
Massenetstraat 21 is gelegen in de plaats Drunen, de gemeente Heusden en de provincie Noord-Brabant. Het perceel waarop het verblijfsobject staat is 1209 m² groot. De oppervlakte van het adres is 106 m², wat zich rond het Nederlandse gemiddelde van 119 m² bevindt. Dit is het adres met de grootste oppervlakte van alle adressen in de straat. Gemiddeld hebben de objecten in de straat een oppervlakte van 106 m². De kleinste oppervlakte is er 106 m². In Nederland komt het grootste deel van de gebouwen uit de periode 1965-1984. Ook het bouwjaar van Massenetstraat 21 is afkomstig uit die periode: het betreft namelijk een pand uit 1969. In de straat is dit het nieuwste pand en stamt het oudste object uit het jaar 1969. Het gemiddelde bouwjaar in de straat is 1969. Voor het verblijfsobject gelden deze gebruiksdoelen: 'woonfunctie'.
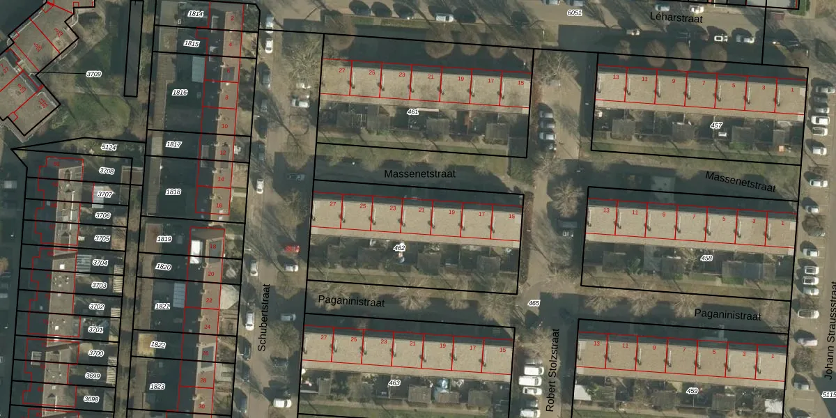
Het adres ligt op het perceel DNN00-L-462, dat zich in de kadastrale gemeente Drunen bevindt. De gemiddelde perceelgrootte in Drunen is 3021,36 m². Dit perceel is kleiner: de perceeloppervlakte bedraagt 1209 m². Het grootste perceel in de kadastrale gemeente is 1,92 km². Het kleinste perceel heeft een oppervlakte van 0 m². Op het perceel zijn 7 adressen aanwezig. De laatste wijziging in het de Basisregistratie Kadaster (BRK) was op 14-03-2007.
Het adres ligt in een gebouw van het type 'rijwoning tussen'. Bij de laatste meting is voor het adres het energielabel A geregistreerd. Het hoogste energielabel in de straat is A; het laagste is G. Het gemiddelde energielabel is er A. Het adres Massenetstraat 21 heeft als status: 'verblijfsobject in gebruik'. Het pand waarin dit adres ligt heeft als status: 'pand in gebruik'.
Massenetstraat 21 is een adres gelegen in de gemeente Heusden, provincie Noord-Brabant. Dit adres is geregistreerd in de Basisregistratie Adressen en Gebouwen (BAG) met als unieke identificatie 0797010000002964.
Het pand op Massenetstraat 21 is gebouwd in 1969, wat betekent dat het 57 jaar oud is. Dit is een ouder pand. Het pand heeft mogelijk aanzienlijke renovaties nodig om aan de huidige standaarden te voldoen.
De woning op Massenetstraat 21 heeft een gebruiksoppervlakte van 106 m². Dit is onder het gemiddelde vergeleken met de gemiddelde Nederlandse woning, die een oppervlakte heeft van ongeveer 119 m². De gebruiksoppervlakte is de maat die wordt gebruikt in de BAG-registratie, de landelijke registratie van de Nederlandse overheid.
Massenetstraat 21 heeft als functie: wonen. Deze gebruiksfunctie(s) zijn vastgelegd in de BAG-registratie en geven aan waarvoor het adres officieel mag worden gebruikt.
Massenetstraat 21 is gelegen op kadastraal perceel DNN00L462. Deze kadastrale aanduiding is uniek en wordt gebruikt door het Kadaster om eigendomsrechten en andere zakelijke rechten vast te leggen. Het perceel maakt onderdeel uit van de kadastrale gemeente Drunen.
Het perceel waarop Massenetstraat 21 staat heeft een oppervlakte van 1209 m². Dit is een zeer groot perceel. De perceeloppervlakte wordt geregistreerd door het Kadaster. Gedetailleerde informatie over de maten van dit perceel kunt u vinden in het rapport Kadastrale kaart met maatvoering van Massenetstraat 21.
De eigenaar van Massenetstraat 21 is op te vragen op deze pagina.
De informatie over dit adres is afkomstig uit officiële overheidsregistraties, voornamelijk de Basisregistratie Adressen en Gebouwen (BAG) en de Basisregistratie Kadaster (BRK). Deze gegevens worden beheerd door respectievelijk gemeenten en het Kadaster, en worden regelmatig bijgewerkt. Energielabelgegevens komen uit de database van de Rijksdienst voor Ondernemend Nederland (RVO).
