straat is A+++; het laagste is G. Het gemiddelde energielabel is er B. Het adres Het Helmhout 37 heeft als status: 'verblijfsobject in gebruik'. Het pand waarin dit adres ligt heeft als status: 'pand in gebruik'.
Het Helmhout 37 is een adres gelegen in de gemeente Smallingerland, provincie Friesland. Dit adres is geregistreerd in de Basisregistratie Adressen en Gebouwen (BAG) met als unieke identificatie 0090010000644584.
Het pand op Het Helmhout 37 is gebouwd in 1998, wat betekent dat het 28 jaar oud is. Dit is een pand van middelbare leeftijd. Het pand is van gemiddelde leeftijd en zal waarschijnlijk verouderde elementen bevatten.
De woning op Het Helmhout 37 heeft een gebruiksoppervlakte van 191 m². Dit is ruim vergeleken met de gemiddelde Nederlandse woning, die een oppervlakte heeft van ongeveer 119 m². De gebruiksoppervlakte is de maat die wordt gebruikt in de BAG-registratie, de landelijke registratie van de Nederlandse overheid.
Het Helmhout 37 heeft als functie: wonen. Deze gebruiksfunctie(s) zijn vastgelegd in de BAG-registratie en geven aan waarvoor het adres officieel mag worden gebruikt.
Het Helmhout 37 is gelegen op kadastraal perceel DTN02A12521. Deze kadastrale aanduiding is uniek en wordt gebruikt door het Kadaster om eigendomsrechten en andere zakelijke rechten vast te leggen. Het perceel maakt onderdeel uit van de kadastrale gemeente Drachten.
Het perceel waarop Het Helmhout 37 staat heeft een oppervlakte van 1280 m². Dit is een zeer groot perceel. De perceeloppervlakte wordt geregistreerd door het Kadaster. Gedetailleerde informatie over de maten van dit perceel kunt u vinden in het rapport Kadastrale kaart met maatvoering van Het Helmhout 37.
De eigenaar van Het Helmhout 37 is op te vragen op deze pagina.
De informatie over dit adres is afkomstig uit officiële overheidsregistraties, voornamelijk de Basisregistratie Adressen en Gebouwen (BAG) en de Basisregistratie Kadaster (BRK). Deze gegevens worden beheerd door respectievelijk gemeenten en het Kadaster, en worden regelmatig bijgewerkt. Energielabelgegevens komen uit de database van de Rijksdienst voor Ondernemend Nederland (RVO).
