
Agripark-West 112 is gelegen in de plaats Dronten, de gemeente Dronten en de provincie Flevoland. De oppervlakte van het object bedraagt 49 m². Dat is klein vergeleken met het Nederlandse gemiddelde. Het perceel waarop het adres ligt is 5025 m² groot. Er zijn geen kleinere objecten in deze straat. De gemiddelde oppervlakte is er 89 m². Het grootste verblijfsobject is 138 m². Het pand waarin Agripark-West 112 ligt is gebouwd in het jaar 2004. Panden die gebouwd zijn na het jaar 1984 noemen we hier relatief nieuw. Dit is het oudste object in de straat. Het nieuwste pand komt uit 2018 en het gemiddelde bouwjaar in de straat is 2010. Voor het verblijfsobject gelden deze gebruiksdoelen: 'woonfunctie'.
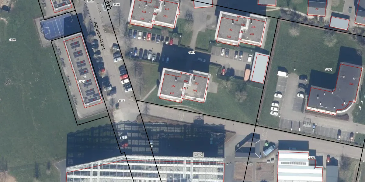
Het adres ligt op het perceel DTN01-K-3443, dat zich in de kadastrale gemeente Dronten bevindt. De gemiddelde perceelgrootte in Dronten is 1,8 ha. Dit perceel is kleiner: de perceeloppervlakte bedraagt 5025 m². Het kleinste perceel in de kadastrale gemeente is 0 m² groot. De grootste perceeloppervlakte is 25,03 km². Op het perceel zijn 21 adressen aanwezig. De laatste wijziging in het de Basisregistratie Kadaster (BRK) was op 30-10-2023.
Het adres ligt in een gebouw van het type 'flatwoning (overig) met het subtype hoekdak'. Bij de laatste meting is voor het adres het energielabel A geregistreerd. Het hoogste energielabel in de straat is A; het laagste is G. Het gemiddelde energielabel is er A. Het adres Agripark-West 112 heeft als status: 'verblijfsobject in gebruik'. Het pand waarin dit adres ligt heeft als status: 'pand in gebruik'.
Agripark-West 112 is een adres gelegen in de gemeente Dronten, provincie Flevoland. Dit adres is geregistreerd in de Basisregistratie Adressen en Gebouwen (BAG) met als unieke identificatie 0303010000605234.
Het pand op Agripark-West 112 is gebouwd in 2004, wat betekent dat het 22 jaar oud is. Dit is een relatief modern pand. Ten opzichte van de nationale woningvoorraad is het pand relatief modern, maar er kunnen enkele verouderde elementen zijn die aandacht nodig hebben.
De woning op Agripark-West 112 heeft een gebruiksoppervlakte van 49 m². Dit is relatief klein vergeleken met de gemiddelde Nederlandse woning, die een oppervlakte heeft van ongeveer 119 m². De gebruiksoppervlakte is de maat die wordt gebruikt in de BAG-registratie, de landelijke registratie van de Nederlandse overheid.
Agripark-West 112 heeft als functie: wonen. Deze gebruiksfunctie(s) zijn vastgelegd in de BAG-registratie en geven aan waarvoor het adres officieel mag worden gebruikt.
Agripark-West 112 is gelegen op kadastraal perceel DTN01K3443. Deze kadastrale aanduiding is uniek en wordt gebruikt door het Kadaster om eigendomsrechten en andere zakelijke rechten vast te leggen. Het perceel maakt onderdeel uit van de kadastrale gemeente Dronten.
Het perceel waarop Agripark-West 112 staat heeft een oppervlakte van 5025 m². Dit is een zeer groot perceel. De perceeloppervlakte wordt geregistreerd door het Kadaster. Gedetailleerde informatie over de maten van dit perceel kunt u vinden in het rapport Kadastrale kaart met maatvoering van Agripark-West 112.
De eigenaar van Agripark-West 112 is op te vragen op deze pagina.
De informatie over dit adres is afkomstig uit officiële overheidsregistraties, voornamelijk de Basisregistratie Adressen en Gebouwen (BAG) en de Basisregistratie Kadaster (BRK). Deze gegevens worden beheerd door respectievelijk gemeenten en het Kadaster, en worden regelmatig bijgewerkt. Energielabelgegevens komen uit de database van de Rijksdienst voor Ondernemend Nederland (RVO).
